해상콘도


① 출 조 일 : 11월16일
② 출 조 지 : 근포
③ 출조 인원 : 6명
④ 물 때 : 9물
⑤ 바다 상황 : 잔잔
⑥ 조황 요약 :
귀촌을 며칠 남겨두고 가족들과 낚시여행 하는중입니다
골수꾼 한명은 아직 낚시 하는중 입니다
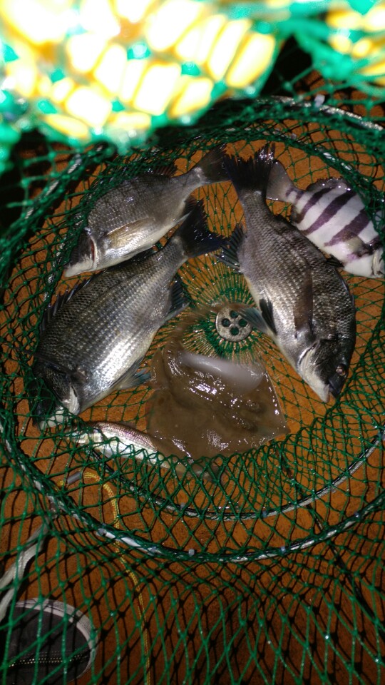
해상콘도 이다보니 어종이 다양한거 같습니다
감성돔,갑오징어,도다리등, 옆에서 마누라가 세어보니
아홉종류라고하네요 사진에서 안보이면 소화되는중 입니다
장르는 카고 흘림 루어 했네요
사진이 두장뿐이 안되나요?
② 출 조 지 : 근포
③ 출조 인원 : 6명
④ 물 때 : 9물
⑤ 바다 상황 : 잔잔
⑥ 조황 요약 :
귀촌을 며칠 남겨두고 가족들과 낚시여행 하는중입니다
골수꾼 한명은 아직 낚시 하는중 입니다
해상콘도 이다보니 어종이 다양한거 같습니다
감성돔,갑오징어,도다리등, 옆에서 마누라가 세어보니
아홉종류라고하네요 사진에서 안보이면 소화되는중 입니다
장르는 카고 흘림 루어 했네요
사진이 두장뿐이 안되나요?







