남해 향촌 씨알좋네요 실시간조황
① 출 조 일 : 7일
② 출 조 지 : 남해향촌
③ 출조 인원 : 2
④ 물 때 : 1물
⑤ 바다 상황 : 잔잔
⑥ 조황 요약 :
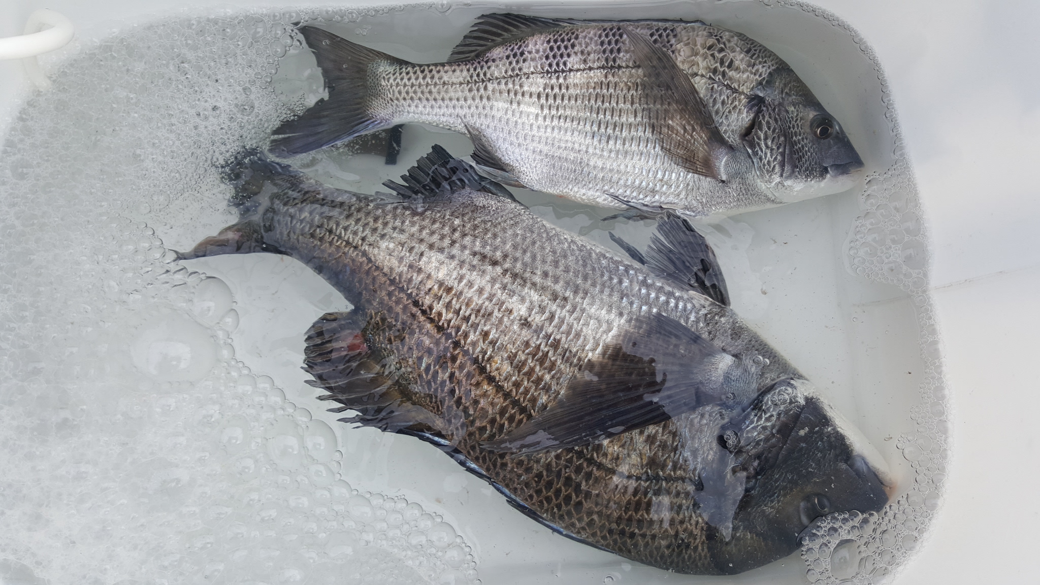
40후반한마리 30중반한마리 4짜한마리 바늘벗겨짐 남해라는곳 올수록매력있네요 기상좋은날한번더와야겠습니다
② 출 조 지 : 남해향촌
③ 출조 인원 : 2
④ 물 때 : 1물
⑤ 바다 상황 : 잔잔
⑥ 조황 요약 :
40후반한마리 30중반한마리 4짜한마리 바늘벗겨짐 남해라는곳 올수록매력있네요 기상좋은날한번더와야겠습니다








