감성돔 우당탕탕~47Cm 외 4짜 4짜 4짜 4짜~3대호
페이지 정보
작성자 거제3대낚시 댓글 0건 조회 59회 작성일 25-04-06 14:42본문
6일(일요일) 거제도 감성돔 선상 흘림낚시 "3대호" (마감)조황입니다.
※ 감성돔 53Cm이상(日 1명) 3대호 & 아지카라인 공동이벤트 사은품 증정!!!
※당일 최대어 이벤트 실시!!(아지카 최고급 크리스탈 카본 목줄 증정)
※ 무료승선권 이벤트, https://band.us/band/76255524/post/1871
★ 7일(월요일) 거제출발 어초어장 감성돔(흘림)낚시 "예약가능"
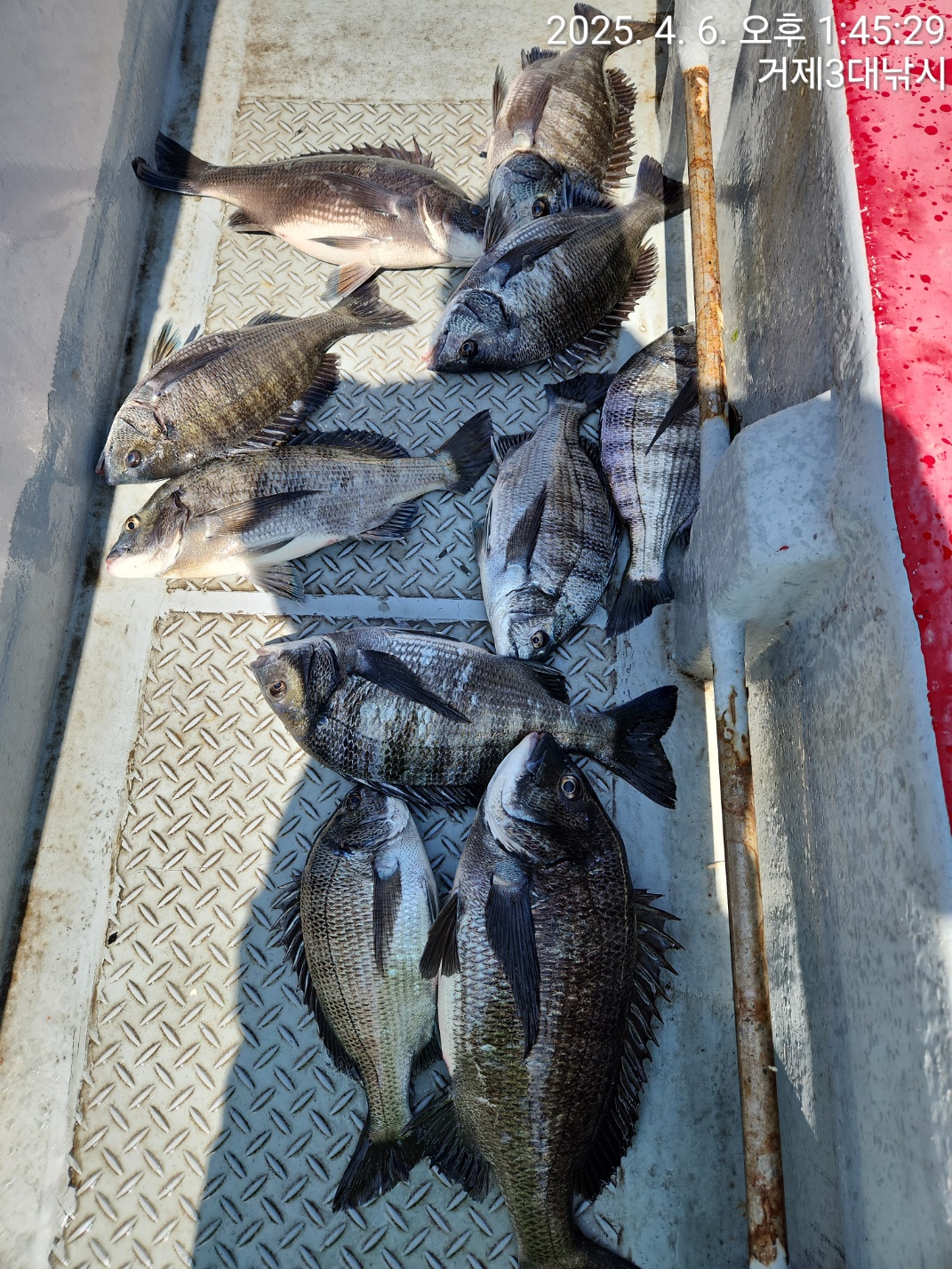
감성돔(흘림)터지고 빠지고 47Cm 외 4짜 4짜 4짜~
대물들 어초 어장권으로 진입 확인~승율 팍팍
※ 감성돔 53Cm이상(日 1명) 3대호 & 아지카라인 공동이벤트 사은품 증정!!!
