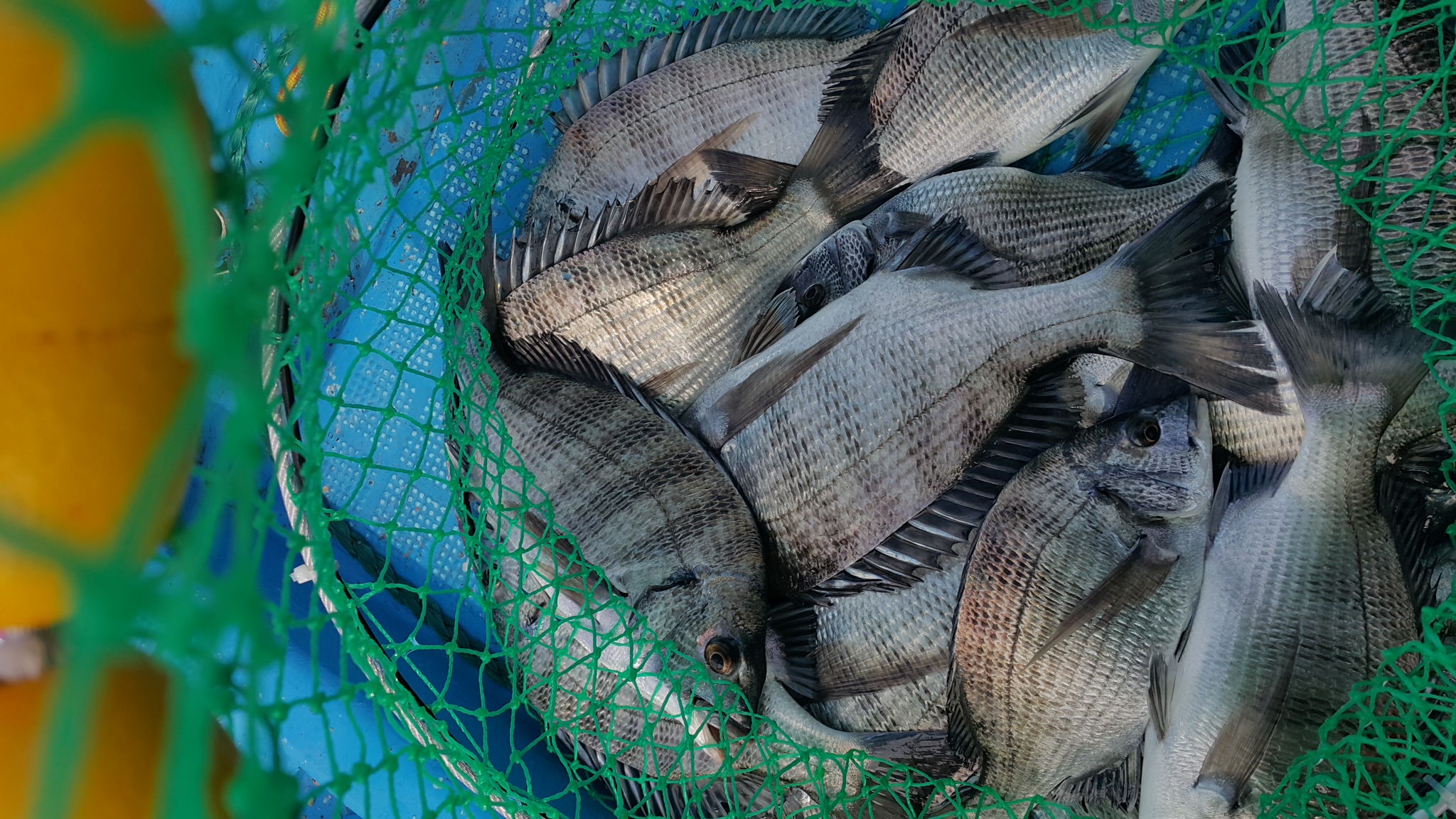
고성 감성돔 마릿수
① 출 조 일 : 9월 18일(어제)
② 출 조 지 : 동화마을 선외기
③ 출조 인원 : 2명
④ 물 때 : 12물
⑤ 바다 상황 : 오전구름 오후땡볕(하루종일 장판)
⑥ 조황 요약 : 7시부터 낚시시작(11시 만조) 들물에 15마리 잡았네요. 방생사이즈는 없었구요. 25~34까지 입니다. 날물포인트라 날물을 기대했는데 물빨이 약하네요. 같이 간 형님이 씨알급 가지고놀다 팅~ 이후로 입질이 없네요. 아쉽지만 3시 넘어서 철수했네요.
② 출 조 지 : 동화마을 선외기
③ 출조 인원 : 2명
④ 물 때 : 12물
⑤ 바다 상황 : 오전구름 오후땡볕(하루종일 장판)
⑥ 조황 요약 : 7시부터 낚시시작(11시 만조) 들물에 15마리 잡았네요. 방생사이즈는 없었구요. 25~34까지 입니다. 날물포인트라 날물을 기대했는데 물빨이 약하네요. 같이 간 형님이 씨알급 가지고놀다 팅~ 이후로 입질이 없네요. 아쉽지만 3시 넘어서 철수했네요.









