감성돔(흘림)3방 팅 5짜급들 외 4짜들~거제대어1호
페이지 정보
작성자 거제대어1호 댓글 0건 조회 52회 작성일 25-03-27 15:02본문
28일(금) 거제도 영등철 대물 감성돔 흘림낚시 "거제대어1호"(마감)조황입니다.
※감성돔 53Cm 참돔 68Cm이상(日1명) 대어&아지카이벤트 최고급원줄 증정!!!
☆ 28일(금요일) 감성돔낚시 흘림낚시 선외기대여 "예약가능"
(28일 6물 만조: 08:21 간조: 14:15)감성돔/참돔/선외기 대여/생활낚시/숙박OK!!!
감성돔(랜딩영상)3방 팅~5짜급들 외 4짜 최강손맛~
※감성돔 53Cm 참돔 68Cm이상(日1명) 대어&아지카이벤트 최고급원줄 증정!!!
☆ 28일(금요일) 감성돔낚시 흘림낚시 선외기대여 "예약가능"
(28일 6물 만조: 08:21 간조: 14:15)감성돔/참돔/선외기 대여/생활낚시/숙박OK!!!
감성돔(랜딩영상)3방 팅~5짜급들 외 4짜 최강손맛~
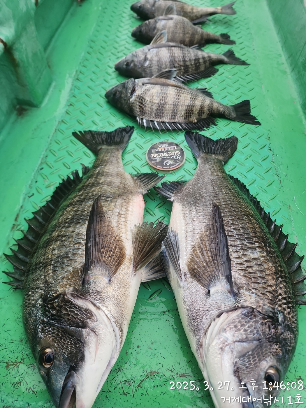
거제도 초특급 포인트 어초여밭 감성돔 낚시 거제대어1호 흘림 조황입니다.
약간의 비가 내렸지만, 녀석들의 활성도에는 문제가 없었고,
꾸준히 들어간 밑밥에 대물 감성돔들이 반응하며, 3방 터지고 빠지고
5짜급들 외 4짜 4짜급들로 찐한 손맛 즐길 수 있었습니다.
헛챔질과 빠지는 녀석들이 많아 아쉬웠지만, 꾸준히 물어주는 녀석들을
보니 제법 많은 개체수의 감성돔들이 진입해 있는 듯 했습니다.
비 바람 너울 악조건 속이였지만 끝까지 집중해주신 조사님들
수고 많으셨습니다. 내일도 대물 감성돔 사냥은 계속 됩니다~
28일(금요일)거제 어초여밭 대물 감성돔 낚시 예약가능합니다.
오늘도 거제대어낚시와 함께해주신 조사님들 수고 많으셨습니다.
▣ 선비(거제대어낚시) 조정 안내
(시행) 2025년 2월 기존 출조비 10만원 ▶11만원으로 변경됩니다.
- 겨울 시즌 대물 감성돔이 머무는 어초 여밭포인트로 진입시
이동 거리 증가로 인한 유류비 증가와 크릴 가격 변동 으로
인해 부득이 2월부터 상기 선비로 조정됨을 알려 드립니다.
▣ 거제대어낚시 참돔부시리/감성돔낚시/선외기대여 일정 안내 ▣
★숙박+낚시배를 동시에 이용하고자 하는 분들은 할인 혜택 적용
☆28일(금요일) 6물, 거제 감성돔낚시 선외기대여 "예약가능"
☆29일(토요일) 7물, 거제 감성돔낚시 선외기대여 "예약가능"
☆30일(일요일) 8물, 거제 감성돔낚시 선외기대여 "예약가능"
☆31일(월요일) 9물, 거제 감성돔낚시 선외기대여 "예약가능"
※ 좋은 포인트 선정을 위해 예약을 미리미리 서둘러 주십시요.
거제대어낚시 선상낚시 예약(독채 민박)
문의 ☎ 010-6400-2082 / ☎ 010-454-3937
ㅁ선외기 예약: ☎ 010-6400-2082
■ 밴드: https://band.us/@geojdaeeofishing



거제대어낚시는 1~8선단을 운영하고 있으며 거제도에서 가장 큰
약간의 비가 내렸지만, 녀석들의 활성도에는 문제가 없었고,
꾸준히 들어간 밑밥에 대물 감성돔들이 반응하며, 3방 터지고 빠지고
5짜급들 외 4짜 4짜급들로 찐한 손맛 즐길 수 있었습니다.
헛챔질과 빠지는 녀석들이 많아 아쉬웠지만, 꾸준히 물어주는 녀석들을
보니 제법 많은 개체수의 감성돔들이 진입해 있는 듯 했습니다.
