생활낚시인은 줄겁다.
① 출 조 일 : 2016.3.26 토요일
② 출 조 지 : 거제
③ 출조 인원 : 홀로
④ 물 때 : 좋을때
⑤ 바다 상황 : "
⑥ 조황 요약 :
오늘은 비소식이 예보 되여있어 하늘만 바라보다.
오후에 여유있게 출발 했습니다.
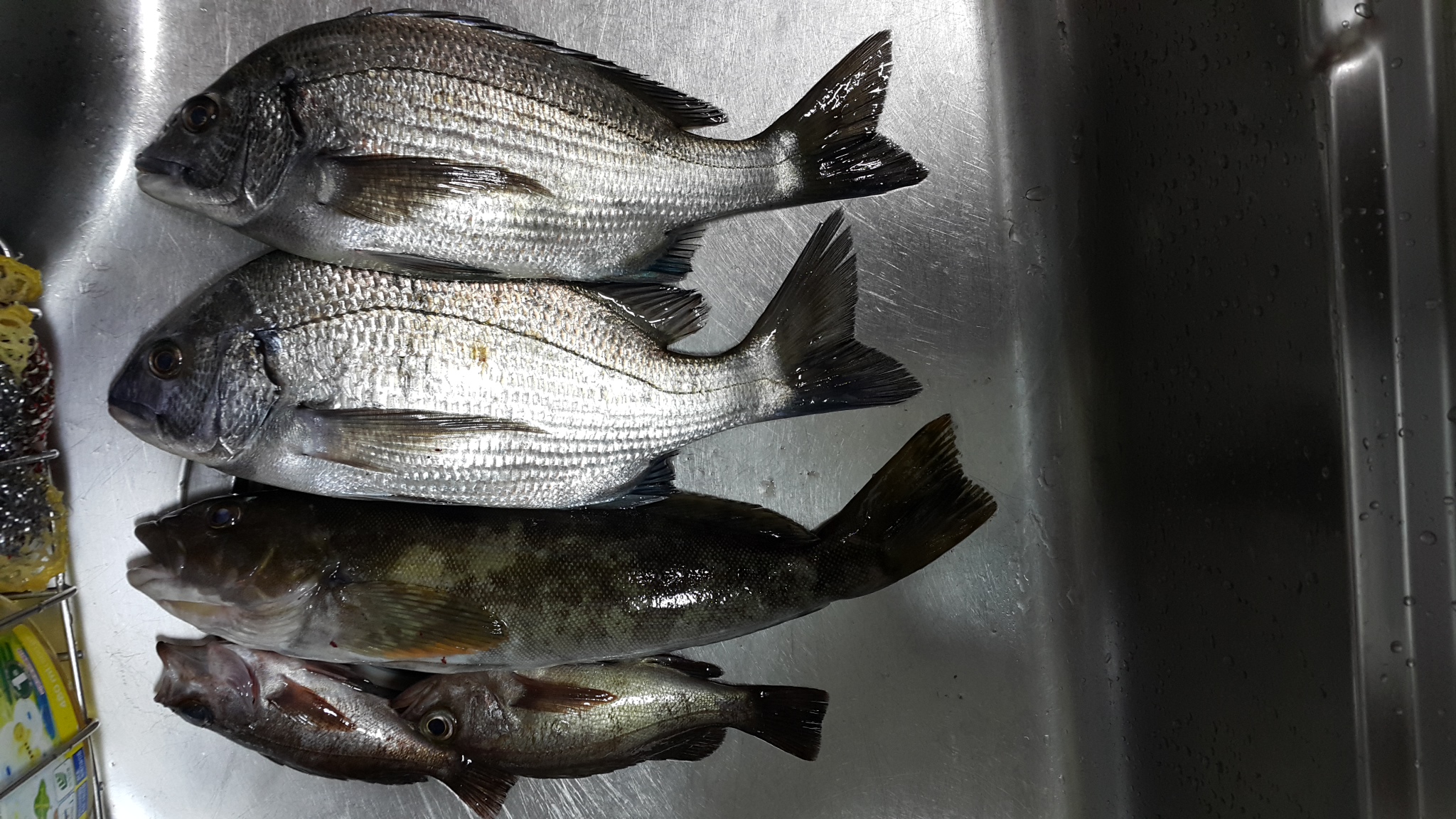
조항은 감성돔 31 2수 . 쥐느래미 1수. 볼락2수.
힐링하고 왔습니다.굿
② 출 조 지 : 거제
③ 출조 인원 : 홀로
④ 물 때 : 좋을때
⑤ 바다 상황 : "
⑥ 조황 요약 :
오늘은 비소식이 예보 되여있어 하늘만 바라보다.
오후에 여유있게 출발 했습니다.
조항은 감성돔 31 2수 . 쥐느래미 1수. 볼락2수.
힐링하고 왔습니다.굿








