타이라바 조황 입니다 금욜 일욜 여유자리 있습니다
02월 15일(일)
인낚 현재접속자
3,938명 (
211
)
공지사항
인낚도서관
점주선장전용 공지사항
로그인
광고/제휴 문의
운영진에게
인낚ㅣ인터넷바다낚시
0
어종별선상
어종별갯바위
낚시인조황
점주선장조황
출조정보
낚시광장
낚시지식인
낚시교실
중고장터
휴게실
인낚도서관
인낚몰
0
어종별선상
4대돔 조황
먹물 조황
갈치 조황
볼락&전갱이
빅게임 지깅&파핑
외줄&외수질
기타 어종
어종별갯바위
4대돔 조황
먹물 조황
갈치 조황
볼락&전갱이
농어&삼치&방어&부시리
기타 어종
낚시인조황
낚시인 번개조황
낚시인조행기
스탭조행기
우리낚시동호회이야기
전국낚시동호회소개
동호회갤러리
지난 조황자료보기(년도별 조황 자료)
점주선장조황
전국 실시간 조황
선상(배)+좌대 조황
갯바위+방파제 조황
점주선장전용 공지사항
지난 조황자료보기(년도별 조황 자료)
출조정보
낚시인동행출조
점주선장 갯바위 출조
점주선장 선상출조
기상파고정보(기상청)
해상예보
물때표
파고예보(일본)
실시간해양관측예보
스마트조석예보
낚시광장
낚시계뉴스
대회 및 낚시관련 홍보
제품평가단
신상품소개
낚시지식인
Q&A 묻고 답하기
지식인 베스트
조황/포인트 문의
낚시용품 사용기
낚시투표
토론방
新어류도감
낚시교실
낚시기법소개
어종별 낚시교실
입문자교실
중급자교실
낚시용어사전
중고장터
중고장터 이용후기
더치트 사기피해 검색
팝니다
삽니다
교환합시다
무료로 드립니다
부품팝니다
부품삽니다
일반 생활용품 사고 팔기
휴게실
출석부
낚시갤러리
세상사는 이야기(자유게시판)
낚시이야기 마당
먹고사는 이야기
구인구직
칭찬합니다
어째이런일이
습득물 찾기
인낚도서관
인낚 유튜브
인낚 칼럼
블루, 그것이 알고싶다
더블테일의 두 눈으로 보는 세상
입질의추억의 피싱다이어리
나無의 바다 이야기
전문강좌
海巖의 바다낚시 이야기
이성규의 전유동낚시 강좌
조성민의 금요루어클럽
메인
어종별선상
어종별갯바위
낚시인조황
점주선장조황
출조정보
낚시광장
낚시지식인
낚시교실
중고장터
휴게실
인낚도서관
인낚몰
0
점주/선장 >
루어 Lure 조황
100% 루어(lure)로 낚은 조황만 올리셔야 합니다. 지렁이 등 생미끼 조황 적발시 이용제한 조치됩니다.
타이라바 조황 입니다 금욜 일욜 여유자리 있습니다
통영명인낚시
0
97
2020.11.26 16:15
● 출항지 : 고성,통영
● 출조인원 :
네임
카드
명인낚시
통영시 미수해안로53-1
010-8528-9888
실시간 예약
홈페이지
밴드 바로가기
유튜브/SNS
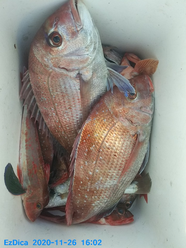
3분 모시고 다녀왔습니다
출조인원이 적어서 많이 못잡았습니다
광어가 7중은 되겠네요
금요일 일요일 여유자리 있습니다
많이는 안물어도 적당히 조황꺼리는 나옵니다
======■ 통영 명인낚시 예약 안내 ■=======
▶ 명인호 예약 연락처 :
010-8528-9888
▶ 주소: 통영시 미수해안로53-1
▶ 계좌안내 : 수협 / 2020-4030-1624 / 김권수
▶ 배타는곳: 통영 미수동 해양공원 주차장 선착장
▶ 홈페이지 실시간 예약 바로가기 :
http://minho.sunsang24.com
▶명인낚시(명인호) 밴드 가입하기 :
https://band.us/band/75401458
0
신고
목록
0
댓글
로그인한 회원만 댓글 등록이 가능합니다.
