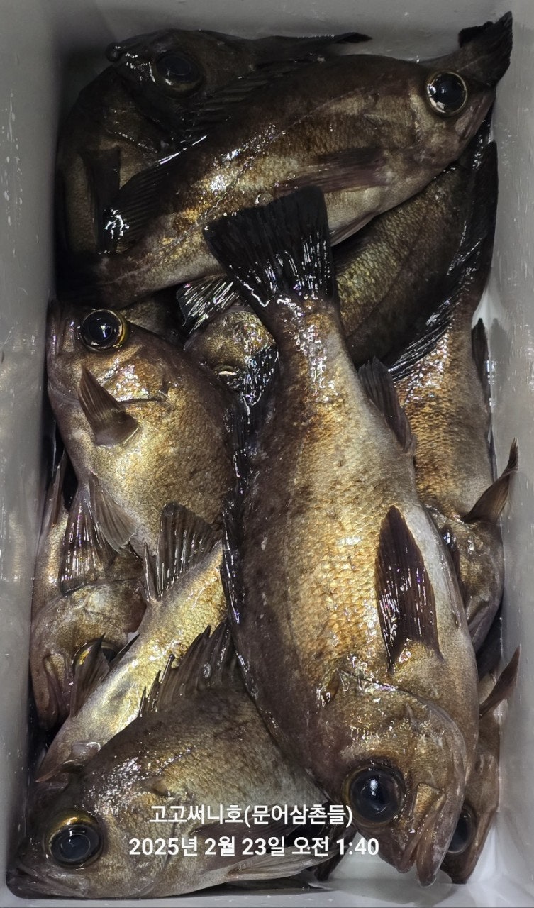
왕볼락(루어)쿨러 가득 17~20Cm 덩어리들~고고써니호(오늘 밤 예약)

회원랭킹(월 글등록)


공지사항


NaverBand
점주/선장 > 루어 Lure 조황

100% 루어(lure)로 낚은 조황만 올리셔야 합니다.
지렁이등 생미끼 조황 적발시 이용제한 조치됩니다.
 
사진은 날짜표기 꼭 하셔야 합니다!

제목에 특수문자 사용금지 (온점, 쉼표, 느낌표, 괄호, 물결만 허용)
 
b_hot_innakmall_200x80_240307.jpg b_hot_innakmall_200x80_220704.jpg b_hot_ggsusan_hongeu_200x80.gif b_hot_innakmall_200x80_211203.gif

왕볼락(루어)쿨러 가득 17~20Cm 덩어리들~고고써니호(오늘 밤 예약)

고고써니호 0 38
● 출항지 : 통영
23일(일요일) 새벽철수 통영 출발 야간 볼락루어 "고고써니호"조황입니다.
※주차장앞 선착장 위치(대형주차장 완비) 딱 5분이면 끝~ 1:1 티칭 지원!!!

☆ 24일(월요일) 오늘 밤 볼락루어 천국~핫포인트 "예약가능"
왕볼락(루어)17~20Cm 개체수 대박~담고 또 담고~
패턴 낚시~패턴만 찾으면 마릿수가 월등히 뛰어납니다~
  • 사용자가 올린 이미지

통영 볼락 루어 선상 전문 고고써니호입니다.
변덕스러운 날씨에 일기예보조차 따라가지 못하는 듯 일주일 내도록
바람에 시달리고 있습니다.. 오늘도 역시나 강한 바람과 너울에 조사님들
모두 수고 많으셨고, 바람의 영향인지 왕사미급 볼락은 볼 수 없었지만
다행히 17~20Cm급의 볼락들이 앞다투어 물어주기 시작하며 씨알은
아쉽지만 마릿수 손맛은 제대로 즐기고 마무리 할 수 있었습니다.
날씨 물때 모두 좋은 예보를 보이고 있는 24일 월요일 대물을 찾아
새로운 포인트로 달려보겠습니다. 예약가능합니다.

24일(월요일) 야간, 야간 최근 좋은 좋은 조황이 이어지는 포인트로 기대하고,
달려보겠습니다. 야간 오후 6시 출발, 볼락루어 출조 진행합니다.

