풍화리 선외기

① 출 조 일 : 2015년 2월 4일
② 출 조 지 : 통영 풍화리
③ 출조 인원 : 2명
④ 물 때 : 8물
⑤ 바다 상황 : 오전 잠잠 오후 바람
⑥ 조황 요약 :
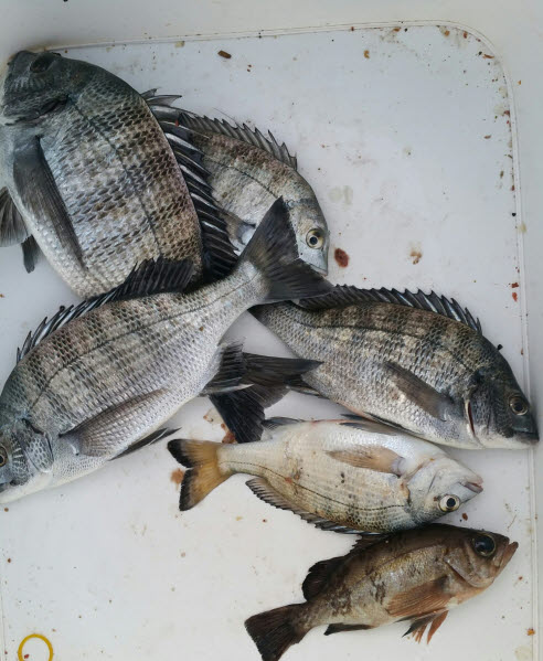
아는 지인과 풍화리 선외기 출조 새벽엔 비가 오더니 시동켜고 어장줄 묶고 자리잡으니 해가 뜨면서 날씨가
좋아져 편한 낚시를 시작했으나 오전에 1마리 후 물이 너무 빨라 입질 무....그러다 오후들어서 1시간 정도
물이 바뀌면서 입질이 계속와 몇마리 더 할수 있었습니다 씨알은 고만고만했으나 마지막에 큰놈 바늘이
벌어지는 현상에 벗겨지고 그 후 바람과 너울로 낚시 접고 철수...
② 출 조 지 : 통영 풍화리
③ 출조 인원 : 2명
④ 물 때 : 8물
⑤ 바다 상황 : 오전 잠잠 오후 바람
⑥ 조황 요약 :
아는 지인과 풍화리 선외기 출조 새벽엔 비가 오더니 시동켜고 어장줄 묶고 자리잡으니 해가 뜨면서 날씨가
좋아져 편한 낚시를 시작했으나 오전에 1마리 후 물이 너무 빨라 입질 무....그러다 오후들어서 1시간 정도
물이 바뀌면서 입질이 계속와 몇마리 더 할수 있었습니다 씨알은 고만고만했으나 마지막에 큰놈 바늘이
벌어지는 현상에 벗겨지고 그 후 바람과 너울로 낚시 접고 철수...