※당일 최대어 이벤트 실시!!(아지카 최고급 크리스탈 카본 목줄 증정)
※ 무료승선권 이벤트, https://band.us/band/76255524/post/1871
★ 7일(월요일) 거제출발 어초어장 감성돔(흘림)낚시 "예약가능"
감성돔(흘림)터지고 빠지고 47Cm 외 4짜 4짜 4짜~
대물들 어초 어장권으로 진입 확인~승율 팍팍
어초권 감성돔 선상 전문 3대호 입니다.
6분의 조사님들과 진입한 어초 어장권 핫포인트 굵은 씨알의
감성돔들이 연이어 입질을 해주며 녀석들이 이동하는 길목에
제대로 진입한 듯 했고, 막강한 파워에 터지고 예민한 입질에 빠지는
녀석들도 있었지만, 우당탕탕 47Cm 빅원과 44Cm 외 4짜 4짜 4짜 4짜
4짜급들 총 10여수로 찐한 손맛 즐기고 마무리 합니다.
내일도 어초 어장권 대물 감성돔을 노리며 달려보겠습니다.
7일(월요일)부터 거제 출발 감성돔 흘림낚시 예약 가능합니다~
오늘도 거제 3대낚시와 함께해주신 조사님들 수고 많으셨습니다.
영등철이 끝나고, 본격적인 대물감성돔들이 내만권으로 서서히 이동중이고
길목인 어초여밭에 대물과 승부를 해 보겠습니다.
▣ 감성돔 어초여밭 흘림낚시 출조 일정 ▣
★7일(월) 거제출발 어초여밭 감성돔(흘림)낚시 "예약가능"
★8일(화) 기상 주시중
★9일(수) 거제출발 어초여밭 감성돔(흘림)낚시 "예약가능"
★10일(목) 거제출발 어초여밭 감성돔(흘림)낚시 "예약가능"
※ 주말은 포인트가 제한이 많아 미리미리 예약을 서둘러 주세요.
▣ 2025년 2월 부터 (기존) 출조비 10만원 (조정) 11만원으로 변경됩니다.
- 선비 조정이후, 더욱 더 승율이 높은 어초여밭 포인트만을 엄선해서 출조
하고, 승율 또한 최대한 높히도록 최선을 다해서 모시도록 하겠습니다.
거듭,조사님들께 이해와 양해를 구합니다.감사합니다.
● 3대호 예약 ☎010-5188-5399 (3대호 선장)
● 3대호 밴드 http://band.us/@3daenaksi


▦대물감성돔 어초여밭 흘림낚시 안내 ▦
6분의 조사님들과 진입한 어초 어장권 핫포인트 굵은 씨알의
감성돔들이 연이어 입질을 해주며 녀석들이 이동하는 길목에
제대로 진입한 듯 했고, 막강한 파워에 터지고 예민한 입질에 빠지는
녀석들도 있었지만, 우당탕탕 47Cm 빅원과 44Cm 외 4짜 4짜 4짜 4짜
4짜급들 총 10여수로 찐한 손맛 즐기고 마무리 합니다.
