













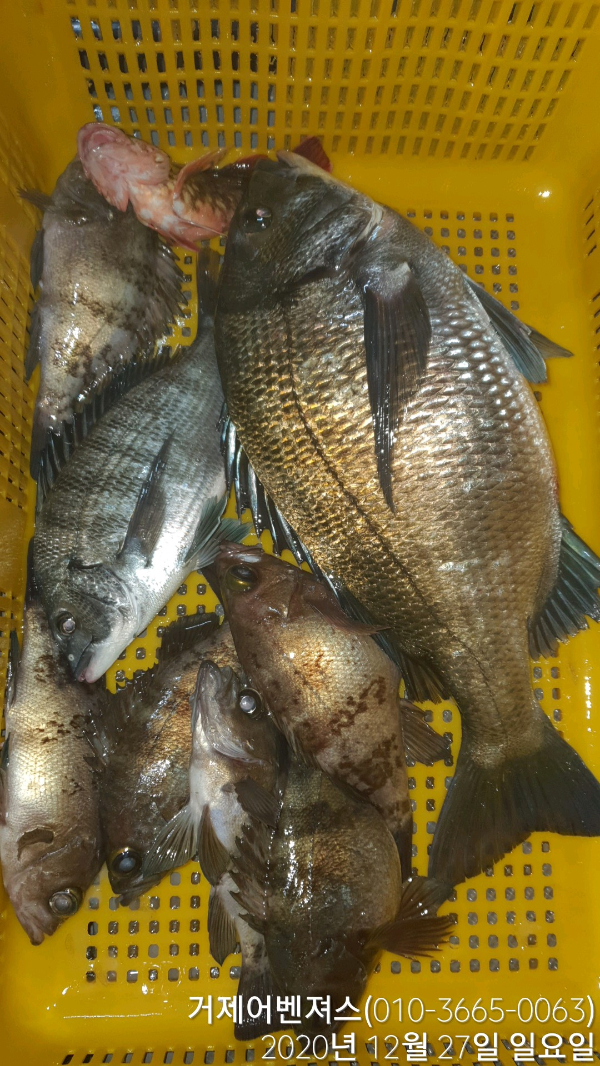
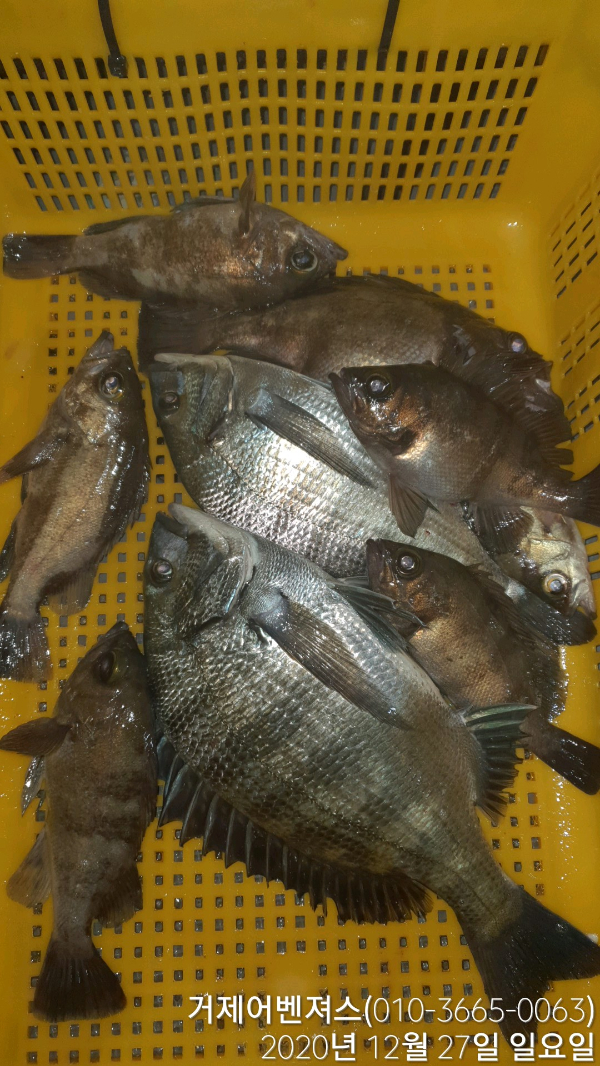
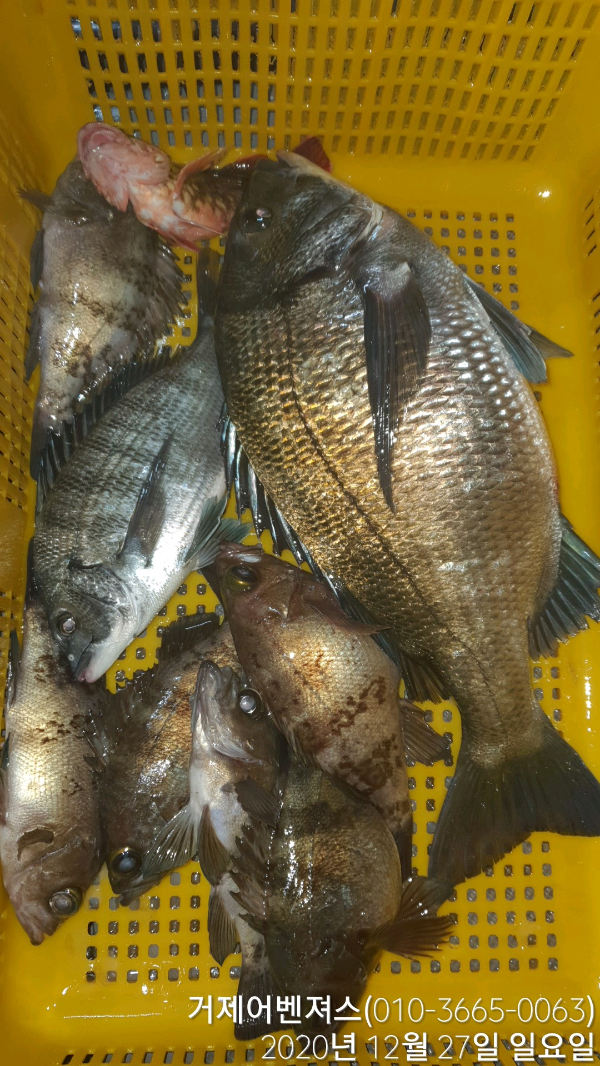
좋은날씨에 볼락과 감성돔 사냥 다녀왔습니다.
3짜 감성돔을 시작으로 35cm, 46cm까지 나오네요.
묵직하게 당기다가 놓아버리는 감성돔 특유의 입질은 여러번 들어왔는데 모두다 걸어내지는못했네요.
손끝으로 입질을 느끼며 대물을 걸어내는 루어조법이 정말 짜릿합니다.
볼락은 21-25cm까지 나왔습니다.
끝까지 한마리한마리 집중해 주시느라 고생들 하셨습니다.
----------------《볼락 루어 / 감성돔루어》----------------■ 출조지 : 거제시 유호4길 18-1 (하유항)■ 출항시간 : 오후 6시 ~ 12시■ 선비 : 7만원■ 입금계좌: 농협 178039-52-068511 (신강진)※ 생수, 거피, 간식제공
※ 채비안내
지그헤드: 2~5g
합사: 0.2~0.4호
쇼크리더: 0.8~1.2호
릴: 2000번
로드: 볼락루어용 ul
