남해 감시 조과입니다
① 출 조 일 : 주말
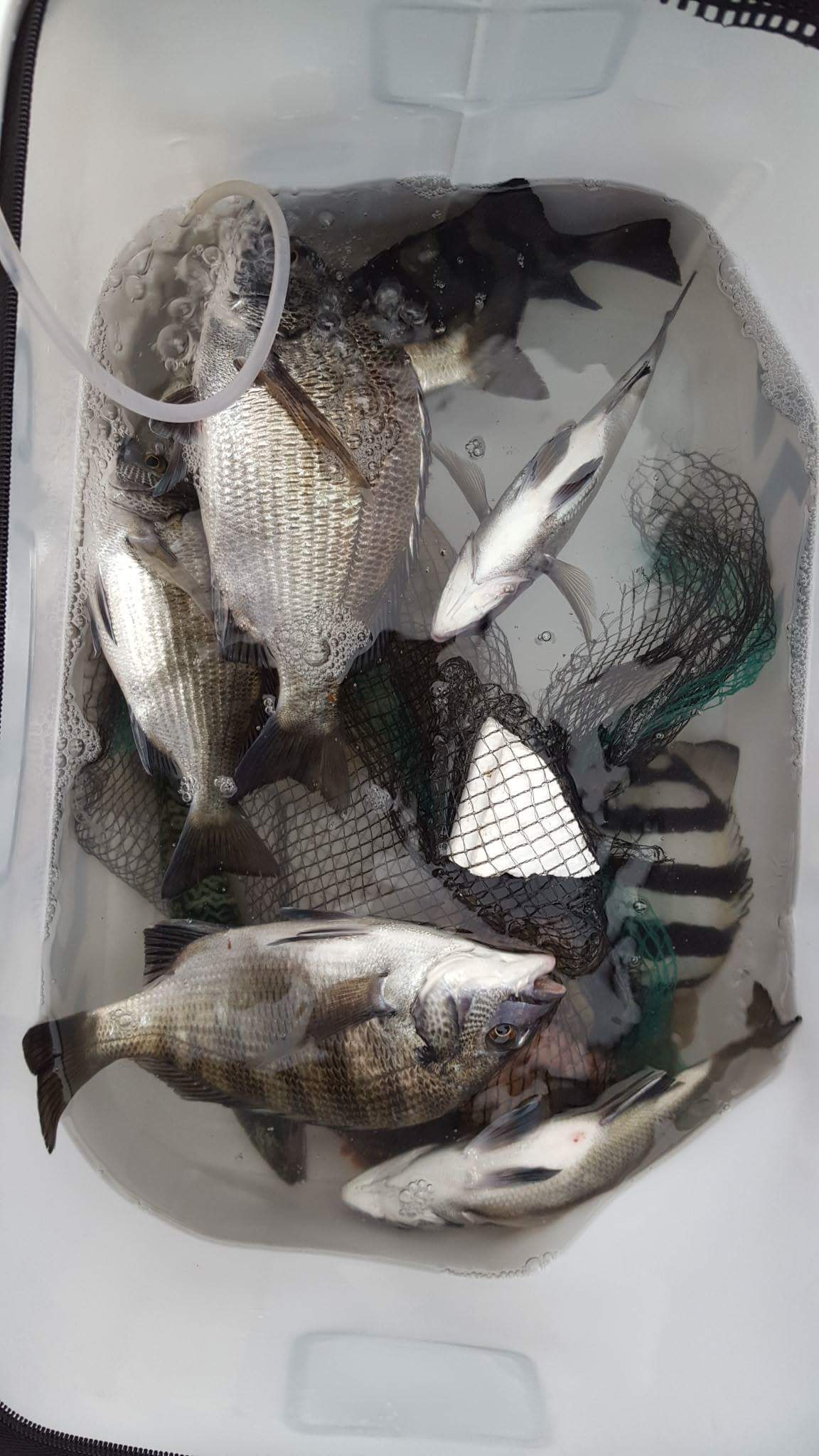
② 출 조 지 : 남해
③ 출조 인원 : 2
④ 물 때 : 7.8
⑤ 바다 상황 : 첫날 조류 괜찮고 물색좋음 둘날 물도 안가고 초록빛바다
⑥ 조황 요약 : 첫날은 대략 한시간동안 뺀찌를 비롯해 ㅣ시간 ㅣㅇ수이상 사이즈 20후반 이튿날 20중반 후반
② 출 조 지 : 남해
③ 출조 인원 : 2
④ 물 때 : 7.8
⑤ 바다 상황 : 첫날 조류 괜찮고 물색좋음 둘날 물도 안가고 초록빛바다
⑥ 조황 요약 : 첫날은 대략 한시간동안 뺀찌를 비롯해 ㅣ시간 ㅣㅇ수이상 사이즈 20후반 이튿날 20중반 후반







