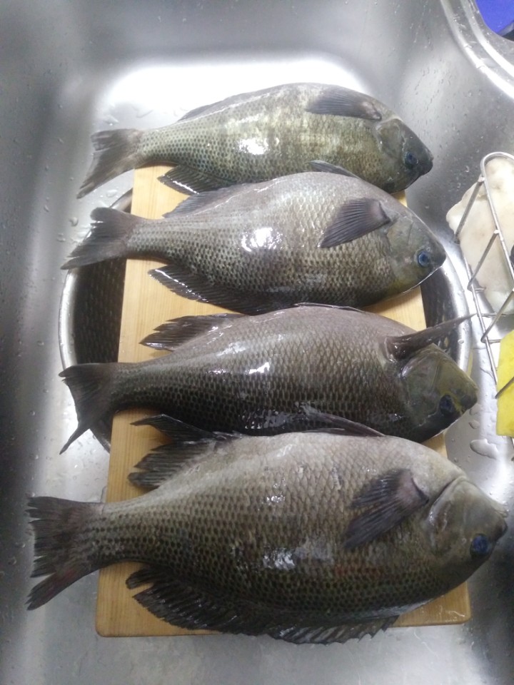
씨알급 동해안 벵에돔!!
① 출 조 일 : 오늘오후
② 출 조 지 :
③ 출조 인원 :
④ 물 때 :
⑤ 바다 상황 :
⑥ 조황 요약 :
안녕하세요 이천희입니다!
오늘오후 동해안 방파제 벵에돔낚시 다녀왔습니다!
자작 벵에돔목줄찌 빵킬찌 외바늘용으로
잔씨알 25센치이하 수도 없이방생하고 25ㅡ34급으로
30여수에 손님고기 감성돔이 빵가루미끼를 물고 나오네요!!ㅎㅎ
벵에돔 낚시 팁한가지 알려드리자면
입질이 시작되거나 밑밥에 부상하기 시작하면 밑밥양을
절반이하로 줄여주세요. 작은주걱을 사용하시는것도 한가지 방법입니다. 벵에돔은 내장기관이 길지않아서
금방 배가차서 미끼는 잘 건드리지 않는답니다.
잘 숙지하셔서 벵에돔 손맛 보시길 바라며
이만 줄이겠습니다!
'★루이피싱★' 밴드로 초대합니다.
https://band.us/n/aca3X22bsfUbL
밴드명을 검색해 가입할 수 있습니다.
From 이천희



