여수 횡간도 금오도 본섬 1박2일 조과

신상품 소개


회원 랭킹


공지사항


NaverBand
[낚시인] 번개조황 - 2016년
글 읽기만 가능합니다.

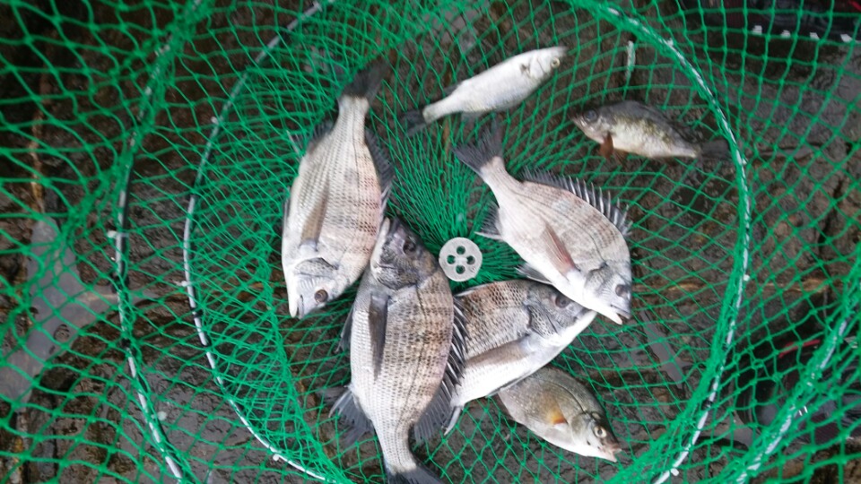
여수 횡간도 금오도 본섬 1박2일 조과

정릉멋쟁이 4 2859 0
① 출 조 일 : 2016년10월08일~09일(오전9시~오후5시)
② 출 조 지 : 여수 횡간도 금오도본섬
③ 출조 인원 : 2명
④ 물 때 : 감성돔 입질시간(끝들물, 초날물에 집중)
⑤ 바다 상황 : 비와 강풍(열악한 조건)
⑥ 조황 요약 : 친절하신 여수낚시군단 및 탐진호 선장님께 먼저감사인사 전합니다~^^
조황: 감성돔 총7마리(25~30센치: 4수 33급:3수),잡어다수(숭어, 볼락, 인상어, 망상어, 복어, 용치놀래기, 자리돔, 깔다구, 전갱이, 학꽁치 등)
최악의 기상조건에서의 값진조과로 시간가는줄 모르고
간만에 즐건낚시를 했네요~ㅋ
사진을 많이 찍지 못하고 중간조과 사진만 올립니다
오늘하루도 모든분들 어복 충만한 하루 되세요~^^

4 Comments
여수감정돔 2016.10.10 11:29  
탈참 안보였나 보내요 전 탈참몇수 하고 친구놈은 씨알이 잘아진 감성돔 몇수햇느데 손맛찐하니 좋았겟네요
정릉멋쟁이 2016.10.10 11:38  
여수감정돔:잠잠한 횡조류흐르는곳에 밑밥동조하니 횡으로(특히 왼쪽에서 오른쪽으로 흐를때)흐르다가 잠수함처럼 들어가네요
그 조류물때데 다 낚은듯
담엔 많이 잡으시길~^^
게토레이 2016.10.10 12:10  
손맛보셨군요 축하합니다~^^
정릉멋쟁이 2016.10.10 12:26  
《Re》게토레이 님 ,
감사합니다
~^^
 
제목
 

인낚 최신글


인낚 최신댓글


온라인 문의 안내


월~금 : 9:00 ~ 18:00
토/일/공휴일 휴무
점심시간 : 12:00 ~ 13:00