영도이글호12월23일 감성돔 쵝오~^^
페이지 정보
작성자 이글호 댓글 0건 조회 82회 작성일 23-12-23 18:04본문








내일도 정상출조 합니다 마감
25일 월요일 크리스마스 예약가능합니당
출항시간 07시 출항 합니다
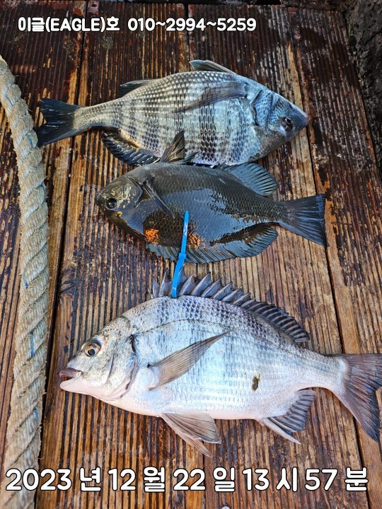
1위 등극 김ㅇㅇ님 47cm
2위 이ㅇㅇ님 46cm
3위 (정ㅇㅇ님) 40cm
기록 고기 잡으러. 오세요
☆☆출조공지 ☆☆
12월 24일. ~마감
12월25일~ 예약중
12월 26일. ~예약중
12월27일~ 예약중
12월 28일. ~예약중
12월29일~ 예약중
12월 30일. ~예약중
12월31일~ 예약중
☆이벤트상품 ☆
☆12월 ~1월 말일까지. 감성동 최대어
☆최소 3회 이상 도전하신 이글호 회원님. (밴드가입 필수)
☆현재 1위 (김ㅇㅇ님)47cm
2위 (이ㅇㅇ님) 46cm
3위 (정ㅇㅇ님) 40cm
☆☆ 이글호 와 함께 힐링 도 하고
손맛 /입맛 /상품 까지. 도전 하세요
선비 ~10만원 (식사제공)
출항시간 :7시변동가능성 있습니다
주말은 예약서주르세요
☆12월~ 1월달 ☆ 새로운 이벤트 시작
☆☆이벤트상품 ☆☆
☆ 조건. ☆
이글밴드 가입.
이글호 2달동안3회이상 승선
1위 가마가츠. 어텐더 3 (150만원상당)
2위 선상구명조끼 + 무료승선권2회
3위 장산찌+무료승선권1회
☆☆감성돔. 출조시간☆☆
출조시간 :06시 30분출항~
~ 14시 입항 (유동적)
선비 : 10만원 (식사제공)
주말은. 예약. 서둘러주세요
☆방식: 감성돔. 최대어. 1명
☆참여 :이글호 밴드 가입 하신 회원님
☆시상: 최소 3회 이상 도전 하신분 에 한해서 진행합니다
주말에는 빨리 마감되니 전화주세요^^
대물고기/인생 고기 잡으러. 오세요 이글호와 같이 가입시더
010~2994~5259로 전화주세요!!
☆☆이글호는 매일 매일 출조합니다. (주의보 상황만 휴항합니다)
☆신분증/구명조끼 필히 착용
☆☆음주 절대 안됩니다☆☆
초보 분도 여성 분도. 쉽게 배울수 있는장르 입니다 (대물 감성돔 잡으러 가입시다)
낚시대 대여 가능.(상황에따라변동가능)
수협 2020-4733-8491. 송태경 입금하시면 예약됩니다
전화문의 010 2994 5259 으로 전화주세요
독배도 환영합니다
회원님들 이글호 이용하시면서. 다소불편한 부분이 있으면 언제든지 얘기해주세요
이글호와 즐건 낚시 힐링 하는 낚시 가 되도록 최선을 다하겠습니다
대물은 한방 입니다 (기다림도 즐거운 힐링 이라고 생각하시고 여유롭게 즐낚
시간이 되었으면 합니다)
반갑습니다
첨부파일
- 2023_12_23 17_58.mp4 (7.7M) 0회 다운로드 | DATE : 2023-12-23 18:04:40
댓글목록
등록된 댓글이 없습니다.





















