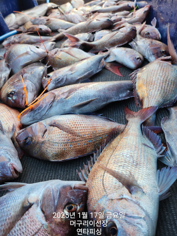
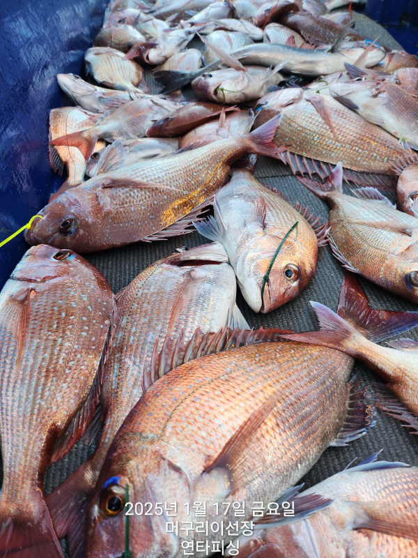
통영 머구리 이선장의 연타피싱) 2025.1.17. 참돔 타이라바조황

회원랭킹(월 글등록)


공지사항


NaverBand
점주/선장 > 루어 Lure 조황

100% 루어(lure)로 낚은 조황만 올리셔야 합니다.
지렁이등 생미끼 조황 적발시 이용제한 조치됩니다.
 
사진은 날짜표기 꼭 하셔야 합니다!

제목에 특수문자 사용금지 (온점, 쉼표, 느낌표, 괄호, 물결만 허용)
 
b_hot_innakmall_200x80_240307.jpg b_hot_innakmall_200x80_220704.jpg b_hot_ggsusan_hongeu_200x80.gif b_hot_innakmall_200x80_211203.gif

통영 머구리 이선장의 연타피싱) 2025.1.17. 참돔 타이라바조황

통영연타피싱 0 25
● 출항지 : 고성
b72c0443418d1421c08137a56619f592.jpg
홍도 피딩!

배 피딩ㅋㅋ

역쉬나 촉은 굿ㅎㅎ

대사리라서 안경 패쓰~~

홍도고고고우~~

한동안 혼자가서 재미지게 놀았는데

오늘은 버글버글하네요

모든포인트에서 참돔은 반겨주었구요

잠깐이나마 피딩..

물색이 쪼매 아쉽네요

쇼바이트 겁나많아요

빠지는거 겁나게많아요

딱가돌리서 꼬셔아됩니다 ㅎㅎ

점점 좋은물때

기대해볼께요

주중 소수인원 기상만 허락하면 무조건갑니다


BandPhoto_2025_01_17_22_01_03_1.jpg


BandPhoto_2025_01_17_22_01_03_2.jpg


BandPhoto_2025_01_17_22_01_03_4.jpg


BandPhoto_2025_01_17_22_01_03_3.jpg


BandPhoto_2025_01_17_22_01_03_5.jpg


 

연타피싱 예약 사이트 안내

http://yeontafishing.sunsang24.com/


예약문의 
머구리 이선장님 010 7135 2299

입금계좌
안은숙
수협 2020 5134 6033

배를 누르시면 선상24 예약사이트로 연결됩니다

문어 종일낚시 9만원
참돔타이라바  10만원
입니다

예약창에 문어든 타이라바든 먼저 예약 누르시면 그날은 먼저 예약된 어종으로 나갑니다

선택은 조사님이,
나머지는 머구리 이선장님과 뻐꾸미 사모장님이 알아서 챙깁니다^^*

자리는 여유있습니다
마감이 되었더라도 일행이 한두분 더 가고싶어 하시면 머구리 이선장님에게 연락주세요

자리는 추첨입니다
너무 일찍 오셔서 기다리지 않으셔도 됩니다

출발 30분전까지 도착하여 명부작성 후 늦어도 출발20분전에는 자리추첨 예정입니다

다만 도착시간이 늦을 경우 추첨에서 제외되고 남은 자리에서 일행끼리 같이하지 못하고 떨어져서 낚시할 수 있으니 시간 늦지 않게 도착 부탁드립니다

궁금하신게 있으시면 머구리 이선장님께 문의 바랍니다
통화가 어려울 경우 문자 남겨주시고

정 급할땐 밴드지기에게 전화주세요^^ #타이라바

[밴드 초대] 통영 연타피싱 https://band.us/n/a4a6A80cqa4aB
blank.png1


  • 페이스북으로 보내기
  • 트위터로 보내기
  • 구글플러스로 보내기
  • 카카오스토리로 보내기
  • 네이버밴드로 보내기
  • 네이버로 보내기
  • 텀블러로 보내기
  • 핀터레스트로 보내기
0 댓글
포토 제목
 
 

인낚 최신글


인낚 최신댓글


온라인 문의 안내


월~금 : 9:00 ~ 18:00
토/일/공휴일 휴무
점심시간 : 12:00 ~ 13:00