튜블러, 솔리드 모두 가능하지만 솔리드가
예민한 입질 받아내기에 좀 더 유리함
■ 발열체크에 적극협조바랍니다.
■ 마스크 필히 착용바랍니다.
===== 거제도 어벤져스호 예약안내 =====■ 예약문의 : 010-3665-0063
■ 오시는길 : 경상남도 거제시 장목면 유호4길 18 (하유항)
■ 볼락루어
오후 6시 - 12시 (팀별 시간조정 가능)
선비 : 7만원
※ 물,커피, 간식제공
■ 체험낚시(낚시대,미끼,구명복,생수,자연산회제공)
1항차 : 08시 ~ 11시 / 2항차 : 13시 ~ 16시 / 3항차 : 16시 ~ 19시
선비 : 3만원 (초등생까지)
5만원 (중등~성인)
■ 홈페이지 예약하기 : http://avengers.sunsang24.com
■
네이버밴드 : https://band.us/@fishingavengers
■ 계좌안내 : 농협 / 178039-52-068511 / 신강진
《《《《《필 독》》》》
● 신분증은 꼭 지참하주세요. (미지참시 승선불가)
● 구명복 챙겨오세요. (없을시 비치된것 쓰시면 됩니다.)
● 음주는 불가입니다.
● 마스크는 필수입니다.
