감성돔 4짜4짜외 마릿수 진행중
페이지 정보
작성자 거제은아2호 댓글 0건 조회 64회 작성일 24-06-06 11:49본문








#점주조황 #선상낚시 #흘림찌낚시 #감성돔 #참돔흘림 #돌문어 #생활낚시(뽈락,전갱이,고등어등등)
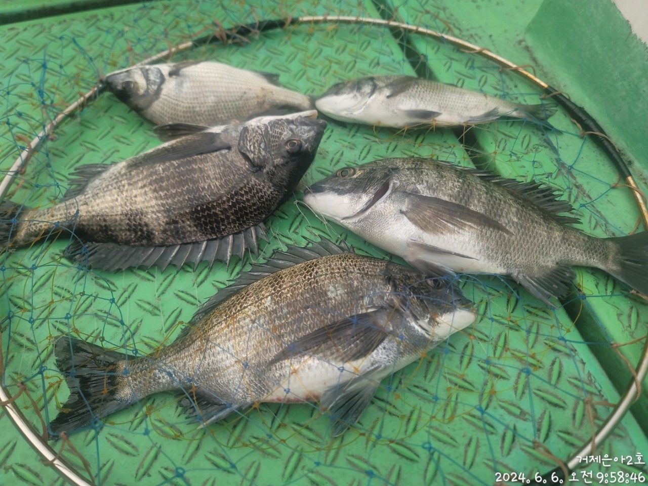
《감성돔》4짜4짜외 마릿수 진행중~대물은 안녕~
내일 예약 가능합니다.
《감성돔》아침부터 찌를 사정없이 가져가고 있습니다.
좋은 물때에 사이즈 좋은 감성돔들이 달려드니 낚시대를 사정없이 끌고가네요.
대물들도 있었지만 오늘도 여지없이 어장으로 팅 팅~
남은 시간도 즐겨 보겠습니다.
거제 은아호 입니다.
선장님들의 풍부한 경험으로 초보자분도 부담없이 연락주시면 친절하게 가르처 드립니다.
★감성돔낚시★
종일낚시: 새벽부터 - 2~3시까지 / 10만원
오전낚시: 새벽부터 - 11시까지 / 7만원
오후낚시: 1시부터 - 해질때까지 / 7만원
※독배는 시간 조정 가능합니다.※
※이벤트 행운에 도전해보세요.※
★참돔낚시★
종일낚시 : 새벽부터 - 2시 전ㆍ후까지
오후낚시 : 1시부터 - 해질때까지 (3명부터 출조합니다.)
13만원=밑밥.미끼.도시락.커피.음료수.생수다포함.
장비ᆞ쿨러만 가져오시면 됩니다.
(몇대는 대여가능합니다.미리 말씀해주세요.)
★돌문어★
아침부터 - 2시 전ㆍ후/ 8만원
독배는 시간 조정 가능합니다.
※낚시대 무상대여 해드립니다.※
※채비 만원에 무한제공 해드립니다.몸만 오셔도 됩니다.※
★감성돔+돌문어★
새벽부터 - 2~3시까지/ 10만원
독배는 시간 조정 가능합니다.
※3명부터 출항합니다※
★생활낚시(감성돔+뽈락)★
새벽부터 - 2~3시까지/ 10만원
※독배는 시간 조정 가능합니다.※
※낚시대 무상대여 해드립니다.※
※3명부터 출항합니다.※
★생활낚시(뽈락+전갱이)★
오전낚시 6시 ~ 11시까지/ 7만원
오후낚시 1시 ~ 6시까지/ 7만원
종일낚시 6시~2~3시까지/ 10만원
독배는 시간 조정 가능합니다.
※3명부터 출항합니다※
★환불규정★
당일~1일전 ~ 환불불가.
2일전 ~ 50%환불.
※단 예약이 들어오면 환불해 드립니다.※
★은아호선단★
거제 은아1호 ㅡ 은아호
거제 은아2호 ㅡ 금성호
거제 은아3호 ㅡ 레전드호
거제 은아4호 ㅡ 다이아몬드호
거제 은아5호 ㅡ 대진호
★찾아오시는길★
주소 : 거제시 거제면 법동리 536-24(법동휴게소)
거제시 거제면 법동리 626-6
★★★신분증 꼭 지참해주세요★★★
☎예약문의☎
예약전화 : 010-6292-7634
문의전화 : 010-9084-7634
☆은아펜션 운영합니다.☆
거제시 거제면 거제남서로 4234
거제시 거제면 법동리 664-1
반갑습니다
첨부파일
- 2024-06-06-112646198.mp4 (40.0M) 0회 다운로드 | DATE : 2024-06-06 11:49:18
댓글목록
등록된 댓글이 없습니다.





















