가덕도 바람속에 대구리......


① 출 조 일 : 오늘
② 출 조 지 : 가덕도
③ 출조 인원 : 1인
④ 물 때 : 들물
⑤ 바다 상황 : 바람탱탱
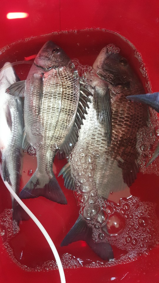
⑥ 조황 요약 :
안녕하세요 다은아빠입니다
어제 목포에 제사지네고 왔네요 부산에는 눈보기힘든데
여기는 쉽게 보는게 눈이네요 미끌미끌 눈때문에 경상쪽에
많이 춥나 봅니다
바람많이 분다고해서 낚시 포기하고있딘 좀 적게 부는것같아서
느즈막히 달려봅니다
가덕도에 배기다리는데 생각보다 엄청들어가셨네요 ㅠㅠ
선장님 가까운곳 아무곳이나 내라 주이소 춥네요
음지에 내려주시네요 12시쯤 지나니 해가 들어와서 입돌아갈뻔했네요
늘하던 채비 0.6호대 3천번릴에 2.5호 원줄 1.7호목줄4미터
바늘4호 크릴미끼달고 던져봅니다 첫 캐스팅이 11시쯤 ㅠㅠ
밑밥 폭탄투하 하고 살살 흘려보지만
그많던 개기가 어디로 갔나 .....잡어만 설치고 이거 어렵겠는데
양옆으로 밑밥을 많이 넣어줬나보네요
저있는곳에 집어가 빨리 안되는게 밑밥도 적은데
한곳에 죽으라고 한번캐스팅에 밑밥4주걱 정도식 꾸준하게
집어시키고 1시쯤 되었나 집어가 되었는지 찌가 시원하게
빨리네요 챔질~~~~헛 헛 챔질만 3번 젠장 미끼가 게미끼인데
훅킹이 잘안되네요
크릴로 미끼 바꾸고 수심 좀더 주고 같은지점 꾸준히
흘려봅니다 목줄 3미터정도 끄심발이 찌가 미세하게
더 잠길때 견재동작 꼬셔보니 덥석 먹네요
훅 덜커덩 ~~~~꾹꾹 꾹 힘좀 쓰는게 4짜이상은 되겠다싶네요
참고로 큰 놈들은 꾹꾹거리는게 덜합니다 묵직하지
물위로 뛰워보니 빵이 겁나게 좋네요 ㅎㅎ 킵
같은지점 도달했을때 견재동작 쿡쿡 ㅎㅎ 요건 좀 작다
천천히 랜딩으로 뒤에서 떠버리네요
발앞에 수중여가 잘 발달되어있어서 천천히 뒤에서 뛰워서
끌어와야 안터지기에 살살 달래가면서 올렸네요
연타로 한마리더하고 좀 있으니 낚시배가 오네요
선장님기다리라고 해놓고 대접고 철수했네요
지금부터 많이 올라오겠는데 아쉽게도 약속때문에
철수했습니다
② 출 조 지 : 가덕도
③ 출조 인원 : 1인
④ 물 때 : 들물
⑤ 바다 상황 : 바람탱탱
⑥ 조황 요약 :
안녕하세요 다은아빠입니다
어제 목포에 제사지네고 왔네요 부산에는 눈보기힘든데
여기는 쉽게 보는게 눈이네요 미끌미끌 눈때문에 경상쪽에
많이 춥나 봅니다
바람많이 분다고해서 낚시 포기하고있딘 좀 적게 부는것같아서
느즈막히 달려봅니다
가덕도에 배기다리는데 생각보다 엄청들어가셨네요 ㅠㅠ
선장님 가까운곳 아무곳이나 내라 주이소 춥네요
음지에 내려주시네요 12시쯤 지나니 해가 들어와서 입돌아갈뻔했네요
늘하던 채비 0.6호대 3천번릴에 2.5호 원줄 1.7호목줄4미터
바늘4호 크릴미끼달고 던져봅니다 첫 캐스팅이 11시쯤 ㅠㅠ
밑밥 폭탄투하 하고 살살 흘려보지만
그많던 개기가 어디로 갔나 .....잡어만 설치고 이거 어렵겠는데
양옆으로 밑밥을 많이 넣어줬나보네요
저있는곳에 집어가 빨리 안되는게 밑밥도 적은데
한곳에 죽으라고 한번캐스팅에 밑밥4주걱 정도식 꾸준하게
집어시키고 1시쯤 되었나 집어가 되었는지 찌가 시원하게
빨리네요 챔질~~~~헛 헛 챔질만 3번 젠장 미끼가 게미끼인데
훅킹이 잘안되네요
크릴로 미끼 바꾸고 수심 좀더 주고 같은지점 꾸준히
흘려봅니다 목줄 3미터정도 끄심발이 찌가 미세하게
더 잠길때 견재동작 꼬셔보니 덥석 먹네요
훅 덜커덩 ~~~~꾹꾹 꾹 힘좀 쓰는게 4짜이상은 되겠다싶네요
참고로 큰 놈들은 꾹꾹거리는게 덜합니다 묵직하지
물위로 뛰워보니 빵이 겁나게 좋네요 ㅎㅎ 킵
같은지점 도달했을때 견재동작 쿡쿡 ㅎㅎ 요건 좀 작다
천천히 랜딩으로 뒤에서 떠버리네요
발앞에 수중여가 잘 발달되어있어서 천천히 뒤에서 뛰워서
끌어와야 안터지기에 살살 달래가면서 올렸네요
연타로 한마리더하고 좀 있으니 낚시배가 오네요
선장님기다리라고 해놓고 대접고 철수했네요
지금부터 많이 올라오겠는데 아쉽게도 약속때문에
철수했습니다

