






세분모시고 단촐하게 다녀왔습니다.
초반 따문따문 나오다가 후반에 집중적으로 나오네요.
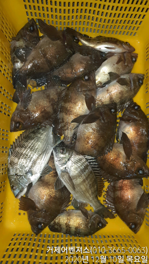
간만에 오신 손님이 혼자서 손맛 찐하게 보셨어요.
22-24cm로 씨알도 좋습니다.
왕사미 사냥은 계속됩니다. 쭉~~~^^
-----------------《볼락 루어》----------------출조지 : 거제시 유호4길 18-1 (하유항)출항시간 : 오후 6시 ~ 12시선비 : 7만원입금계좌: 농협 178039-52-068511 (신강진)※ 생수, 거피, 간식제공
※ 채비안내
지그헤드: 2~5g
합사: 0.2~0.4호
쇼크리더: 0.8~1.2호
릴: 2000번
로드: 볼락루어용 ul
튜블러, 솔리드 모두 가능하지만 솔리드가 좀
더 유리함
===== 거제도 어벤져스호 예약안내 =====■ 예약문의 : 010-3665-0063
■ 오시는길 : 경상남도 거제시 장목면 유호4길 18 (하유항)
■ 볼락루어
오후 6시 - 12시 (팀별 시간조정 가능)
선비 : 7만원
※ 물,커피, 간식제공
■ 체험낚시(낚시대,미끼,구명복,생수,자연산회제공)
1항차 : 08시 ~ 11시 / 2항차 : 13시 ~ 16시 / 3항차 : 16시 ~ 19시
선비 : 3만원 (초등생까지)
5만원 (중등~성인)
■ 홈페이지 예약하기 : http://avengers.sunsang24.com
■
네이버밴드 : https://band.us/@fishingavengers
■ 계좌안내 : 농협 / 178039-52-068511 / 신강진
《《《《《필 독》》》》
● 신분증은 꼭 지참하주세요. (미지참시 승선불가)
● 구명복 챙겨오세요. (없을시 비치된것 쓰시면 됩니다.)
● 음주는 불가입니다.
● 마스크는 필수입니다.
