타고피싱☆(팔포항)~ 타이라바♡금욜부터출조^^

신상품 소개


회원 랭킹


공지사항


NaverBand
점주/선장 > 루어 Lure 조황
100% 루어(lure)로 낚은 조황만 올리셔야 합니다.    지렁이 등 생미끼 조황 적발시 이용제한 조치됩니다.

타고피싱☆(팔포항)~ 타이라바♡금욜부터출조^^

타고피싱 0 241
● 출항지 : 사천,남해

예약및 문의 01063376339


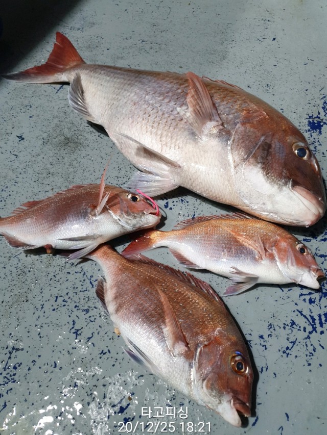
지난 타이라바 조황입니다.

빠가의 행운이 있어 

이틀동안 빠가 얼굴보고

마릿수는 적었습니다.


조황사진을 참고하세요.



타이라바 출조합니다.

5인이상 매일 출조합니다.


출조계획있으신 조사님들 연락주세요.

1월1일(금) 예약가능

1월2일(토) 예약가능

1월3일(일) 예약가능


날씨가 매우 춥습니다.

따뜻하게  입고 오세요.

마스크 착용은 필수입니다!

(선실에서 마스크 벗으시면 안됩니다!)



그동안 쌓은 노하우로 

조사님들의 안낚 즐낚을 책임지겠습니다.



[타이라바 출조안내]

출항:오전 6시 입항:  오후6시 전후 

신분증 꼭 챙기세요.

선비: 10만원

청개비는 개인 준비하시면 됩니다.

쿨러.얼음(잡어용) 

헤드 80g~150g (200g)

원줄: 합사0.8호~1.2호 (8합사)

쇼크리더: 카본3호~5호



5인이상 출조합니다.

기상악화시 출조가 취소 될 수 있습니다.


타이라바전용 낚싯대 유료대여(1만원)

식사.물.커피.컵라면 서비스제공

(5인 이상 출조. 기상악화시 취소될 수 있습니다.)



*코로나19예방을 위해 마스크 꼭 착용하세요.

*초보분들은 조금 일찍 오셔서 채비 및 낚시방법을 미리 숙지 하세요.

*낚싯대, 구명조끼 대여는 예약시 미리 말씀 해 주세요.

        


한 번도 안 타본 사람은 있어도


한 번만 타는 사람은 없다는 타고피싱입니다.


타고피싱은 

첨단장비를 갖추고있습니다.

넓고 쾌적한 선실

깨끗한 수세식 화장실

개인 해수라인 완비


배를 잘 잡아주는 젊은 선장과

친절한 사무장이 함께 합니다.




타고피싱밴드에 가입하시면 더욱편리하게 

조황과 예약현황을 확인할 수 있습니다.
http://band.us/@tagofishingclub


☎예약 및 문의   010 6337 6339


                            010 3340 7779



찾아오시는 길 : 경남 사천시 팔포3길 56-45 

( 화장실 좌측노란크레인 방향 .컨테이너)
                
 

신분증 필수지참

선내 음주 금지 및 주류 반입금지

구명 조끼 착용 의무화  

0timephoto_20201227_1251531.jpg020201226_1657261.jpg0timephoto_20201226_1033491.jpg0timephoto_20201226_1625071.jpg0timephoto_20201225_0923171.jpg0timephoto_20201225_1821001.jpg0timephoto_20201222_1849122.jpg
0timephoto_20201227_1725281.jpg

  • 페이스북으로 보내기
  • 트위터로 보내기
  • 구글플러스로 보내기
  • 카카오스토리로 보내기
  • 네이버밴드로 보내기
  • 네이버로 보내기
  • 텀블러로 보내기
  • 핀터레스트로 보내기
0 댓글
제목
 
 

인낚 최신글


인낚 최신댓글


온라인 문의 안내


월~금 : 9:00 ~ 18:00
토/일/공휴일 휴무
점심시간 : 12:00 ~ 13:00