신지도 조행(상황이 좋네요)
① 출 조 일 : 12.17
② 출 조 지 : 신지도
③ 출조 인원 : 2
④ 물 때 : 11
⑤ 바다 상황 : 좋음 뒤집어진물로 적당히탁한물색
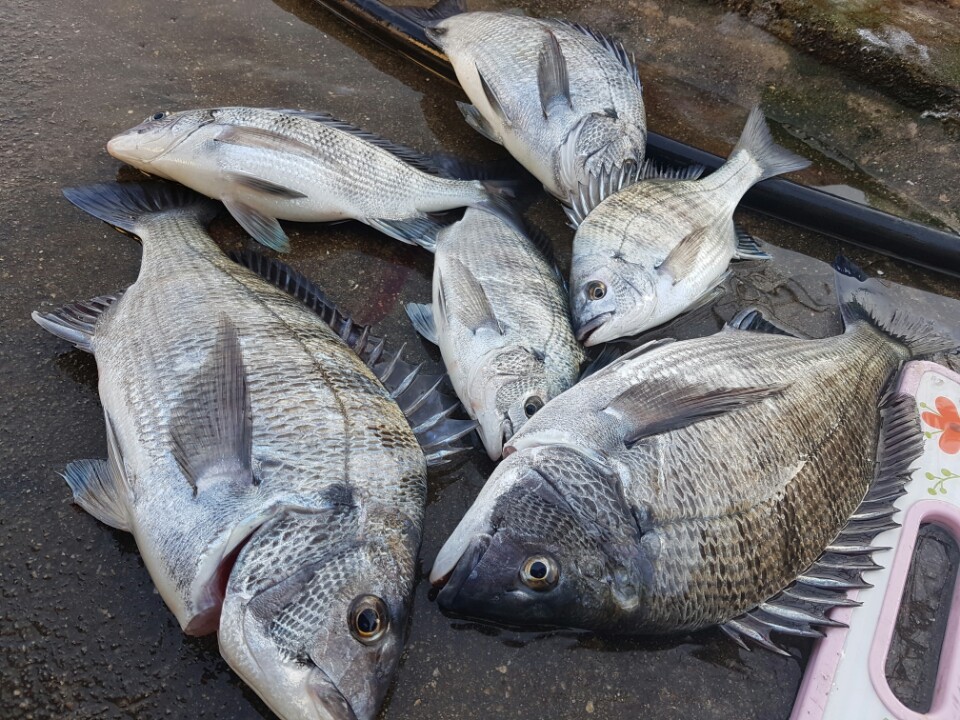
⑥ 조황 요약 :
안녕하세요 목포아빠와아들입니다 ^^
오늘신지도에 다녀왓습니다!
이번주 기상이안좋아 바다가 뒤집어져 한번다녀왓는데요
예상대로 손맛볼만큼 보고온하루엿네요 ㅎㅎ
자세한 조행기는 제블로그에!!
http://m.blog.naver.com/in2353/220888303633
② 출 조 지 : 신지도
③ 출조 인원 : 2
④ 물 때 : 11
⑤ 바다 상황 : 좋음 뒤집어진물로 적당히탁한물색
⑥ 조황 요약 :
안녕하세요 목포아빠와아들입니다 ^^
오늘신지도에 다녀왓습니다!
이번주 기상이안좋아 바다가 뒤집어져 한번다녀왓는데요
예상대로 손맛볼만큼 보고온하루엿네요 ㅎㅎ
자세한 조행기는 제블로그에!!
http://m.blog.naver.com/in2353/220888303633