비 바람 너울 악조건 속이였지만 끝까지 집중해주신 조사님들
수고 많으셨습니다. 내일도 대물 감성돔 사냥은 계속 됩니다~
28일(금요일)거제 어초여밭 대물 감성돔 낚시 예약가능합니다.
오늘도 거제대어낚시와 함께해주신 조사님들 수고 많으셨습니다.
▣ 선비(거제대어낚시) 조정 안내
(시행) 2025년 2월 기존 출조비 10만원 ▶11만원으로 변경됩니다.
- 겨울 시즌 대물 감성돔이 머무는 어초 여밭포인트로 진입시
이동 거리 증가로 인한 유류비 증가와 크릴 가격 변동 으로
인해 부득이 2월부터 상기 선비로 조정됨을 알려 드립니다.
▣ 거제대어낚시 참돔부시리/감성돔낚시/선외기대여 일정 안내 ▣
★숙박+낚시배를 동시에 이용하고자 하는 분들은 할인 혜택 적용
☆28일(금요일) 6물, 거제 감성돔낚시 선외기대여 "예약가능"
☆29일(토요일) 7물, 거제 감성돔낚시 선외기대여 "예약가능"
☆30일(일요일) 8물, 거제 감성돔낚시 선외기대여 "예약가능"
☆31일(월요일) 9물, 거제 감성돔낚시 선외기대여 "예약가능"
※ 좋은 포인트 선정을 위해 예약을 미리미리 서둘러 주십시요.
거제대어낚시 선상낚시 예약(독채 민박)
문의 ☎ 010-6400-2082 / ☎ 010-454-3937
ㅁ선외기 예약: ☎ 010-6400-2082
■ 밴드: https://band.us/@geojdaeeofishing




거제대어낚시는 1~8선단을 운영하고 있으며 거제도에서 가장 큰
규모를 자랑합니다. 단체팀/회사팀/기업팀/동호회팀/선상 낚시대회도
가능한 충분한 인원을 수용 가능합니다.
■ 돌문어낚시 ■
새벽 4시 30분 출발해서 오후 1시 전후까지 운영.
- 식사, 음료 커피 제공
■ 참돔 흘림낚시 (내만권/중장거리 상시 출조)
한나절:새벽부터 ~ 2시까지(유동적) 13만원
- 밑밥,미끼,도시락 제공, 커피, 음료, 생수 제공
(낚싯대) 기본 1.5호~2호대 530(경질대 선호)
(릴) 4000번~6000번. 권사량 150~200미터 추천되는 스피닝릴.
(라인) 원줄 4~6호 플로팅 세미타입, 목줄 후로로카본 100% 4호~6호 선호.
(바늘) 참돔 8~12호, 큐션또는 수중큐션 -2B ~ -5B, 좁쌀봉돌, 스위벨도래
※독배는 시간 조정 가능합니다.
▦ 거제대어낚시 참돔 시상 내역 ▦ 일 1명씩 시상됩니다.
68Cm 이상 - 최상급 원줄 증정
■ 생활낚시 & 낚시체험
- 상시 예약 출조 가능합니다.
- 낚은 고기로 회썰어 드립니다.
- 몸만 오시면 됩니다.(낚싯대, 장비일절제공, 구명복 제공)
■ 선외기 대여
(4인승)- 13만원, (3인승) - 10만원 / (2인승) - 8만원 / (1인승)- 7만원.
영업구역 내 조정면허증 필요 없으므로, 누구나 이용이 가능합니다.
- 선외기 사용교육 3분이면 바로, 운전하실 수 있습니다.
★안전 주의 사항★
- 거제대어낚시 선단 이용시, 안전한 낚시를 위해 선착장 통로 이용시 미끌림을
주의 해 주시길 바랍니다. 통로 좌우에 있는 핸들을 잡고 이동하시면 안전합니다.
- 선착장도착전, 배에서 미리 내리지 마시고, 배가 정박하고, 로프를 묶은 뒤에
하선해 주시길 바랍니다.
★대어낚시 선단★
거제 대어낚시 1호 ㅡ 안젤라호
거제 대어낚시 2호 ㅡ 안드레아호
거제 대어낚시 3호 ㅡ 야호(YAHO)
거제 대어낚시 4호 ㅡ 돌핀호
거제 대어낚시 5호 ㅡ 미래호
거제 대어낚시 6호 ㅡ 거제바다호
거제 대어낚시 7호 ㅡ 사랑호
거제 대어낚시 8호 ㅡ 대어호
■ 주변 제휴 민박집 ■
아지랑 민박(단체-독채) ☎010-6400-2082
해송굴구이민박 (단체) ☎010-2545-3755
거제 대어낚시 주변 파라스파찜질방 검색하시면 됩니다.
■ 환불 규정 ■
거제대어낚시에서는 출조에 대한 환불규정을 아래와 같이 운영중입니다.
