제목에 특수문자 사용금지 (온점, 쉼표, 느낌표, 괄호, 물결만 허용) |
![]() |
|
![]() |
![]() |






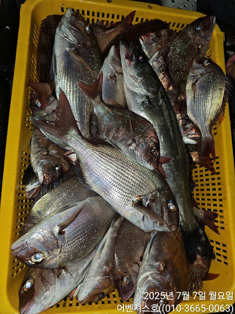
볼락 매니아 몇분의 요청으로 야간 출조 다녀와 봤습니다.
해가 넘어가니 선선하니 낚시 할만 하네요.
볼락대로 모처럼 가벼운 채비로 공략하니 참돔떼가 연타로 올라옵니다.
씨알은 천차만별인데 제법 쓸만한 놈들도 보이고 손맛은 최고네요.
간간히 농어도 나오고 감생이에 볼락에 어시장에 온듯한 느낌!
시원한 저녁 볼락채비로 참돔과 농어손맛 보는것도 아주 재미가 납니다.
손맛에 조금 메말라 있으신 분들 손맛보러 오시면 좋을듯 합니다.
|
|
|
|






