삼천포 발방
① 출 조 일 : 토요일
② 출 조 지 : 삼천포 발방
③ 출조 인원 :
④ 물 때 :아주 적당한 물흐름
⑤ 바다 상황 :약간의 바람
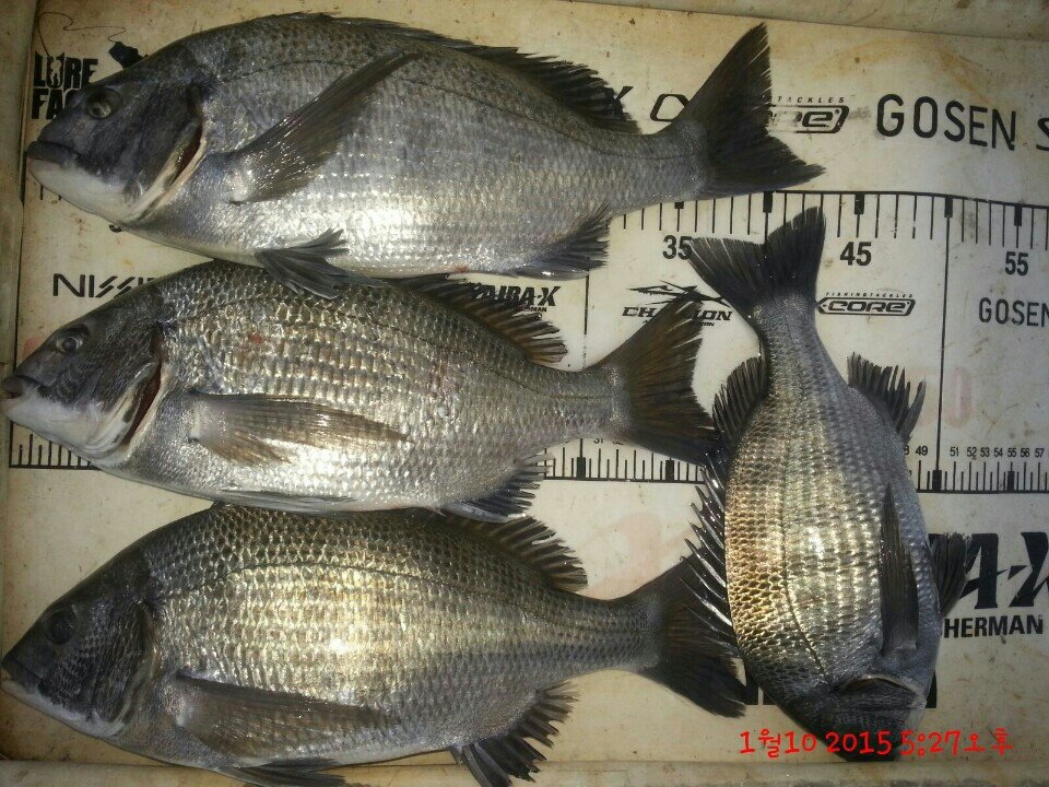
⑥ 조황 요약 : 40급 3마리
안녕하세요~
원도권.준내만.내만어디든 좋지않은 상황에서 다시한번
대전에서 최단거리인 섬천포로 바람이나쌤겸 다녀왔습니다.
그동안의 조황을 설펴 보면 최악이였지만 딱한번 입질만 받아도 성공이라고 생각하고 다녀왔지만 몇수의 감성돔을 낚을수 있었습니다.
준비해가 마끼는
크릴8 파우더4 압맥6
그리고 유통기한지난 꿀 홍삼2리터
미끼는 진공 백크릴
참고로 미끼가 욕나올 정도로 저질 입니다
저는 등대쪽에서 했고 들물에는 내항
날물에 외항에서 했습니다.
수온이 정말 차갑고 활성도가 없었습니다.
