[거제도 볼락루어] 빅싸이즈 게임~~^^

신상품 소개


회원 랭킹


공지사항


NaverBand
점주/선장 > 루어 Lure 조황
100% 루어(lure)로 낚은 조황만 올리셔야 합니다.    지렁이 등 생미끼 조황 적발시 이용제한 조치됩니다.

[거제도 볼락루어] 빅싸이즈 게임~~^^

거제어벤져스 0 168
● 출항지 : 거제
b009ad6262765c3d989f431fa097e156.jpg


-2
TimePhoto_20201207_000846.jpg


TimePhoto_20201207_002238.jpg


TimePhoto_20201207_002400.jpg

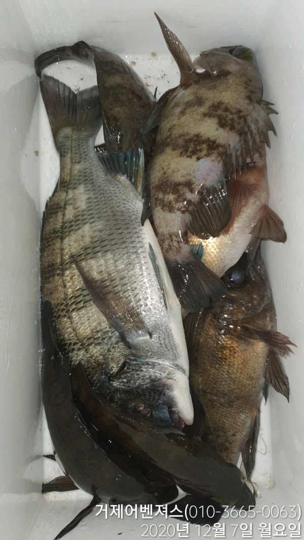
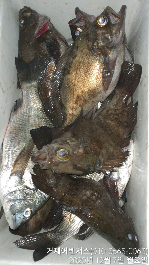
오늘은 빅싸이즈들이 많이 나왔네요.
최대어는 28.5cm.
볼락시즌때마다 오시는 단골손님 올해 스타트 하시면서 빅싸이즈들 마릿수로 담으시네요.^^
24리터 쿨러를 작아보이게 만드네요.
올해는 감성돔이 유독 많이 설쳐대네요.
1인 1감생이.
빅싸이즈 손맛보기 딱 좋은 시기임에는 분명하네요.

채비 손실이 많습니다. 넉넉히 준비해오세요.
지그헤드는 5g까지 준비해오시면 좋습니다.

-----------------《볼락 루어》----------------

출조지 : 거제시 유호4길 18-1 (하유항)

출항시간 : 오후 6시 ~ 12시

선비 : 7만원

※ 생수, 거피, 간식제공




39c40d5fe67ee31c2310916cc48f5f9f.jpg

===== 거제도 어벤져스호 예약안내 =====

■ 예약문의 : 010-3665-0063
■ 오시는길 : 경상남도 거제시 장목면 유호4길 18 (하유항)
■ 볼락루어
    오후 6시 - 12시  (팀별 시간조정 가능)
    선비 : 7만원 
※ 물,커피, 간식제공
■ 체험낚시
(낚시대,미끼,구명복,생수,자연산회제공)

1항차 : 08시 ~ 11시 / 2항차 : 13시 ~ 16시 / 3항차 : 16시 ~ 19시

선비 : 3만원 (초등생까지)
5만원 (중등~성인)          
■ 홈페이지 예약하기 : http://avengers.sunsang24.com
■ ​네이버밴드 : https://band.us/@fishingavengers
■ 계좌안내 : 농협 / 178039-52-068511 / 신강진

《《《《《필       독》》》》

●  신분증은 꼭 지참하주세요. (미지참시 승선불가)
● 구명복 챙겨오세요. (없을시 비치된것 쓰시면 됩니다.)
● 음주는 불가입니다.
● 마스크는 필수입니다.


ae2f302768c68c8428e93ccd1dd815dc.jpg

  • 페이스북으로 보내기
  • 트위터로 보내기
  • 구글플러스로 보내기
  • 카카오스토리로 보내기
  • 네이버밴드로 보내기
  • 네이버로 보내기
  • 텀블러로 보내기
  • 핀터레스트로 보내기
0 댓글
제목
 
 

인낚 최신글


인낚 최신댓글


온라인 문의 안내


월~금 : 9:00 ~ 18:00
토/일/공휴일 휴무
점심시간 : 12:00 ~ 13:00