참돔 마릿수 대행진~6짜급 외 5짜 4짜~야호
페이지 정보
작성자 거제야호 댓글 0건 조회 77회 작성일 25-05-11 15:01본문
11일(일)아지랑출발 먼바다 참돔 부시리 흘림낚시 "야호" (마감) 조황입니다.
※ 감성돔53Cm,참돔 65Cm 포획시 야호&아지카 이벤트 최고급라인 증정!!!
☆12일(월) 먼바다 참돔 부시리 흘림 낚시 "예약 가능"
(12일 7물 만조: 08:21 간조: 14:17)
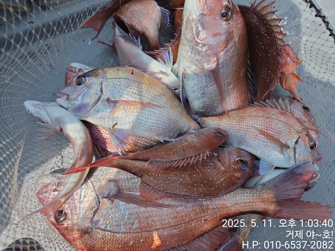
참돔(랜딩영상)마릿수 대행진~6짜급 외 5짜 4짜 퍽 퍽~
오늘도 4방 이상 터지고 빠지고~ 대물들이 설칩니다!!!
※ 감성돔53Cm,참돔 65Cm 포획시 야호&아지카 이벤트 최고급라인 증정!!!
☆12일(월) 먼바다 참돔 부시리 흘림 낚시 "예약 가능"
(12일 7물 만조: 08:21 간조: 14:17)
참돔(랜딩영상)마릿수 대행진~6짜급 외 5짜 4짜 퍽 퍽~
오늘도 4방 이상 터지고 빠지고~ 대물들이 설칩니다!!!
야호 본류대 물골 참돔 흘림 조황입니다.
살아나는 물때 속 녀석들의 입질이 본격적으로 쏟아지며 물골 포인트에는
하루종일 긴장감이 감돌았습니다~
원줄을 화끈하게 당겨가는 녀석들의 입질과 막강한 파워에 손 쓸 틈도
없이 몇 방 터져버리고 6짜급 외 5짜 4짜들로 찐한 손맛 즐기고
마무리 했습니다.
내일도 오늘 놓친 녀석들 체포하러 달려보겠습니다~ 자리 여유 있습니다.
12일(월요일)먼바다 참돔 부시리 흘림낚시 예약가능합니다.
오늘도 거제 야호와 함께해주신 조사님들 수고 많으셨습니다.
▣ 거제 야호 출조 일정 안내 ▣
☆ 5월 12일(월) 먼바다 참돔 부시리 흘림낚시 "예약가능"
☆ 5월 13일(화) 먼바다 참돔 부시리 흘림낚시 "예약가능"
☆ 5월 14일(수) 먼바다 참돔 부시리 흘림낚시 "예약가능"
☆ 5월 15일(목) 먼바다 참돔 부시리 흘림낚시 "예약가능"
※ 주말 공휴일은 미리 미리 예약을 해 주시길 바랍니다.
※ 낚시장비가 필요하신 분들은 임대 해 드립니다. 예약시 꼭 알려 주세요.
▦ 거제 야호 예약 문의 ▦
ㅁ선상낚시 (민박) 문의 : ☎ 010-6400-2082 / ☎010-4547-3937
ㅁ선외기 문의 : ☎ 010-6400-2082
(출항지) 거제시 거제면 법동리 1074 아지랑경로당 방파제


▣ 참돔 어초여밭 선상 흘림낚시 ▣
살아나는 물때 속 녀석들의 입질이 본격적으로 쏟아지며 물골 포인트에는
하루종일 긴장감이 감돌았습니다~
원줄을 화끈하게 당겨가는 녀석들의 입질과 막강한 파워에 손 쓸 틈도
없이 몇 방 터져버리고 6짜급 외 5짜 4짜들로 찐한 손맛 즐기고
마무리 했습니다.
내일도 오늘 놓친 녀석들 체포하러 달려보겠습니다~ 자리 여유 있습니다.
12일(월요일)먼바다 참돔 부시리 흘림낚시 예약가능합니다.
오늘도 거제 야호와 함께해주신 조사님들 수고 많으셨습니다.
