


















어제와 달리 좋은 날씨에 왕사미와 더불어 요즘 핫한 감성돔 루어 다녀왔는데 완전 초대박조황입니다.
매일 3짜전후 감성돔들이 많이 잡히다가 며칠전 45cm가 나오는걸보고 오는 제대로 한번 노려 보았습니다.
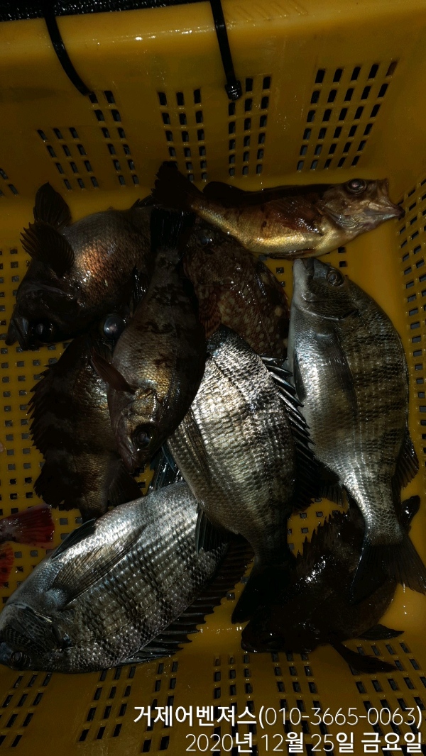
33cm를 시작으로 43,45,48,39,35,...
대물 감성돔들이 지대로 터져나오네요.
두분씩 세팀 모시고 나갔는데 단골손님 두분이 총12마리 잡았는데 한분이 4짜두마리포함 10마리 잡으시고 오늘 처음 오신분이 최대어 48cm잡으셨네요.
나머지분들도 전원 감성돔 손맛 보았습니다.
총21 마리 나왔네요.
흘림낚시에서도 만나기 힘든 마릿수입니다.
감성돔 손맛 보고 싶으신분들 언능오세요~~~^^
씨알좋은 감성돔이 마릿수로 나오니 당분간 볼락루어와 감성돔 루어 병행 하겠습니다.
----------------《볼락 루어 / 감성돔루어》----------------■ 출조지 : 거제시 유호4길 18-1 (하유항)■ 출항시간 : 오후 6시 ~ 12시■ 선비 : 7만원■ 입금계좌: 농협 178039-52-068511 (신강진)※ 생수, 거피, 간식제공
※ 채비안내
지그헤드: 2~5g
합사: 0.2~0.4호
쇼크리더: 0.8~1.2호
릴: 2000번
로드: 볼락루어용 ul
튜블러, 솔리드 모두 가능하지만 솔리드가
예민한 입질 받아내기에 좀 더 유리함
■ 발열체크에 적극협조바랍니다.
■ 마스크 필히 착용바랍니다.
===== 거제도 어벤져스호 예약안내 =====■ 예약문의 : 010-3665-0063
■ 오시는길 : 경상남도 거제시 장목면 유호4길 18 (하유항)
■ 볼락루어
오후 6시 - 12시 (팀별 시간조정 가능)
선비 : 7만원
※ 물,커피, 간식제공
■ 체험낚시(낚시대,미끼,구명복,생수,자연산회제공)
1항차 : 08시 ~ 11시 / 2항차 : 13시 ~ 16시 / 3항차 : 16시 ~ 19시
선비 : 3만원 (초등생까지)
5만원 (중등~성인)
■ 홈페이지 예약하기 : http://avengers.sunsang24.com
■
네이버밴드 : https://band.us/@fishingavengers
■ 계좌안내 : 농협 / 178039-52-068511 / 신강진
《《《《《필 독》》》》
● 신분증은 꼭 지참하주세요. (미지참시 승선불가)
● 구명복 챙겨오세요. (없을시 비치된것 쓰시면 됩니다.)
● 음주는 불가입니다.
● 마스크는 필수입니다.