▣ 고고써니호 출조 일정 안내 ▣
※ 금요일, 토요일, 일요일 주간 돌문어낚시, 야간 볼락루어낚시 운영합니다.
☆24일(월요일) 야간 볼락루어낚시 "예약 가능"
☆25일(화요일) 야간 볼락루어낚시 "예약 가능"
☆26일(수요일) 야간 볼락루어낚시 "예약 가능"
​​​​​​​☆27일(목요일) 야간 볼락루어낚시 "예약 가능"
​​​​​​​☆28일(금요일) 야간 볼락루어낚시 "예약 가능"
★ 주중,주말 날씨만 허락하면 쭉 출조하고, 독배는 상시 예약 가능합니다.

▦고고써니호 ☎010-5837-2330
◎ 고고써니호 밴드 : http://band.us/@daedong2
(출항지) 통영시 국치1길 52-24 마티스펜션 바로앞 (주차하고 바로 승선)
  • 사용자가 올린 이미지
  • 사용자가 올린 이미지
  • 사용자가 올린 이미지
  • 사용자가 올린 이미지
  • 사용자가 올린 이미지
  • 사용자가 올린 이미지
  • 사용자가 올린 이미지
  • 사용자가 올린 이미지
  • 사용자가 올린 이미지
  • 사용자가 올린 이미지
  • 사용자가 올린 이미지
  • 사용자가 올린 이미지
통영/거제 야간 볼락 루어낚시
- 오후 6시 출발 ~익일 1시 철수(유동적)
- 포인트 매물도권
- 볼락 루어만 운영합니다. ※ 털털이 하지 않습니다.

▣돌문어낚시 출조안내 ▣
1) 평일(원도권) 전투낚시 (빡시게 낚는 출정)( 9만원)
- 06시 출발 ~ 입항 15시 까지
- 생수, 캔커피, 도시락제공

2) 야간 돌문어낚시
- (사량권) 17시 출항 ~ 익일 01시 까지 낚시후 철수. (8만원)
- 생수, 캔커피, 김밥, 컵라면 제공

▣▣ 문어체험낚시 (가족팀/단체팀 전문) ▣▣ "몸만 오십시요"
※ 낚싯대+릴+구명복 장비 (유상 1만원 대여 가능) 에기, 봉돌만 개인 준비

▧ 협력 숙박시설 이용 안내 ▧
- 고고 선단배에 한해 숙박료 10% 상시 할인 적용중입니다.
1) 마티스비치 스파펜션 ☎010-2361-3710 /통영시 국치1길 52-24
- 객실료의 10%할인 적용.
2) 바다52 스파 펜션 ☎010-4049-7873 / 통영시 국치1길 52-20
- 객실료의 10%할인 적용.

▣ 협력 선단 운영 ▣ 동일포인트 진입!
개인, 동호회, 회사팀 단합대회 및 낚시대회도 수용 가능한 협력 선단 보유중.
1) 6톤~12인승(두족류 전문)
2) 4.99톤~12인승(두족류전문)
3) 4.05톤~12인승(두족류.생활낚시)
★풍부한 포인트 관리로 항상 최선을 다하는 선단을 운영중입니다.
★예약 필수 - 입금 확인시에만 "예약으로 확정"됩니다.
★ 선내 구명복 미착용 및 음주 반입행위는 법적인 책임을 질 수 있습니다.

▦고고써니호 ☎010-5837-2330
◎ 고고써니호 밴드 : http://band.us/@daedong2
◎ 문어 삼촌들 밴드: https://band.us/@tyds
(출항지) 통영시 국치1길 52-24 마티스펜션 바로앞 (주차하고 바로 승선)
  • 사용자가 올린 이미지

, , , , , , , , , , , , , , , , , , , , , , , , , , , , , , , , , ,

  • 페이스북으로 보내기
  • 트위터로 보내기
  • 구글플러스로 보내기
  • 카카오스토리로 보내기
  • 네이버밴드로 보내기
  • 네이버로 보내기
  • 텀블러로 보내기
  • 핀터레스트로 보내기
0 댓글
포토 제목
 
 

인낚 최신글


인낚 최신댓글


온라인 문의 안내


월~금 : 9:00 ~ 18:00
토/일/공휴일 휴무
점심시간 : 12:00 ~ 13:00