나름 원도권인데요..
① 출 조 일 : 11월중순. 12월10일
② 출 조 지 : 역만도. 대모도
③ 출조 인원 : 혼자조과
④ 물 때 :
⑤ 바다 상황 : 바람탱탱
⑥ 조황 요약 :
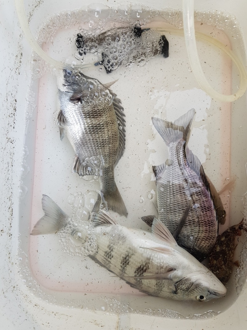
대전서 참한감시보려 먼길 마다않고 달려갔지만.
역만도2 (윗 이미지)
대모도3 (아래이미지)
겨우 키핑이즈만 .
좀 아쉽네요~~^^
② 출 조 지 : 역만도. 대모도
③ 출조 인원 : 혼자조과
④ 물 때 :
⑤ 바다 상황 : 바람탱탱
⑥ 조황 요약 :
대전서 참한감시보려 먼길 마다않고 달려갔지만.
역만도2 (윗 이미지)
대모도3 (아래이미지)
겨우 키핑이즈만 .
좀 아쉽네요~~^^









