피츠 트라이던트 올라운드사용기

신상품 소개


회원 랭킹


공지사항


NaverBand
낚시용품 > 낚시용품 사용기

● 자신이 오랫동안, 또는 즐겨 사용하는 낚시용품에 대한 개인적인 평가나 사용기를 올리는 곳입니다.
● 
사용기로서 부적합하다고 판단되는 글은 예고없이 삭제 될 수 있습니다. 

피츠 트라이던트 올라운드사용기

1 거제남이에요 2 3,046 2016.01.04 19:48
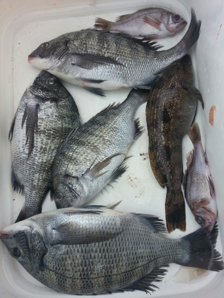
전문가용 을 사려다가 올라운드형으로 구매하였습니다
약간 중경질에 가까운거같구 앞쏠림도 이정도면 양호한거
같네요 대도 아주 이뻐서 마음에드네요
기쁜마음으로 거제 여차 쪽으로 출조 하였습니다
씨알은 30중후반이라 작지만 손맛도 더좋아진거같네요

0

좋은 글이라고 생각되시면 "추천(좋아요)"을 눌러주세요!


  • 페이스북으로 보내기
  • 트위터로 보내기
  • 구글플러스로 보내기
  • 카카오스토리로 보내기
  • 네이버밴드로 보내기
  • 네이버로 보내기
  • 텀블러로 보내기
  • 핀터레스트로 보내기
2 댓글
53 고라파덕 16-01-05 10:27 0  
잘보고 갑니다만..
알밴 노래미가...요금 금어기입니다.
 
포토 제목
 

인낚 최신글


인낚 최신댓글


온라인 문의 안내


월~금 : 9:00 ~ 18:00
토/일/공휴일 휴무
점심시간 : 12:00 ~ 13:00