같은 찌라도 최대한 예민하고 최대한 간결하게 바닥을
살짝 끌수있는 채비가 통했던거 같아요
첫고기의 찌의 움직임은 한마디도 아니고
1cm내려간 상황에서 찌의 미새한 떨림 캐치
고기가 크릴을 머금어도 움직이지 않는다고 판단후
그뒤로는 채비 안착후 5~10초간격으로 대략20~30cm로
간사한견제로 입질 또는 밑걸림은 파악후 챔질 하여
낚을수 있었습니다.
견제로 하여금 입질을 유도한다는 맥락보다는
활성도 없이 미끼를 물고있는 그 타이밍을
확인할수 있게 견제하여 찌의 미새한 변화시
챔질타이밍을 잡을수 있었던거 같아요
제가 보기에는 아직 고기는 빠지지 않은것 같지만
아주 낮은 수온으로 먹이 활동을 활발히 하지 않는것같습니다.
수온이 안정되고 물속 여건만 좋아지면
반짠조황 대박조황이 한번은 더 올듯 싶네요
어제 낚시에 가장 아쉬웠던 순간은
가마 토너먼트3호 바늘의
펴짐과 과 동시에 바늘끝이 무뎌진거 입니다.
단단한 이빨에 챔질이 되면서 바늘끝이 찌끄러 지면서
주둥이에 걸렸지만 끝내는 바늘이 펴질걸로 생각듭니다
혹시라도 가까운 발방 다녀오실분은 참고만 하시고
제가 보기에도 몰황수준 맞습니다
② 출 조 지 : 삼천포 발방
③ 출조 인원 :
④ 물 때 :아주 적당한 물흐름
⑤ 바다 상황 :약간의 바람
⑥ 조황 요약 : 40급 3마리
안녕하세요~
원도권.준내만.내만어디든 좋지않은 상황에서 다시한번
대전에서 최단거리인 섬천포로 바람이나쌤겸 다녀왔습니다.
그동안의 조황을 설펴 보면 최악이였지만 딱한번 입질만 받아도 성공이라고 생각하고 다녀왔지만 몇수의 감성돔을 낚을수 있었습니다.
준비해가 마끼는
크릴8 파우더4 압맥6
그리고 유통기한지난 꿀 홍삼2리터
미끼는 진공 백크릴
참고로 미끼가 욕나올 정도로 저질 입니다
저는 등대쪽에서 했고 들물에는 내항
날물에 외항에서 했습니다.
수온이 정말 차갑고 활성도가 없었습니다.
같은 찌라도 최대한 예민하고 최대한 간결하게 바닥을
살짝 끌수있는 채비가 통했던거 같아요
첫고기의 찌의 움직임은 한마디도 아니고
1cm내려간 상황에서 찌의 미새한 떨림 캐치
고기가 크릴을 머금어도 움직이지 않는다고 판단후
그뒤로는 채비 안착후 5~10초간격으로 대략20~30cm로
간사한견제로 입질 또는 밑걸림은 파악후 챔질 하여
낚을수 있었습니다.
견제로 하여금 입질을 유도한다는 맥락보다는
활성도 없이 미끼를 물고있는 그 타이밍을
확인할수 있게 견제하여 찌의 미새한 변화시
챔질타이밍을 잡을수 있었던거 같아요
제가 보기에는 아직 고기는 빠지지 않은것 같지만
아주 낮은 수온으로 먹이 활동을 활발히 하지 않는것같습니다.
수온이 안정되고 물속 여건만 좋아지면
반짠조황 대박조황이 한번은 더 올듯 싶네요
어제 낚시에 가장 아쉬웠던 순간은
가마 토너먼트3호 바늘의
펴짐과 과 동시에 바늘끝이 무뎌진거 입니다.
단단한 이빨에 챔질이 되면서 바늘끝이 찌끄러 지면서
주둥이에 걸렸지만 끝내는 바늘이 펴질걸로 생각듭니다
혹시라도 가까운 발방 다녀오실분은 참고만 하시고
제가 보기에도 몰황수준 맞습니다


