대물 감성돔(어초 초대박)5짜5짜5짜외 5짜급~ 야호
작성일 25-01-10 16:08
페이지 정보
작성자 거제야호 조회 59회 댓글 0건본문
10일(금요일) 거제 아지랑출발 감성돔 참돔 어초여밭 "야호"(마감)조황입니다.
※ 감성돔53Cm,참돔 65Cm 포획시 야호&아지카 이벤트 최고급라인 증정!!!
☆1월 11일(토) 감성돔 선상낚시 선외기대여 " "선단예약가능"
(11일, 4물, 만조 07:10 간조 13:13 )
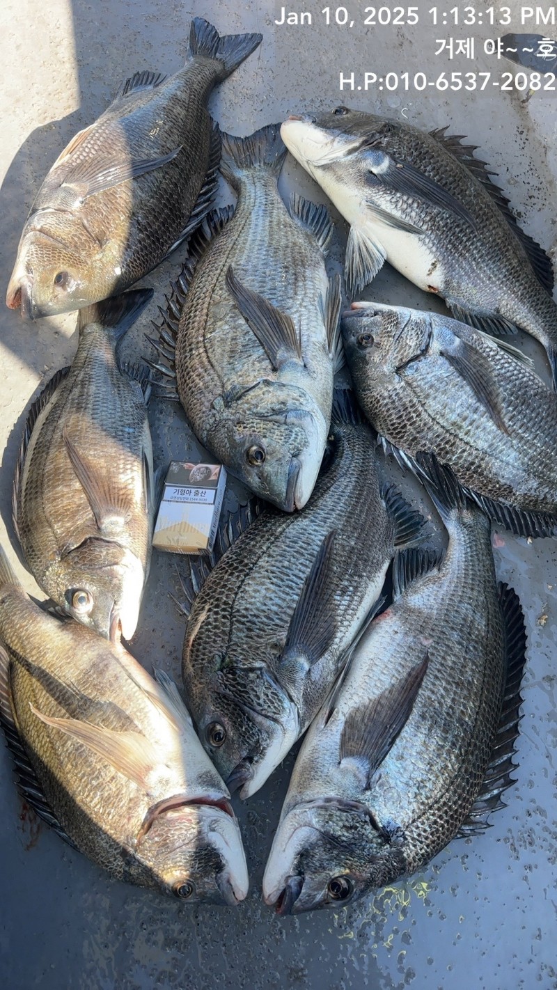
대물 감성돔(초대박)5짜5짜5짜5짜급....4짜들 무더기
※ 감성돔53Cm,참돔 65Cm 포획시 야호&아지카 이벤트 최고급라인 증정!!!
☆1월 11일(토) 감성돔 선상낚시 선외기대여 " "선단예약가능"
(11일, 4물, 만조 07:10 간조 13:13 )
대물 감성돔(초대박)5짜5짜5짜5짜급....4짜들 무더기
야호 어초, 여밭 감성돔 흘림 조황입니다.
주의보 뒤 끝 초대박 조황입니다~ 굶주린 감성돔들이 웅크리고
있을만한 어초권 포인트 진입 후 밑밥이 깔리자 대물들의
공격이 시작됐고, 터지고 또 터지고..정말 큰 녀석들은 대 세울 틈도
없이 갈 길 가버리네요 원줄 목줄 튼튼히 챙겨오셔야 합니다.
5짜 중반은 될 듯한 녀석들 다 터트려 버리고, 5짜 5짜 5짜 외
5짜급 4짜들 마릿수로 어창 가득 채우고 기분 좋게 마무리 했습니다.
내일도 대물 어초로 직항 합니다~ 선단 예약가능 합니다.
1월 11일 토요일부터 거제도 최고의 시즌을 맞이하고 있는 어초여밭
포인트로 직항합니다~ 쭉~ 예약가능합니다.
오늘도 야호와 함께해주신 조사님 감사합니다.
▣ 거제 야호 출조 일정 안내 ▣
☆ 1월 11일(토) 예약완료~"선단 예약가능"
☆ 1월 12일(일) 예약완료~"선단 예약가능"
☆ 1월 13일(월) 시즌, 대물 감성돔낚시, 선외기 대여 쭉~(04명)"예약가능"
☆ 1월 14일(화) 시즌, 대물 감성돔낚시, 선외기 대여 쭉~"예약가능"
☆ 1월 15일(수) 시즌, 대물 감성돔낚시, 선외기 대여 쭉~"예약가능"
※ 주말 공휴일은 미리 미리 예약을 해 주시길 바랍니다.
※ 낚시장비가 필요하신 분들은 임대 해 드립니다. 예약시 꼭 알려 주세요.
▦ 거제 야호 예약 문의 ▦
ㅁ선상낚시 (민박) 문의 : ☎ 010-6400-2082 / ☎010-4547-3937
ㅁ선외기 문의 : ☎ 010-6400-2082
(출항지) 거제시 거제면 법동리 1074 아지랑경로당 방파제
(종일출조) 새벽부터 오후 2시(유동적) 철수
주의보 뒤 끝 초대박 조황입니다~ 굶주린 감성돔들이 웅크리고
있을만한 어초권 포인트 진입 후 밑밥이 깔리자 대물들의
공격이 시작됐고, 터지고 또 터지고..정말 큰 녀석들은 대 세울 틈도
없이 갈 길 가버리네요 원줄 목줄 튼튼히 챙겨오셔야 합니다.
5짜 중반은 될 듯한 녀석들 다 터트려 버리고, 5짜 5짜 5짜 외
5짜급 4짜들 마릿수로 어창 가득 채우고 기분 좋게 마무리 했습니다.
