손맛을 안겨준 매물도~~
① 출 조 일 : 7월 18일
② 출 조 지 : 매물도
③ 출조 인원 : 2
④ 물 때 :
⑤ 바다 상황 : 너울이 있음
⑥ 조황 요약 :
토요일 오후바리를 가기위해 거제로 나섰습니다.
주말 밖에 시간이 않되어 요즘은 주말마다 기상이 않좋네요.
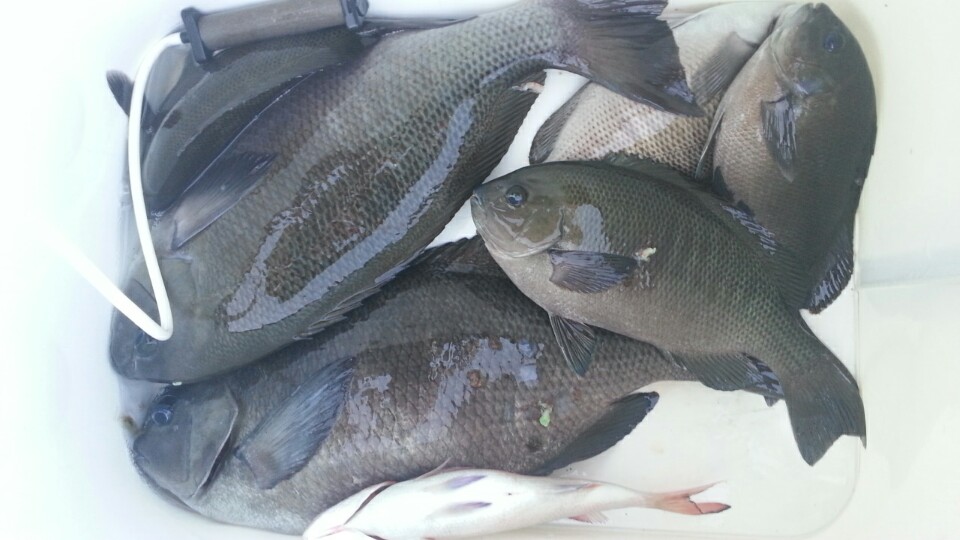
매물도에 내려 보니 아기참돔 들이 너무 많터군요.
그와중에 손맛을 준 씨알좋은 벵에가 나에게로~~
당찬 손맛이더군요. 감시도 좋지만 또다른 매력에 빠지게 합니다.
② 출 조 지 : 매물도
③ 출조 인원 : 2
④ 물 때 :
⑤ 바다 상황 : 너울이 있음
⑥ 조황 요약 :
토요일 오후바리를 가기위해 거제로 나섰습니다.
주말 밖에 시간이 않되어 요즘은 주말마다 기상이 않좋네요.
매물도에 내려 보니 아기참돔 들이 너무 많터군요.
그와중에 손맛을 준 씨알좋은 벵에가 나에게로~~
당찬 손맛이더군요. 감시도 좋지만 또다른 매력에 빠지게 합니다.