"예약완료" 확정시 출조비 전액 환불이 되지 않습니다.
1일전, 도시락과 밑밥에 따른 실비외에 환불(출조일 변경 가능)
2일전, 출조비 전액 환불,
"예약 완료" 공지 이후, 취소 요청시에는 환불되지 않습니다.
☎ 거제대어낚시 선상낚시 예약(독채 민박) 문의☎
☎ 010-6400-2082 / ☎ 010-4547-3937
ㅁ선외기: ☎ 010-6400-2082
■ 밴드: https://band.us/@geojdaeeofishing
★찾아오시는길★
※출항지: 거제시 거제면 법동리 1074번지 아지랑경로당 방파제
사무실 :거제시 거제면 서정리 746-3(GS25시편의점)검색하시면 바로 옆 위치
★★★신분증 꼭 지참해주세요★★★
가능한 충분한 인원을 수용 가능합니다.
■ 돌문어낚시 ■
새벽 4시 30분 출발해서 오후 1시 전후까지 운영.
- 식사, 음료 커피 제공
■ 참돔 흘림낚시 (내만권/중장거리 상시 출조)
한나절:새벽부터 ~ 2시까지(유동적) 13만원
- 밑밥,미끼,도시락 제공, 커피, 음료, 생수 제공
(낚싯대) 기본 1.5호~2호대 530(경질대 선호)
(릴) 4000번~6000번. 권사량 150~200미터 추천되는 스피닝릴.
(라인) 원줄 4~6호 플로팅 세미타입, 목줄 후로로카본 100% 4호~6호 선호.
(바늘) 참돔 8~12호, 큐션또는 수중큐션 -2B ~ -5B, 좁쌀봉돌, 스위벨도래
※독배는 시간 조정 가능합니다.
▦ 거제대어낚시 참돔 시상 내역 ▦ 일 1명씩 시상됩니다.
68Cm 이상 - 최상급 원줄 증정
■ 생활낚시 & 낚시체험
- 상시 예약 출조 가능합니다.
- 낚은 고기로 회썰어 드립니다.
- 몸만 오시면 됩니다.(낚싯대, 장비일절제공, 구명복 제공)
■ 선외기 대여
(4인승)- 13만원, (3인승) - 10만원 / (2인승) - 8만원 / (1인승)- 7만원.
영업구역 내 조정면허증 필요 없으므로, 누구나 이용이 가능합니다.
- 선외기 사용교육 3분이면 바로, 운전하실 수 있습니다.
★안전 주의 사항★
- 거제대어낚시 선단 이용시, 안전한 낚시를 위해 선착장 통로 이용시 미끌림을
주의 해 주시길 바랍니다. 통로 좌우에 있는 핸들을 잡고 이동하시면 안전합니다.
- 선착장도착전, 배에서 미리 내리지 마시고, 배가 정박하고, 로프를 묶은 뒤에
하선해 주시길 바랍니다.
★대어낚시 선단★
거제 대어낚시 1호 ㅡ 안젤라호
거제 대어낚시 2호 ㅡ 안드레아호
거제 대어낚시 3호 ㅡ 야호(YAHO)
거제 대어낚시 4호 ㅡ 돌핀호
거제 대어낚시 5호 ㅡ 미래호
거제 대어낚시 6호 ㅡ 거제바다호
거제 대어낚시 7호 ㅡ 사랑호
거제 대어낚시 8호 ㅡ 대어호
■ 주변 제휴 민박집 ■
아지랑 민박(단체-독채) ☎010-6400-2082
해송굴구이민박 (단체) ☎010-2545-3755
거제 대어낚시 주변 파라스파찜질방 검색하시면 됩니다.
■ 환불 규정 ■
거제대어낚시에서는 출조에 대한 환불규정을 아래와 같이 운영중입니다.
"예약완료" 확정시 출조비 전액 환불이 되지 않습니다.
1일전, 도시락과 밑밥에 따른 실비외에 환불(출조일 변경 가능)
2일전, 출조비 전액 환불,
"예약 완료" 공지 이후, 취소 요청시에는 환불되지 않습니다.
☎ 거제대어낚시 선상낚시 예약(독채 민박) 문의☎
☎ 010-6400-2082 / ☎ 010-4547-3937
ㅁ선외기: ☎ 010-6400-2082
■ 밴드: https://band.us/@geojdaeeofishing
★찾아오시는길★
※출항지: 거제시 거제면 법동리 1074번지 아지랑경로당 방파제
사무실 :거제시 거제면 서정리 746-3(GS25시편의점)검색하시면 바로 옆 위치
★★★신분증 꼭 지참해주세요★★★
거제 대어 선단 1호 안젤라호
댓글목록
등록된 댓글이 없습니다.






















