간만에 발방감시.....


① 출 조 일 : 오늘
② 출 조 지 : 발방
③ 출조 인원 : 4인
④ 물 때 : 들물
⑤ 바다 상황 : 저수온,잡어속에,감시들
⑥ 조황 요약 :
간만에 남해쪽 버리고 삼천포 발방으로 들어가봅니다
6시경 아침먹고 유성호배타고 발방 6번자리 들어가봅니다
6번옆 형님들2분 한분5번쪽 전 7번쪽 자리잡고 캐스팅합니다
안착도 되기전이나 안착후 크릴이 살아남지 않는상황
면번을 던져보지만 힘드네요 망상어,쥐치,복어,장난아닙니다
그와중에 2형님 선자리에서 낚수대가 꼬구라지네요
힘은 역시나 좋네요ㅎㅎ 35급들로 줄줄이 잡아 주시네요
5번형님이랑 저랑 잡어에 시달리는중에 따문따문
잡으시는형님 잡어성화에 못이기고 다같이 모여서 쪼아보니
집어가 되었늣지 따문따문 물어주네요 수온 하락기에
잡어가 설치니 낚시하기 힘드네요
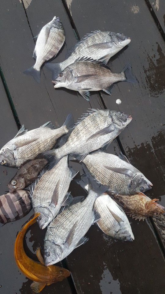
총 9수에 몇번은 벗거짐후 철수합니다
친절하신 유성호 선장님 감사합니다
② 출 조 지 : 발방
③ 출조 인원 : 4인
④ 물 때 : 들물
⑤ 바다 상황 : 저수온,잡어속에,감시들
⑥ 조황 요약 :
간만에 남해쪽 버리고 삼천포 발방으로 들어가봅니다
6시경 아침먹고 유성호배타고 발방 6번자리 들어가봅니다
6번옆 형님들2분 한분5번쪽 전 7번쪽 자리잡고 캐스팅합니다
안착도 되기전이나 안착후 크릴이 살아남지 않는상황
면번을 던져보지만 힘드네요 망상어,쥐치,복어,장난아닙니다
그와중에 2형님 선자리에서 낚수대가 꼬구라지네요
힘은 역시나 좋네요ㅎㅎ 35급들로 줄줄이 잡아 주시네요
5번형님이랑 저랑 잡어에 시달리는중에 따문따문
잡으시는형님 잡어성화에 못이기고 다같이 모여서 쪼아보니
집어가 되었늣지 따문따문 물어주네요 수온 하락기에
잡어가 설치니 낚시하기 힘드네요
총 9수에 몇번은 벗거짐후 철수합니다
친절하신 유성호 선장님 감사합니다

