진해 감성돔 조황

① 출 조 일 : 어제
② 출 조 지 : 진해
③ 출조 인원 : 2인
④ 물 때 : 안물때
⑤ 바다 상황 : 좋았다 더러웠다 ㅎ
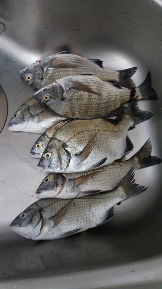
⑥ 조황 요약 : 감시6마리
아침 일끝네고 간단하게 짬낚시 가봅니다
늘같이 가는 울회사 반장과 새로나온 밑밥테스트도 겸 짬낚
11시쯤 도착해서 내항방파제에 밑밥몇주걱 품질하니 메가리양식장
흐미 요기는 안되것다 오늘은 잡어가 덜한 외항결정
초반시즌이라 사이즈는25사이즈 고만고만한넘들이 물고 늘어지네요
집어력 좋고 원투성 확상성도 좋고 가격싸고~~~^^
따문따문 3대3으로 사이좋게 잡고 3시간 낚시를 뒤로하고 날도
넘 더워서 철수 결정합니다
바람은 시원하나 땡볓은 따갑네요 썬크림만 밑지말고 긴팔긴바지 입고하세요 반팔에 반바지입고 낚시해서 화상입었네요 ㅠ
② 출 조 지 : 진해
③ 출조 인원 : 2인
④ 물 때 : 안물때
⑤ 바다 상황 : 좋았다 더러웠다 ㅎ
⑥ 조황 요약 : 감시6마리
아침 일끝네고 간단하게 짬낚시 가봅니다
늘같이 가는 울회사 반장과 새로나온 밑밥테스트도 겸 짬낚
11시쯤 도착해서 내항방파제에 밑밥몇주걱 품질하니 메가리양식장
흐미 요기는 안되것다 오늘은 잡어가 덜한 외항결정
초반시즌이라 사이즈는25사이즈 고만고만한넘들이 물고 늘어지네요
집어력 좋고 원투성 확상성도 좋고 가격싸고~~~^^
따문따문 3대3으로 사이좋게 잡고 3시간 낚시를 뒤로하고 날도
넘 더워서 철수 결정합니다
바람은 시원하나 땡볓은 따갑네요 썬크림만 밑지말고 긴팔긴바지 입고하세요 반팔에 반바지입고 낚시해서 화상입었네요 ㅠ







