2017년마지막 낚시
① 출 조 일 : 12월29일
② 출 조 지 : 남해
③ 출조 인원 : 1+1
④ 물 때 : 4물
⑤ 바다 상황 : 새벽 넘추움 낮엔 따시네요
⑥ 조황 요약 :
감시 귀신이라불리는 절친 친구와 2017년마직막 낚시다녀왔습니다
원래는 욕지권 으로방향을 잡았다가 뻥치기배들이 설친다고
선장님이 오지말라네요 음ㅡㅡ 어디로갈까하다가
남해쪽으로방향을틉니다
새벽5시출항해서 나가니 온통 뽈라루어하시는분들이 포인트
를 잡고 계시네요 할수없이 양해부탁드리고 아침까지기다려봅니다
7시에 철수하시고 낚시를진행해봅니다
여기저기에 수초와 몰들이 군데군데 안보이는곳까지 자라서 낚시가힘들겠구나 생각이듭니다
일단 수심을이리저리찍어보니 깊은곳이8미터 낮은곳은4미터
전형적인 낮은 여밭 형태로되어있네요
밑걸림도심하고 몰들이있어 채비운영여간 힘든게아니네요
보이는 몰은 피하겠는데 안보이고물속몰들은피하기힘드네요
처음엔 고부력 반유동은하다가 조류도안가고 저부력잠길찌로
교체 합니다
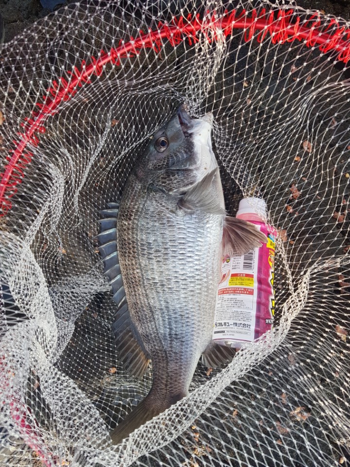
9시경 친구가먼저 4짜후반준수한 씨알을뽑아내고
바로저에게도어신이 옵니다 하지만 통발줄에 감겨 터지고마네요
그후론 입질뚝 조류도안가고 바람도많이불고 식사를하고
천천히 오후낚시에 들어갑니다
바람도잠잠해지고 물도서서히 움직이니 입질이 따문따문들어오네요
3마리가 목표였는데 총5마리 4짜3마리 3짜후반2마리
친구1마리 제가4마리 이렇게마무리하고
갯바위청소를시작합니다 구서구석 많이도 짱빡아 두셨네요
이리저리모으니 큰봉지 두개나되네요
깨끗이치우고나니 속이다시원하네요
친구와올해마지막 낚시 잼나게 마치고 좋은 기분으로
한해를 마무리합니다
② 출 조 지 : 남해
③ 출조 인원 : 1+1
④ 물 때 : 4물
⑤ 바다 상황 : 새벽 넘추움 낮엔 따시네요
⑥ 조황 요약 :
감시 귀신이라불리는 절친 친구와 2017년마직막 낚시다녀왔습니다
원래는 욕지권 으로방향을 잡았다가 뻥치기배들이 설친다고
선장님이 오지말라네요 음ㅡㅡ 어디로갈까하다가
남해쪽으로방향을틉니다
새벽5시출항해서 나가니 온통 뽈라루어하시는분들이 포인트
를 잡고 계시네요 할수없이 양해부탁드리고 아침까지기다려봅니다
7시에 철수하시고 낚시를진행해봅니다
여기저기에 수초와 몰들이 군데군데 안보이는곳까지 자라서 낚시가힘들겠구나 생각이듭니다
일단 수심을이리저리찍어보니 깊은곳이8미터 낮은곳은4미터
전형적인 낮은 여밭 형태로되어있네요
밑걸림도심하고 몰들이있어 채비운영여간 힘든게아니네요
보이는 몰은 피하겠는데 안보이고물속몰들은피하기힘드네요
처음엔 고부력 반유동은하다가 조류도안가고 저부력잠길찌로
교체 합니다
9시경 친구가먼저 4짜후반준수한 씨알을뽑아내고
바로저에게도어신이 옵니다 하지만 통발줄에 감겨 터지고마네요
그후론 입질뚝 조류도안가고 바람도많이불고 식사를하고
천천히 오후낚시에 들어갑니다
바람도잠잠해지고 물도서서히 움직이니 입질이 따문따문들어오네요
3마리가 목표였는데 총5마리 4짜3마리 3짜후반2마리
친구1마리 제가4마리 이렇게마무리하고
갯바위청소를시작합니다 구서구석 많이도 짱빡아 두셨네요
이리저리모으니 큰봉지 두개나되네요
깨끗이치우고나니 속이다시원하네요
친구와올해마지막 낚시 잼나게 마치고 좋은 기분으로
한해를 마무리합니다












