제목에 특수문자 사용금지 (온점, 쉼표, 느낌표, 괄호, 물결만 허용) |
![]() |
|
![]() |
![]() |
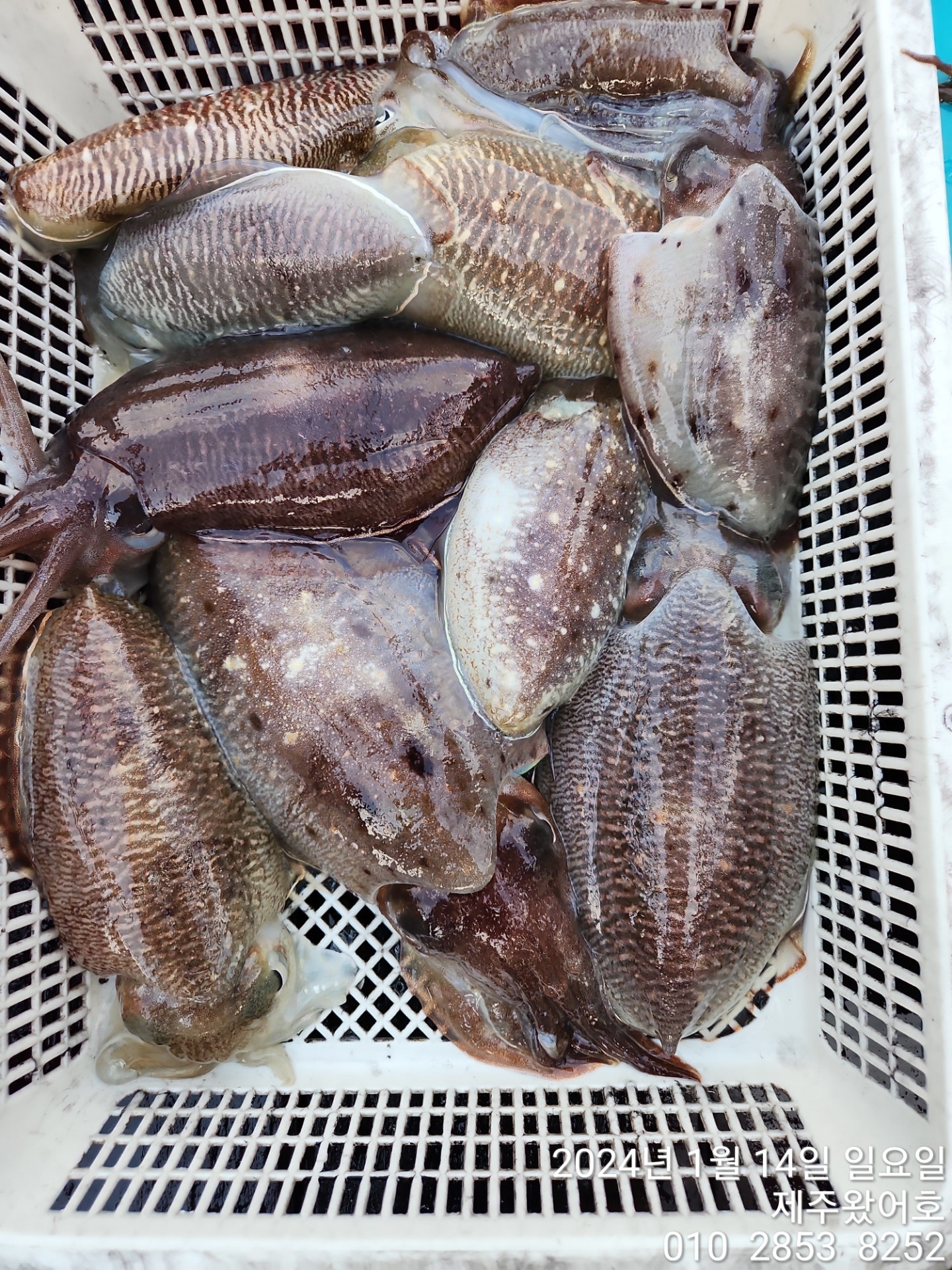
제주왔어호1월 14일, 갑오징어 조황 9.77톤((16인승)) 출항 시작했습니다1월 14일(일요일)조황입니다.
먼바다 85미터권으로 나갔습니다.
기상이 좋지 못해 많은량은 아니지만
사이즈 좋은놈들이 80프로 이상 되네요...
여유자리 많으니 빨리빨리 예약주세요...
갑도 나올때 잡아야 합니다^^
((왔어호밴드에서 1월~8월 예약현황보시고,
날짜, 자리번호 댓글 주시고,
입금해 주시면 예약완료 됩니다.))
제주왔어호 네이버 밴드 예약주소
https://band.us/band/85207657/post/664
**예약방법**
** 밴드 댓글로만 받습니다.**
(선장폰 문자로도 받지만 밴드 댓글 우선입니다.)
왔어호 밴드에서
예약현황 들어가서 출조하는달 클릭
댓글을 아래와 같이 남겨주시면 됩니다.
(수시로 업데이트하지만 바다에서 안되는
경우도 있으니 올라온 댓글도 확인 부탁요^^)
1. 출조하는 날 비어있는 자리번호 확인 후
원하는 자리를 결정.
2. 업데이트가 안되었을 수 있으니 최근 댓글도 확인.
3. 계좌입금 하기.
(수협 010 2853 82520 임선호)
4. 입금 후 아래와 같이 꼬~~~옥 댓글 남기기...
예) 5월 1일 3번 임선호 입금
(이름알려지는게 싫으신분은 선장폰에 문자로만 가능)
입금이 확인되면 바로 예약 확정되며, 예약 댓글 후 입금되지 않으면 다음 대기자로 넘어갑니다...
착오 없으시기 바랍니다.
예약확인은 반드시 제주왔어호 밴드 일정에서 확인하시기 바랍니다.













제주왔어호 9.77톤 손님 15분만 제주에서 아래와 같이 시기별 낚시배를 운영하고 있습니다 많이 이용해주세요^^ ??낚시 시기와 종류(출항지)?? 12월~5월 = 갑오징어(신창항,사계항) 6월~7월 = 한치이카메탈(도두항) 8월~11월 = 무늬팁런(신창항,모슬포항) 11월~12월= 참돔타이라바(모슬포항,사계항)
|
|
|
|