내일도 대물 어초로 직항 합니다~ 선단 예약가능 합니다.
1월 11일 토요일부터 거제도 최고의 시즌을 맞이하고 있는 어초여밭
포인트로 직항합니다~ 쭉~ 예약가능합니다.
오늘도 야호와 함께해주신 조사님 감사합니다.
▣ 거제 야호 출조 일정 안내 ▣
☆ 1월 11일(토) 예약완료~"선단 예약가능"
☆ 1월 12일(일) 예약완료~"선단 예약가능"
☆ 1월 13일(월) 시즌, 대물 감성돔낚시, 선외기 대여 쭉~(04명)"예약가능"
☆ 1월 14일(화) 시즌, 대물 감성돔낚시, 선외기 대여 쭉~"예약가능"
☆ 1월 15일(수) 시즌, 대물 감성돔낚시, 선외기 대여 쭉~"예약가능"
※ 주말 공휴일은 미리 미리 예약을 해 주시길 바랍니다.
※ 낚시장비가 필요하신 분들은 임대 해 드립니다. 예약시 꼭 알려 주세요.
▦ 거제 야호 예약 문의 ▦
ㅁ선상낚시 (민박) 문의 : ☎ 010-6400-2082 / ☎010-4547-3937
ㅁ선외기 문의 : ☎ 010-6400-2082
(출항지) 거제시 거제면 법동리 1074 아지랑경로당 방파제

(종일출조) 새벽부터 오후 2시(유동적) 철수
- 매일 출조합니다.
▣ 거제도 준내만 (야간) 갈치 루어낚시/텐야/텐빈 ▣
(출조시간) 오후 6시 30분 출발 ~ 익일 새벽 02시 (유동적)
- 맛난 도시락~ 커피, 생수 제공
(낚싯대) 초릿대가 예민한 문어대/타이라바대/갈치 지깅대
(릴) 2500번~3000번, 합사 0.6호~0.8호가 적당
(소품) 봉돌20,30,40호, L자형 편대, 집어등(스틱형 or 갈치 케미)
- 쇼크리더 경심줄은 없으신 분들은 배에서 드립니다~
※독배는 시간 조정 가능합니다.
▣ 생활낚시 & 낚시체험 ▣
- 몸만 오시면 됩니다.
- 낚싯대, 장비일절제공, 구명복 제공
■ 주변 제휴 민박집 ■
아지랑 민박(단체-독채) ☎010-6400-2082
해송굴구이민박 (단체) ☎010-2545-3755
거제 대어낚시 주변 파라스파찜질방 검색하시면 됩니다.
★안전 주의 사항★
- 거제대어낚시 선단 이용시, 안전한 낚시를 위해 선착장 통로 이용시 미끌림을
주의 해 주시길 바랍니다. 통로 좌우에 있는 핸들을 잡고 이동하시면 안전합니다.
- 선착장도착전, 배에서 미리 내리지 마시고, 배가 정박하고, 로프를 묶은 뒤에
하선해 주시길 바랍니다.
▦ 거제 야호 예약 문의 ▦
ㅁ선상낚시 (민박) 문의 : ☎ 010-6400-2082/☎010-4547-3937
ㅁ선외기 문의 : ☎ 010-6400-2082
ㅁ 거제 야호 밴드 : https://band.us/@yahoboat
(출항지) 거제시 거제면 법동리 1074번지 "아지랑경로당 방파제" 출발.
(사무실) 거제시 거제면 서정리 746-3(GS25시편의점)검색하시면 바로 옆 위치
▣ 거제도 준내만 (야간) 갈치 루어낚시/텐야/텐빈 ▣
(출조시간) 오후 6시 30분 출발 ~ 익일 새벽 02시 (유동적)
- 맛난 도시락~ 커피, 생수 제공
(낚싯대) 초릿대가 예민한 문어대/타이라바대/갈치 지깅대
(릴) 2500번~3000번, 합사 0.6호~0.8호가 적당
(소품) 봉돌20,30,40호, L자형 편대, 집어등(스틱형 or 갈치 케미)
- 쇼크리더 경심줄은 없으신 분들은 배에서 드립니다~
※독배는 시간 조정 가능합니다.
▣ 생활낚시 & 낚시체험 ▣
- 몸만 오시면 됩니다.
- 낚싯대, 장비일절제공, 구명복 제공
■ 주변 제휴 민박집 ■
아지랑 민박(단체-독채) ☎010-6400-2082
해송굴구이민박 (단체) ☎010-2545-3755
거제 대어낚시 주변 파라스파찜질방 검색하시면 됩니다.
★안전 주의 사항★
- 거제대어낚시 선단 이용시, 안전한 낚시를 위해 선착장 통로 이용시 미끌림을
주의 해 주시길 바랍니다. 통로 좌우에 있는 핸들을 잡고 이동하시면 안전합니다.
- 선착장도착전, 배에서 미리 내리지 마시고, 배가 정박하고, 로프를 묶은 뒤에
하선해 주시길 바랍니다.
▦ 거제 야호 예약 문의 ▦
ㅁ선상낚시 (민박) 문의 : ☎ 010-6400-2082/☎010-4547-3937
ㅁ선외기 문의 : ☎ 010-6400-2082
ㅁ 거제 야호 밴드 : https://band.us/@yahoboat
(출항지) 거제시 거제면 법동리 1074번지 "아지랑경로당 방파제" 출발.
(사무실) 거제시 거제면 서정리 746-3(GS25시편의점)검색하시면 바로 옆 위치
안녕하십니까 거제대어낚시 야호 선장입니다!
추천0 이 글을 추천하셨습니다
댓글목록
등록된 댓글이 없습니다.








