진해 내만권 전마선 조황or 소규모 볼락대회소개


① 출 조 일 : 최근조황
② 출 조 지 : 진해 내만권
③ 출조 인원 :
④ 물 때 :
⑤ 바다 상황 :
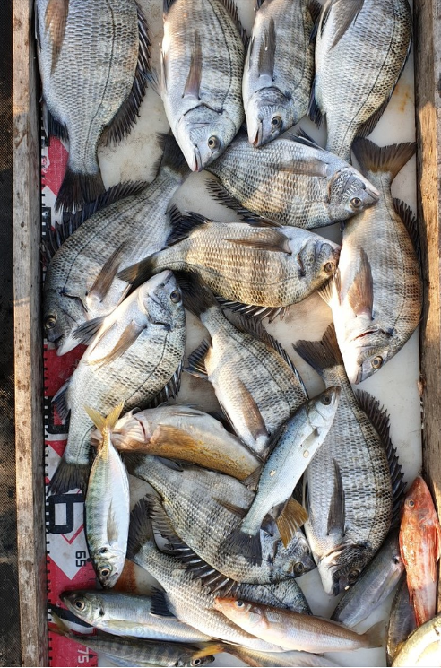
⑥ 조황 요약 : 반갑습니다. 서태공입니다.
진해 두꺼비 전마선을 이용하여 최근 진해 내만 감성돔 소식알려드립니다.
작년에비해 올해는 오래동안 내만권에 붙어있습니다.
현재 잡어는 빠졌으며 크릴or경단or민물새우 쓰시고 오후타임에 입질이 활발합니다.
별도로 저희 밴드에서 이번에 소규모 대회 준비중입니다. 혹시 관심있으신분 계시면 밴드 가입하셔서 대회 참석도
가능하오니 1등상품도 한번 노려보세요
낚시매니아 밴드 가입시 대회 참석가능
https://band.us/n/a3a62821D5hdM
1. 출발지 : 각지역
2. 목적지 : 거제 지세포
3. 대상 어종 : 볼락
4. 출발 일시 : 2019-12-29일 (일요일) 오후4시30분까지 선창낚시
5. 철수 일시 : 2019-12-29일 오후 10시 철수
6. 비용 부담 방법 : 참가회비 3만원 ( 선비포함)
반갑습니다 낚시매니아 밴드장 서태공입니다.
12월 29일날 볼락 빅원 대회가 있습니다.
추가로 인원 모집중이며, 대회 참석 하실분들은 밴드 가입하셔서 공지 읽어 보시면 됩니다.
🐳 제 2회 낚시매니아 대회🐟
대상어종 : 볼락 최대어 빅원!
일시 : 2019년 12월 29일
장소: 거제 지세포
(선창낚시)
경상남도 거제시 일운면 지세포해안로 228
지번 경상남도 거제시 일운면 지세포리 301
회비: 30,000원 (선비 포함가격)
대회시간 : 17:00~ 22:00 (5시간)
식사 : 개인지참 미끼 루어 개인 지참
규정: 1인 1로드 장대 흘림 루어 가능 털털이 제외! 털털이 적발
시 무효처리 흘림에 카드채비도 안됩니다. 1인 1바늘
상품 : 1등 상품 50만원 가량 ( 시마노 릴,협찬 복어독배권)
2등 상품 20만원 가량( 볼락 ul 로드,로드케이스)
3등 상품 7만원 가량( 해동 12L쿨러)
잡어빅원 (루어 다이와가방)
*추첨인원 15분 (웜,농축액 각 1개씩)*
② 출 조 지 : 진해 내만권
③ 출조 인원 :
④ 물 때 :
⑤ 바다 상황 :
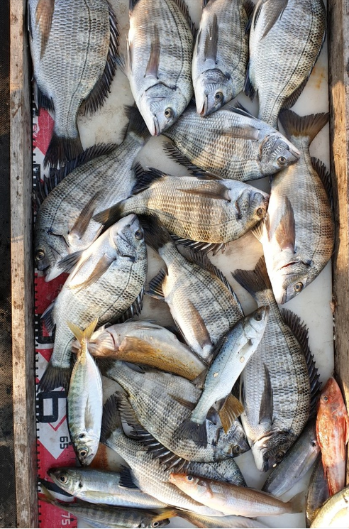
⑥ 조황 요약 : 반갑습니다. 서태공입니다.
진해 두꺼비 전마선을 이용하여 최근 진해 내만 감성돔 소식알려드립니다.
작년에비해 올해는 오래동안 내만권에 붙어있습니다.
현재 잡어는 빠졌으며 크릴or경단or민물새우 쓰시고 오후타임에 입질이 활발합니다.
별도로 저희 밴드에서 이번에 소규모 대회 준비중입니다. 혹시 관심있으신분 계시면 밴드 가입하셔서 대회 참석도
가능하오니 1등상품도 한번 노려보세요
낚시매니아 밴드 가입시 대회 참석가능
https://band.us/n/a3a62821D5hdM
1. 출발지 : 각지역
2. 목적지 : 거제 지세포
3. 대상 어종 : 볼락
4. 출발 일시 : 2019-12-29일 (일요일) 오후4시30분까지 선창낚시
5. 철수 일시 : 2019-12-29일 오후 10시 철수
6. 비용 부담 방법 : 참가회비 3만원 ( 선비포함)
반갑습니다 낚시매니아 밴드장 서태공입니다.
12월 29일날 볼락 빅원 대회가 있습니다.
추가로 인원 모집중이며, 대회 참석 하실분들은 밴드 가입하셔서 공지 읽어 보시면 됩니다.
🐳 제 2회 낚시매니아 대회🐟
대상어종 : 볼락 최대어 빅원!
일시 : 2019년 12월 29일
장소: 거제 지세포
(선창낚시)
경상남도 거제시 일운면 지세포해안로 228
지번 경상남도 거제시 일운면 지세포리 301
회비: 30,000원 (선비 포함가격)
대회시간 : 17:00~ 22:00 (5시간)
식사 : 개인지참 미끼 루어 개인 지참
규정: 1인 1로드 장대 흘림 루어 가능 털털이 제외! 털털이 적발
시 무효처리 흘림에 카드채비도 안됩니다. 1인 1바늘
상품 : 1등 상품 50만원 가량 ( 시마노 릴,협찬 복어독배권)
2등 상품 20만원 가량( 볼락 ul 로드,로드케이스)
3등 상품 7만원 가량( 해동 12L쿨러)
잡어빅원 (루어 다이와가방)
*추첨인원 15분 (웜,농축액 각 1개씩)*