▣ 거제 야호 출조 일정 안내 ▣
☆ 5월 12일(월) 먼바다 참돔 부시리 흘림낚시 "예약가능"
☆ 5월 13일(화) 먼바다 참돔 부시리 흘림낚시 "예약가능"
☆ 5월 14일(수) 먼바다 참돔 부시리 흘림낚시 "예약가능"
☆ 5월 15일(목) 먼바다 참돔 부시리 흘림낚시 "예약가능"
※ 주말 공휴일은 미리 미리 예약을 해 주시길 바랍니다.
※ 낚시장비가 필요하신 분들은 임대 해 드립니다. 예약시 꼭 알려 주세요.
▦ 거제 야호 예약 문의 ▦
ㅁ선상낚시 (민박) 문의 : ☎ 010-6400-2082 / ☎010-4547-3937
ㅁ선외기 문의 : ☎ 010-6400-2082
(출항지) 거제시 거제면 법동리 1074 아지랑경로당 방파제



▣ 참돔 어초여밭 선상 흘림낚시 ▣
(출조시간) 새벽부터 ~ 오후 2시(유동적) 철수
-선비 14만원
-밑밥 미끼 식사 제공합니다.
- 매일 출조합니다.
▣ 생활낚시 & 낚시체험 ▣
- 몸만 오시면 됩니다.
- 낚싯대, 장비일절제공, 구명복 제공
■ 주변 제휴 민박집 ■
아지랑 민박(단체-독채) ☎010-6400-2082
해송굴구이민박 (단체) ☎010-2545-3755
거제 대어낚시 주변 파라스파찜질방 검색하시면 됩니다.
★안전 주의 사항★
- 거제대어낚시 선단 이용시, 안전한 낚시를 위해 선착장 통로 이용시 미끌림을
주의 해 주시길 바랍니다. 통로 좌우에 있는 핸들을 잡고 이동하시면 안전합니다.
- 선착장도착전, 배에서 미리 내리지 마시고, 배가 정박하고, 로프를 묶은 뒤에
하선해 주시길 바랍니다.
▦ 거제 야호 예약 문의 ▦
ㅁ선상낚시 (민박) 문의 : ☎ 010-6400-2082/☎010-4547-3937
ㅁ선외기 문의 : ☎ 010-6400-2082
ㅁ 거제 야호 밴드 : https://band.us/@yahoboat
(출항지) 거제시 거제면 법동리 1074번지 "아지랑경로당 방파제" 출발.
(사무실) 거제시 거제면 서정리 746-3(GS25시편의점)검색하시면 바로 옆 위치
-선비 14만원
-밑밥 미끼 식사 제공합니다.
- 매일 출조합니다.
▣ 생활낚시 & 낚시체험 ▣
- 몸만 오시면 됩니다.
- 낚싯대, 장비일절제공, 구명복 제공
■ 주변 제휴 민박집 ■
아지랑 민박(단체-독채) ☎010-6400-2082
해송굴구이민박 (단체) ☎010-2545-3755
거제 대어낚시 주변 파라스파찜질방 검색하시면 됩니다.
★안전 주의 사항★
- 거제대어낚시 선단 이용시, 안전한 낚시를 위해 선착장 통로 이용시 미끌림을
주의 해 주시길 바랍니다. 통로 좌우에 있는 핸들을 잡고 이동하시면 안전합니다.
- 선착장도착전, 배에서 미리 내리지 마시고, 배가 정박하고, 로프를 묶은 뒤에
하선해 주시길 바랍니다.
▦ 거제 야호 예약 문의 ▦
ㅁ선상낚시 (민박) 문의 : ☎ 010-6400-2082/☎010-4547-3937
ㅁ선외기 문의 : ☎ 010-6400-2082
ㅁ 거제 야호 밴드 : https://band.us/@yahoboat
(출항지) 거제시 거제면 법동리 1074번지 "아지랑경로당 방파제" 출발.
(사무실) 거제시 거제면 서정리 746-3(GS25시편의점)검색하시면 바로 옆 위치
안녕하십니까 거제대어낚시 야호 선장입니다!
댓글목록
등록된 댓글이 없습니다.






















