● 인터넷바다낚시 제품평가단에서 직접 사용한 낚시용품의 사용 후기입니다. |
110차 경성공예 잠길찌 1차 제품평가이쁘게 놓아봤습니다.
디자인은 시인성 하나만큼은 끝장이겠다 라는 생각이 절로 들게 만드네요.
바람이 부는 날씨였지만 기울찌의 장점인 줄내림이 아주 좋아 25미터의 장타에서도 채비내림이 좋았습니다.

안좋은 상황속에 아주 살짝 찌가 잠깁니다.
그리고 몇초 뒤 원줄이 살포시 펴지는 입질로 입술에 살짝 걸리게 잡은 벵에돔
자기 눈에 맞는 찌가 있다더니 제법 파악하기 좋습니다.

3번의 원줄을 치고 나가는 대형입질을 받았지만 챔질이 안되는 관계로..
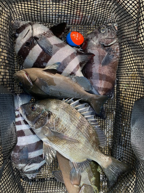
대신 각종 돔들의 손맛을 봤습니다.
동이 살짝 튼 상황에도 이렇게 존재감을 보여준다는게 낚시꾼으로써 참으로 좋은 현상아니겠습니까?
예민성은 1회 사용하고 말씀드리기 그렇지만 제 생각대로 맞아 주었습니다.
원투성은 아주 훌륭했습니다. 옆바람이 터지는 상황에 오버캐스팅으로 40m도 캐스팅이 가능했습니다.
더 자세한 내용은 블로그에 개시 했습니다.
https://blog.naver.com/gustn_up/222861349419
내만권에서 다시 써보고 2차 올리도록 하겠습니다.
안녕하세요 34살 부산에 사는 마음만은 프로이고 싶은 낚시꾼입니다. 선배님들께 마이 배우고 저도 좋은 정보가 있다면 공유하고 싶습니다.
|
|
|
|
|
|





