소치섬 일박
① 출 조 일 : 8/23
② 출 조 지 : 고성 소치섬
③ 출조 인원 : 2명
④ 물 때 : 1물
⑤ 바다 상황 : 장판이 왔다 갔다
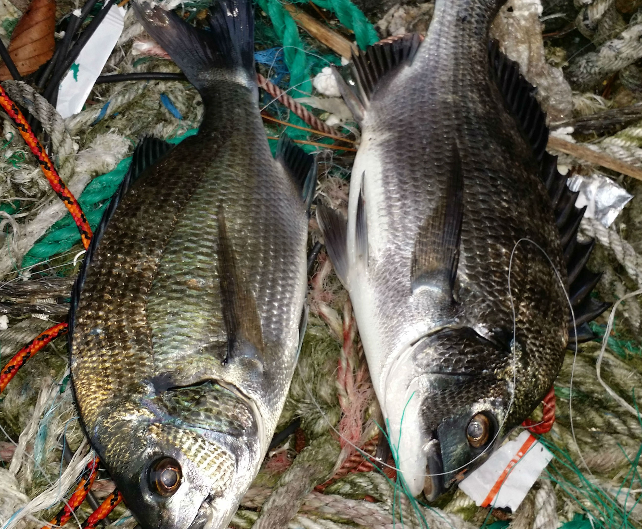
⑥ 조황 요약 : 감생이30전후2/볼락50여마리
처음 써 봅니다
토욜 일 끝나고 6시 남부터미널 출발
고성11시 도착 친구 차로 픽업 11:30분 두포리 도착
12시 출발 소치섬 에 하선
밤새 쪼았습니다
물 안가고 밤새 뻥치기 배들 오락 가락
난리 굿을 하는 와중에 볼락은 입질 예민하고
살살 끌어주면 당기는 볼락들 입질
새벽녘 휘릭 가져가는 감생이 두마리 했습니다
2시경 사천에서 버스타고
서울로
버스로 다녀보니 엄청 고단합니다
② 출 조 지 : 고성 소치섬
③ 출조 인원 : 2명
④ 물 때 : 1물
⑤ 바다 상황 : 장판이 왔다 갔다
⑥ 조황 요약 : 감생이30전후2/볼락50여마리
처음 써 봅니다
토욜 일 끝나고 6시 남부터미널 출발
고성11시 도착 친구 차로 픽업 11:30분 두포리 도착
12시 출발 소치섬 에 하선
밤새 쪼았습니다
물 안가고 밤새 뻥치기 배들 오락 가락
난리 굿을 하는 와중에 볼락은 입질 예민하고
살살 끌어주면 당기는 볼락들 입질
새벽녘 휘릭 가져가는 감생이 두마리 했습니다
2시경 사천에서 버스타고
서울로
버스로 다녀보니 엄청 고단합니다



