(실시간) 감성돔들과 벵에돔 우당탕탕 폭격입질~야호 (19일 예약)
작성일 24-12-18 10:28
페이지 정보
작성자 거제야호 조회 62회 댓글 0건본문
18일(수요일) 거제 아지랑출발 감성돔 참돔 어초여밭 "야호"(실시간)조황입니다.
※ 감성돔53Cm,참돔 65Cm 포획시 야호&아지카 이벤트 최고급라인 증정!!!
☆19일 (목요일) 어초여밭권 감성돔 선상낚시 "예약가능"
(19일, 11물, 만조 11:34 간조 04:53 )
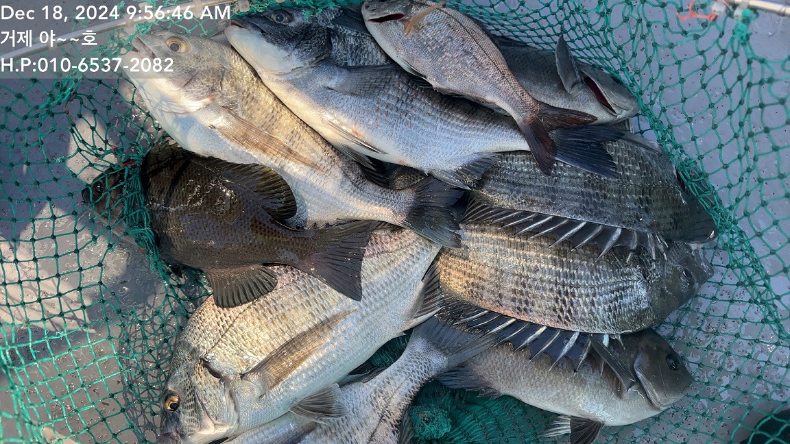
(어초여밭 실시간) 감성돔들과 벵에돔 우당탕탕 폭격 입질~
※ 감성돔53Cm,참돔 65Cm 포획시 야호&아지카 이벤트 최고급라인 증정!!!
☆19일 (목요일) 어초여밭권 감성돔 선상낚시 "예약가능"
(19일, 11물, 만조 11:34 간조 04:53 )
(어초여밭 실시간) 감성돔들과 벵에돔 우당탕탕 폭격 입질~
야호 어초, 여밭 감성돔 흘림 실시간 조황입니다
10물, 물때에 맞추어 진입한 거제도 최고의 어초여밭 포인트, 현재시간,
빠른 조류에 고전하다가 조류가 서서히 죽어감과 동시에 우당탕~감성돔들의
폭격 입질이 시작되었습니다. 수중여 인근에서 강력하게 받은 입질이 지속
되고 있고 감성돔과 벵에돔으로 욱씬하게 손맛중입니다. 대물사냥 집중해
보겠습니다.
19일 목요일부터 거제도 최고의 시즌을 맞이하고 있는 어초여밭
포인트로 직항합니다~ 쭉~ 예약가능합니다.
▣ 거제 야호 출조 일정 안내 ▣
☆ 19일(목) 시즌, 대물 감성돔낚시, 선외기 대여 쭉~"예약가능"
☆ 20일(금) 시즌, 대물 감성돔낚시, 선외기 대여 쭉~"예약가능"
☆ 21일(토) 시즌, 대물 감성돔낚시, 선외기 대여 쭉~"예약가능"
☆ 22일(일) 시즌, 대물 감성돔낚시, 선외기 대여 쭉~"예약가능"
☆ 23일(월) 시즌, 대물 감성돔낚시, 선외기 대여 쭉~"예약가능"
※ 주말 공휴일은 미리 미리 예약을 해 주시길 바랍니다.
※ 낚시장비가 필요하신 분들은 임대 해 드립니다. 예약시 꼭 알려 주세요.
▦ 거제 야호 예약 문의 ▦
ㅁ선상낚시 (민박) 문의 : ☎ 010-6400-2082 / ☎010-4547-3937
ㅁ선외기 문의 : ☎ 010-6400-2082
(출항지) 거제시 거제면 법동리 1074 아지랑경로당 방파제

▣참돔낚시 & 감성돔낚시 ▣
10물, 물때에 맞추어 진입한 거제도 최고의 어초여밭 포인트, 현재시간,
빠른 조류에 고전하다가 조류가 서서히 죽어감과 동시에 우당탕~감성돔들의
폭격 입질이 시작되었습니다. 수중여 인근에서 강력하게 받은 입질이 지속
되고 있고 감성돔과 벵에돔으로 욱씬하게 손맛중입니다. 대물사냥 집중해
보겠습니다.
19일 목요일부터 거제도 최고의 시즌을 맞이하고 있는 어초여밭
포인트로 직항합니다~ 쭉~ 예약가능합니다.
▣ 거제 야호 출조 일정 안내 ▣
☆ 19일(목) 시즌, 대물 감성돔낚시, 선외기 대여 쭉~"예약가능"
☆ 20일(금) 시즌, 대물 감성돔낚시, 선외기 대여 쭉~"예약가능"
☆ 21일(토) 시즌, 대물 감성돔낚시, 선외기 대여 쭉~"예약가능"
☆ 22일(일) 시즌, 대물 감성돔낚시, 선외기 대여 쭉~"예약가능"
☆ 23일(월) 시즌, 대물 감성돔낚시, 선외기 대여 쭉~"예약가능"
※ 주말 공휴일은 미리 미리 예약을 해 주시길 바랍니다.
