폭우속 긴꼬리~~
① 출 조 일 : 목
② 출 조 지 : 좌사리도
③ 출조 인원 :
④ 물 때 :
⑤ 바다 상황 : 날밝고 폭우에 천둥번개..
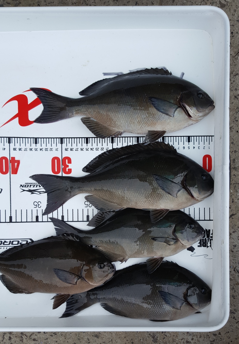
⑥ 조황 요약 : 밤엔 고등어.전갱이때문에 좌절하다가 날이밝아옴과 동시에 연타로 입질!! 그런데 갑자기 폭우가...입질뚝...
바늘 날라간거 4번 ㅠㅠ 지난주에 이어 손맛보고 갑니다.
장마철 비옷 꼭 챙겨다니세요~
② 출 조 지 : 좌사리도
③ 출조 인원 :
④ 물 때 :
⑤ 바다 상황 : 날밝고 폭우에 천둥번개..
⑥ 조황 요약 : 밤엔 고등어.전갱이때문에 좌절하다가 날이밝아옴과 동시에 연타로 입질!! 그런데 갑자기 폭우가...입질뚝...
바늘 날라간거 4번 ㅠㅠ 지난주에 이어 손맛보고 갑니다.
장마철 비옷 꼭 챙겨다니세요~











