











뽈루 입문자분들과 단골손님들 모시고 다녀왔습니다.
올시즌 두번째 오시는 손님은 왕사미로만 건져 올리시네요.
입질이 길게 이어지지 않아 여러 포인트를 옮겨봅니다.
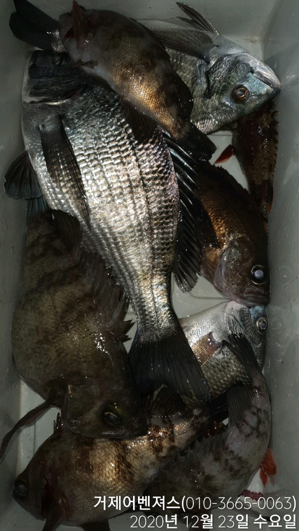
오늘도 감성돔들이 먼저 덤벼드네요.
볼락 26cm 감성돔 33cm가 최대어 였습니다.
바람도 많이 불고 추운날씨에 수고들 하셨습니다.
-----------------《볼락 루어》----------------출조지 : 거제시 유호4길 18-1 (하유항)출항시간 : 오후 6시 ~ 12시선비 : 7만원입금계좌: 농협 178039-52-068511 (신강진)※ 생수, 거피, 간식제공
※ 채비안내
지그헤드: 2~5g
합사: 0.2~0.4호
쇼크리더: 0.8~1.2호
릴: 2000번
로드: 볼락루어용 ul
튜블러, 솔리드 모두 가능하지만 솔리드가
예민한 입질 받아내기에 좀 더 유리함
■ 발열체크에 적극협조바랍니다.
■ 마스크 필히 착용바랍니다.
===== 거제도 어벤져스호 예약안내 =====■ 예약문의 : 010-3665-0063
■ 오시는길 : 경상남도 거제시 장목면 유호4길 18 (하유항)
■ 볼락루어
오후 6시 - 12시 (팀별 시간조정 가능)
선비 : 7만원
※ 물,커피, 간식제공
■ 체험낚시(낚시대,미끼,구명복,생수,자연산회제공)
1항차 : 08시 ~ 11시 / 2항차 : 13시 ~ 16시 / 3항차 : 16시 ~ 19시
선비 : 3만원 (초등생까지)
5만원 (중등~성인)
■ 홈페이지 예약하기 : http://avengers.sunsang24.com
■
네이버밴드 : https://band.us/@fishingavengers
■ 계좌안내 : 농협 / 178039-52-068511 / 신강진
《《《《《필 독》》》》
● 신분증은 꼭 지참하주세요. (미지참시 승선불가)
● 구명복 챙겨오세요. (없을시 비치된것 쓰시면 됩니다.)
● 음주는 불가입니다.
● 마스크는 필수입니다.