※ 낚시장비가 필요하신 분들은 임대 해 드립니다. 예약시 꼭 알려 주세요.
▦ 거제 야호 예약 문의 ▦
ㅁ선상낚시 (민박) 문의 : ☎ 010-6400-2082 / ☎010-4547-3937
ㅁ선외기 문의 : ☎ 010-6400-2082
(출항지) 거제시 거제면 법동리 1074 아지랑경로당 방파제


▣참돔낚시 & 감성돔낚시 ▣
(종일출조) 새벽부터 오후 2시(유동적) 철수
- 매일 출조합니다.
▣ 거제도 준내만 (야간) 갈치 루어낚시/텐야/텐빈 ▣
(출조시간) 오후 6시 30분 출발 ~ 익일 새벽 02시 (유동적)
- 맛난 도시락~ 커피, 생수 제공
(낚싯대) 초릿대가 예민한 문어대/타이라바대/갈치 지깅대
(릴) 2500번~3000번, 합사 0.6호~0.8호가 적당
(소품) 봉돌20,30,40호, L자형 편대, 집어등(스틱형 or 갈치 케미)
- 쇼크리더 경심줄은 없으신 분들은 배에서 드립니다~
※독배는 시간 조정 가능합니다.
▣ 생활낚시 & 낚시체험 ▣
- 몸만 오시면 됩니다.
- 낚싯대, 장비일절제공, 구명복 제공
■ 주변 제휴 민박집 ■
아지랑 민박(단체-독채) ☎010-6400-2082
해송굴구이민박 (단체) ☎010-2545-3755
거제 대어낚시 주변 파라스파찜질방 검색하시면 됩니다.
★안전 주의 사항★
- 거제대어낚시 선단 이용시, 안전한 낚시를 위해 선착장 통로 이용시 미끌림을
주의 해 주시길 바랍니다. 통로 좌우에 있는 핸들을 잡고 이동하시면 안전합니다.
- 선착장도착전, 배에서 미리 내리지 마시고, 배가 정박하고, 로프를 묶은 뒤에
하선해 주시길 바랍니다.
▦ 거제 야호 예약 문의 ▦
ㅁ선상낚시 (민박) 문의 : ☎ 010-6400-2082/☎010-4547-3937
ㅁ선외기 문의 : ☎ 010-6400-2082
ㅁ 거제 야호 밴드 : https://band.us/@yahoboat
(출항지) 거제시 거제면 법동리 1074번지 "아지랑경로당 방파제" 출발.
(사무실) 거제시 거제면 서정리 746-3(GS25시편의점)검색하시면 바로 옆 위치
- 매일 출조합니다.
▣ 거제도 준내만 (야간) 갈치 루어낚시/텐야/텐빈 ▣
(출조시간) 오후 6시 30분 출발 ~ 익일 새벽 02시 (유동적)
- 맛난 도시락~ 커피, 생수 제공
(낚싯대) 초릿대가 예민한 문어대/타이라바대/갈치 지깅대
(릴) 2500번~3000번, 합사 0.6호~0.8호가 적당
(소품) 봉돌20,30,40호, L자형 편대, 집어등(스틱형 or 갈치 케미)
- 쇼크리더 경심줄은 없으신 분들은 배에서 드립니다~
※독배는 시간 조정 가능합니다.
▣ 생활낚시 & 낚시체험 ▣
- 몸만 오시면 됩니다.
- 낚싯대, 장비일절제공, 구명복 제공
■ 주변 제휴 민박집 ■
아지랑 민박(단체-독채) ☎010-6400-2082
해송굴구이민박 (단체) ☎010-2545-3755
거제 대어낚시 주변 파라스파찜질방 검색하시면 됩니다.
★안전 주의 사항★
- 거제대어낚시 선단 이용시, 안전한 낚시를 위해 선착장 통로 이용시 미끌림을
주의 해 주시길 바랍니다. 통로 좌우에 있는 핸들을 잡고 이동하시면 안전합니다.
- 선착장도착전, 배에서 미리 내리지 마시고, 배가 정박하고, 로프를 묶은 뒤에
하선해 주시길 바랍니다.
▦ 거제 야호 예약 문의 ▦
ㅁ선상낚시 (민박) 문의 : ☎ 010-6400-2082/☎010-4547-3937
ㅁ선외기 문의 : ☎ 010-6400-2082
ㅁ 거제 야호 밴드 : https://band.us/@yahoboat
(출항지) 거제시 거제면 법동리 1074번지 "아지랑경로당 방파제" 출발.
(사무실) 거제시 거제면 서정리 746-3(GS25시편의점)검색하시면 바로 옆 위치
안녕하십니까 거제대어낚시 야호 선장입니다!
추천0 이 글을 추천하셨습니다
댓글목록
등록된 댓글이 없습니다.