내일도 어초 어장권 대물 감성돔을 노리며 달려보겠습니다.
7일(월요일)부터 거제 출발 감성돔 흘림낚시 예약 가능합니다~
오늘도 거제 3대낚시와 함께해주신 조사님들 수고 많으셨습니다.
영등철이 끝나고, 본격적인 대물감성돔들이 내만권으로 서서히 이동중이고
길목인 어초여밭에 대물과 승부를 해 보겠습니다.
▣ 감성돔 어초여밭 흘림낚시 출조 일정 ▣
★7일(월) 거제출발 어초여밭 감성돔(흘림)낚시 "예약가능"
★8일(화) 기상 주시중
★9일(수) 거제출발 어초여밭 감성돔(흘림)낚시 "예약가능"
★10일(목) 거제출발 어초여밭 감성돔(흘림)낚시 "예약가능"
※ 주말은 포인트가 제한이 많아 미리미리 예약을 서둘러 주세요.
▣ 2025년 2월 부터 (기존) 출조비 10만원 (조정) 11만원으로 변경됩니다.
- 선비 조정이후, 더욱 더 승율이 높은 어초여밭 포인트만을 엄선해서 출조
하고, 승율 또한 최대한 높히도록 최선을 다해서 모시도록 하겠습니다.
거듭,조사님들께 이해와 양해를 구합니다.감사합니다.
● 3대호 예약 ☎010-5188-5399 (3대호 선장)
● 3대호 밴드 http://band.us/@3daenaksi



▦대물감성돔 어초여밭 흘림낚시 안내 ▦
(출조 시간) 새벽 출발 ~ 오후 2시 철수(유동적) 선비 11만원.
- 거제도출발 한산도권 어초여밭 대물포인트 공략.
- 독배 상시 예약 가능합니다.
- 도시락, 밑밥,미끼, 음료, 생수 제공
● 출조시 구명조끼/신분증은 반드시 지참해주세요.
● 입금계좌: 수협 2020-4581-7819(김민규)
● 예약은 입금자 순서이며 통화후 입금바랍니다.(미입금시 임의 취소 될수 있음)
● 환불 규정
'예약 완료' 공지 이후, 취소 요청시 환불 되지 않습니다.
단, 다른 손님으로 대체 될때는 환불해 드립니다.
● 3대호 예약 ☎010-5188-5399 (3대호 선장)
● 3대호 밴드 http://band.us/@3daenaksi
● 출항지; 경남 거제시 둔덕면 학산3길 75
- 거제도출발 한산도권 어초여밭 대물포인트 공략.
- 독배 상시 예약 가능합니다.
- 도시락, 밑밥,미끼, 음료, 생수 제공
● 출조시 구명조끼/신분증은 반드시 지참해주세요.
● 입금계좌: 수협 2020-4581-7819(김민규)
● 예약은 입금자 순서이며 통화후 입금바랍니다.(미입금시 임의 취소 될수 있음)
● 환불 규정
'예약 완료' 공지 이후, 취소 요청시 환불 되지 않습니다.
단, 다른 손님으로 대체 될때는 환불해 드립니다.
● 3대호 예약 ☎010-5188-5399 (3대호 선장)
● 3대호 밴드 http://band.us/@3daenaksi
● 출항지; 경남 거제시 둔덕면 학산3길 75
반갑습니다. 감성돔낚시와 문어낚시, 갑오징어 낚시를 전문적으로 운영중인 구 거제대교 학산마을에서 운영중인 3대호 선장입니다. 잘 부탁드립니다.
댓글목록
등록된 댓글이 없습니다.






















