청산도조황

신상품 소개


회원 랭킹


공지사항


NaverBand
[낚시인] 번개조황 - 2018년
글 읽기만 가능합니다.

청산도조황

청산도된장 8 4685 0
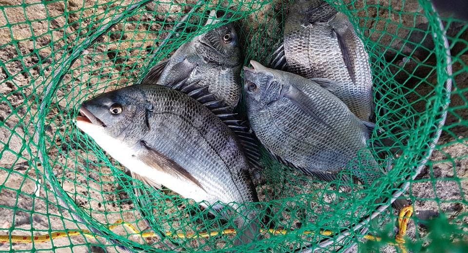
① 출 조 일 : 12월26일
② 출 조 지 : 청산도 본섬
③ 출조 인원 : 3명
④ 물 때 : 11물
⑤ 바다 상황 : 양호
⑥ 조황 요약 : 본인은 감생이 1수. 숭어6짜한수 동행조사 두분이서 각3수. 4수 하셨네요 크기는 37~45cm정도 입니다 대부분 30cm 후반입니다
자주찾는 청산도바다정원 주변 도보 직벽포인트 010 3607 8694

8 Comments
땡감시 2018.12.27 19:21  
멋진 손맛들을 보셨네요
축하드립니다 ^^
청산도된장 2018.12.27 23:05  
《Re》땡감시 님 ,
매주 감시낚시를 하시는 열혈조사님 이시군요
댓글 감사합니다
혹여 청산도 오시거든 연락주세요ㅎ
감시대첩 2018.12.28 00:02  
청산도는 시즌이언제까지인가요~~^^
청산도된장 2018.12.28 11:50  
《Re》감시대첩 님 ,
늦가을부터 지금시기가 최고인듯 싶습니다
포모 2018.12.28 12:42  
몇칠전 22일날 화랑포 끝바리에서 꽝쳤습니다 ㅋㅋㅋ

오랫만에 청산도 들어갔는데 그날은 바다가 이상하네요

바다정원 포인트 저도몇번 가봤는데

멎진 조황이네요

다음번 청산도 들어가게되면 연락한번 드리겠습니다^^
진해만 2018.12.28 13:13  
대박~~추카드립니다
must 2018.12.28 15:29  
돔이 예쁘네요, 부럽습니다,
청산도된장 2018.12.28 22:34  
《Re》포모 님 ,
네 그러셨군요 기회되면 꼭한번들리세요
 
제목
 

인낚 최신글


인낚 최신댓글


온라인 문의 안내


월~금 : 9:00 ~ 18:00
토/일/공휴일 휴무
점심시간 : 12:00 ~ 13:00