곤리카고 일곱번째


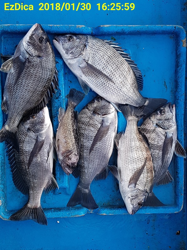
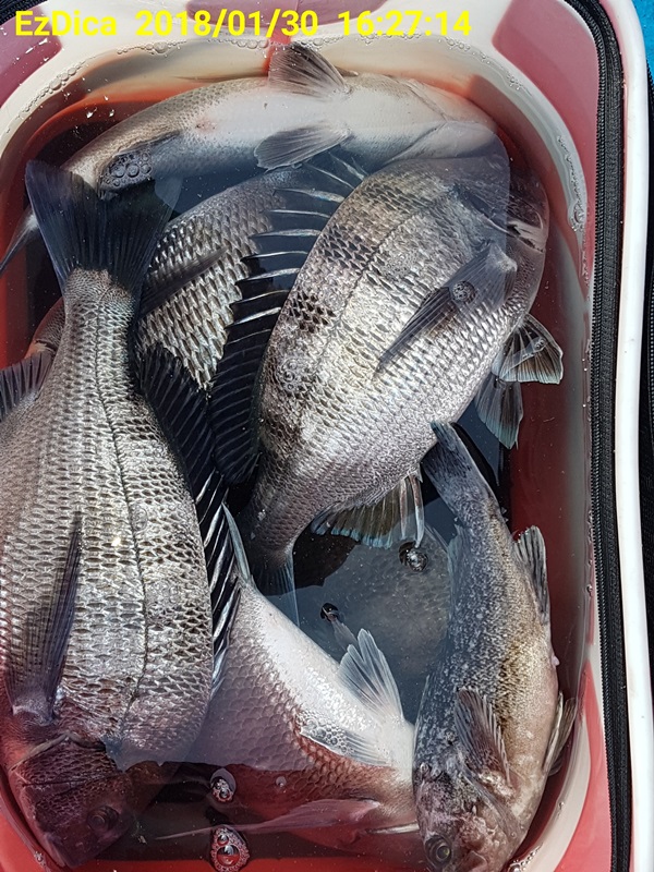
① 출 조 일 : 2018.1.30
② 출 조 지 : 통영 곤리도
③ 출조 인원 : 1
④ 물 때 : 여섯물
⑤ 바다 상황 : 바람 조금 아주추움
⑥ 조황 요약 : 여섯번째 조황 이후 시간이 나질않아오랫만에 조황 입니다 한파에 감시들이 많이 굶었는지 대부분 입질이 시원했구요 약은 입질 서둘러 챔질 하는 바람에 두번 벗겨지는 바람에 오늘 낚시가 끝이 나버렸네요 아직도 잡어성화에 미끼는 옥수수
고요 감시가 힘이 많이 붙어 당찬손맛 많이 보고
왔습니다 춥다고 망설이지 마시고 한번씩들 도전해
보세요
② 출 조 지 : 통영 곤리도
③ 출조 인원 : 1
④ 물 때 : 여섯물
⑤ 바다 상황 : 바람 조금 아주추움
⑥ 조황 요약 : 여섯번째 조황 이후 시간이 나질않아오랫만에 조황 입니다 한파에 감시들이 많이 굶었는지 대부분 입질이 시원했구요 약은 입질 서둘러 챔질 하는 바람에 두번 벗겨지는 바람에 오늘 낚시가 끝이 나버렸네요 아직도 잡어성화에 미끼는 옥수수
고요 감시가 힘이 많이 붙어 당찬손맛 많이 보고
왔습니다 춥다고 망설이지 마시고 한번씩들 도전해
보세요








