악조건속에 금호방조제감성돔
① 출 조 일 : 10.1
② 출 조 지 : 영암 금호방조제
③ 출조 인원 : 2명
④ 물 때 : 7물
⑤ 바다 상황 : 뻘물,속조류와다른겉조류
⑥ 조황 요약 :
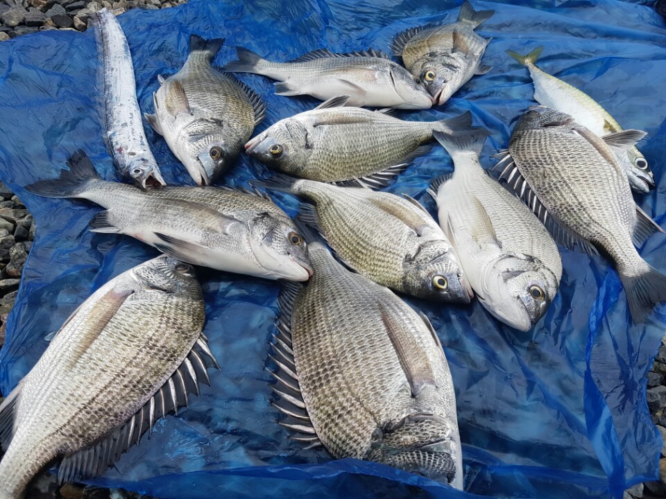
안녕하세요 목포아빠와아들입니다 ^^
요즘 고기가많이붙을시기라 금호방조제에다녀왓는데요
아침에간조가겹친물때라 대박을예상하고갓지만
요몇칠 내린비로인해 아침피크때에 수문을 터버리네요
... 아시는분은 아시겟지만 이쪽방조제는 수문을터버리면 거의몰황입니다 그래서 마음을비우고 낚시를 이어갓으나
수문을터버리니 속조류는 가만잇는데 겉조류가 계속횡으로 엄청난속도로 몰아붙치네요 수문을닫고 1시간이지나자 입질이시작되엇습니다 1마리 2마리 따문따문올라옵니다 열심히하다보니 마릿수는한 10마리되네요^^ 디낚헤드라인에도 올라왓더군요 금호방조제 거기사진찍히신분뒤쪽에 검은색옷이저입니다.....ㅋㅋㅋㅋ 고기는많이들어왓으니 손맛보고가시길바랍니다
② 출 조 지 : 영암 금호방조제
③ 출조 인원 : 2명
④ 물 때 : 7물
⑤ 바다 상황 : 뻘물,속조류와다른겉조류
⑥ 조황 요약 :
안녕하세요 목포아빠와아들입니다 ^^
요즘 고기가많이붙을시기라 금호방조제에다녀왓는데요
아침에간조가겹친물때라 대박을예상하고갓지만
요몇칠 내린비로인해 아침피크때에 수문을 터버리네요
... 아시는분은 아시겟지만 이쪽방조제는 수문을터버리면 거의몰황입니다 그래서 마음을비우고 낚시를 이어갓으나
수문을터버리니 속조류는 가만잇는데 겉조류가 계속횡으로 엄청난속도로 몰아붙치네요 수문을닫고 1시간이지나자 입질이시작되엇습니다 1마리 2마리 따문따문올라옵니다 열심히하다보니 마릿수는한 10마리되네요^^ 디낚헤드라인에도 올라왓더군요 금호방조제 거기사진찍히신분뒤쪽에 검은색옷이저입니다.....ㅋㅋㅋㅋ 고기는많이들어왓으니 손맛보고가시길바랍니다








