비진도. 완전 자리없어요,
① 출 조 일 : 10.1일
② 출 조 지 : 통영 비진도
③ 출조 인원 : 4명.인낚동출
④ 물 때 : 10
⑤ 바다 상황 : 조아요
⑥ 조황 요약 :
늦게 출조해보아요 가면서 자리없다고 용초도 갈레했는데.
역쉬 자리가 없네요. 완전 사람많네요.ㅎ
비진도.여기저기 돌다가. 내린자리 날밝아 보니 뒷쪽 겟바위에서 쭈그리고 주무시네요.ㅠㅠ 에휴 낚시 오셔서면 여긴 사람있다고 머라도 보이게 해야지않나요. 분명내릴때 아무것도 없었는데. 50m 떨어진곳으로 갯바위절벽타고이동 아찔ㅠㅠ
날ㅆㅣ가덥다.ㅋ 자리이동하고 보니 낚시할맘이 없네요.ㅋ
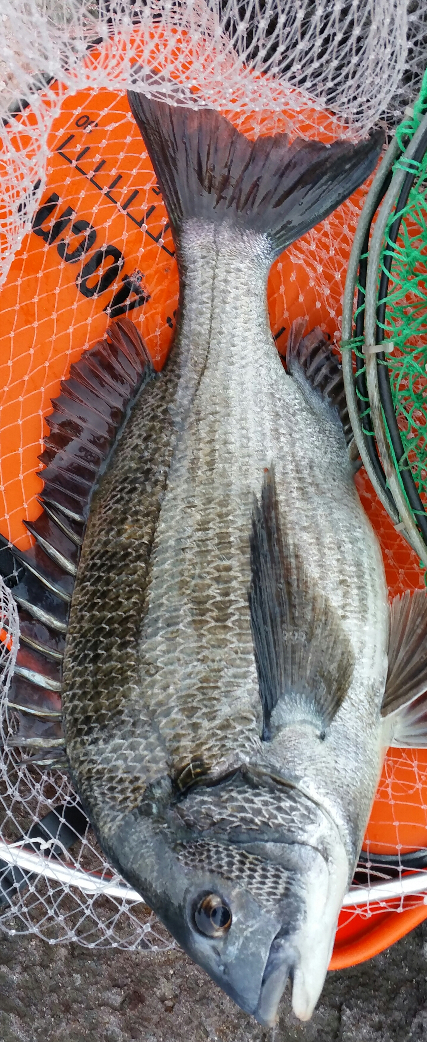
참 갯지렁이 달아서 던지니 입질이 확끈하게오네요.
잡어도 많고 힘든하루였네요.
태풍오는데. 무탈하세요.
② 출 조 지 : 통영 비진도
③ 출조 인원 : 4명.인낚동출
④ 물 때 : 10
⑤ 바다 상황 : 조아요
⑥ 조황 요약 :
늦게 출조해보아요 가면서 자리없다고 용초도 갈레했는데.
역쉬 자리가 없네요. 완전 사람많네요.ㅎ
비진도.여기저기 돌다가. 내린자리 날밝아 보니 뒷쪽 겟바위에서 쭈그리고 주무시네요.ㅠㅠ 에휴 낚시 오셔서면 여긴 사람있다고 머라도 보이게 해야지않나요. 분명내릴때 아무것도 없었는데. 50m 떨어진곳으로 갯바위절벽타고이동 아찔ㅠㅠ
날ㅆㅣ가덥다.ㅋ 자리이동하고 보니 낚시할맘이 없네요.ㅋ
참 갯지렁이 달아서 던지니 입질이 확끈하게오네요.
잡어도 많고 힘든하루였네요.
태풍오는데. 무탈하세요.