번호
제목
이름
날짜
65003
더블피싱 타이라바 10일간 조황 베리 베리 굿~
출항지 : 고성,통영 / 출조지 :
더블피싱
91
2020.12.14
더블피싱
2020.12.14
65002
거제[지깅](12/12~13)-주말지깅조황입니다~
출항지 : 거제 / 출조지 :
거제대구낚시
161
2020.12.13
거제대구낚시
2020.12.13
65001
거제[왕전갱이/아징](12/11~12)-57센티 기록달성~
출항지 : 거제 / 출조지 :
거제대구낚시
203
2020.12.13
거제대구낚시
2020.12.13
65000
거제[타이라바](12/11~12)-85센티 빠가등장~
출항지 : 거제 / 출조지 :
거제대구낚시
173
2020.12.13
거제대구낚시
2020.12.13
64999
거제[왕전갱이/아징](12/8~9)-55센티!쿨러오바~!
출항지 : 거제 / 출조지 :
거제대구낚시
116
2020.12.13
거제대구낚시
2020.12.13
64998
통영섬사랑 - 토,일 타이라바조황 입니다
출항지 : 고성,통영 / 출조지 :
통영섬사랑호
106
2020.12.13
통영섬사랑호
2020.12.13
64997
[파로스호] 12.13(일) 대포알갑돌이 졸업식~
출항지 : 고성,통영 / 출조지 :
파로스호
59
2020.12.13
파로스호
2020.12.13
64996
더블피싱 타이라바 철수조황 입니다.
출항지 : 고성,통영 / 출조지 :
더블피싱
90
2020.12.13
더블피싱
2020.12.13
64995
거제대림호 참돔타이라바 조황 굿
출항지 : 거제 / 출조지 :
대림호
123
2020.12.13
대림호
2020.12.13
64994
[거제하모니호]오늘도 타이라바 다녀왔습니다
출항지 : 거제 / 출조지 :
하모니호
113
2020.12.13
하모니호
2020.12.13
64993
엔에스호 12월13일 지깅 조항입니다
출항지 : 고흥,녹동 / 출조지 :
녹동항엔에스호
62
2020.12.13
녹동항엔에스호
2020.12.13
64992
수온 좋으면 :"군산문여" 시즌 길게 이어진다~! 덩치급 문어들…
출항지 : 군산 / 출조지 :
군산낚시프라자
97
2020.12.13
군산낚시프라자
2020.12.13
64991
거제마리너호)타이~타이라바 조황!
출항지 : 거제 / 출조지 :
거제마리너호
131
2020.12.13
거제마리너호
2020.12.13
64990
거제아지트피싱) 대전갱이 아징 굵직한 녀석들 마리수 조황.
출항지 : 거제 / 출조지 :
아지트장선장
202
2020.12.13
아지트장선장
2020.12.13
64989
참돔타이라바 열기외줄
출항지 : 거제 / 출조지 :
거제산호섬호
137
2020.12.13
거제산호섬호
2020.12.13
초기화
날짜순
조회순
댓글순
검색
26
27
28
29
30
Search
검색대상
제목
내용
제목+내용
회원아이디
회원아이디(댓글)
글쓴이
글쓴이(댓글)
또는
그리고
검색어
필수
검색
닫기
검색조건
제목
내용
제목+내용
회원아이디
회원아이디(코)
글쓴이
글쓴이(코)
검색어
또는
그리고
검색
인낚몰 초특가
★설특가 190,000★ 파직스 자동팽창식 구명의 PL-181+원줄+장갑
★설특가 99,000★ 디캡스 자동팽창식 구명복+원줄+장갑
★설특가 8,000부터★ ISF 바칸 삼나무 테이블
★설특가 4,000★ FF 블리츠 전자캐스팅볼 점등 점멸 + 구매수량만큼 425배터리 증정 / 4개단위로 구매시 케이스 증정
★설특가 12,000★ 티렉스 미니 일렉볼 + BR322 배터리 1개 증정
★설특가 6,000★ 티렉스 일렉트로볼 점등 점멸
★설특가 18,000부터★ 1+1 플로팅, 세미, 카본 낚시줄 행사 호수선택가능 / 택상 1+1 원줄, 목줄 행사
★3,000★ MAEK 맥 호래기 대바늘 호래기콕 J타입 (카본바디 2입)
★5,000★ 어부공방 NEW 호래전
★4,500★ 야마시타 SB 호래기 대바늘
★3,000★ 하야부사 6단 볼락 전갱이 카드채비 SD724 볼락채비
★1,000★볼락낚시에 최적인 메바트로볼 - 캐스팅볼, 메바볼