(선외기)감성돔4짜4짜4짜4짜 외 키로 전후 돌문어 파티~(29일 예약)

신상품 소개


회원 랭킹


공지사항


NaverBand
점주/선장 > 먹물 조황

▶ 지켜주세요! ◀
 
 - 두족류 조황을 올리는 게시판입니다.
   타 어종 등재시 예고없이 게시글 삭제 및 이용정지 됩니다.
 - 제목에 특수문자 사용하시면 안됩니다. (온점, 쉼표, 느낌표, 괄호, 물결만 허용)

 ☆ 공지사항에 조황등재시 유의사항을 꼭 확인하여 조황작성 부탁드리며,
     가장 기본적인 규칙이 지켜지지 않을 시, 예고없이 삭제 및 이용정지 될 수 있음을 알려드립니다. 

 
b_hot_innakmall_200x80_240307.jpg b_hot_innakmall_200x80_220704.jpg b_hot_ggsusan_hongeu_200x80.gif b_hot_innakmall_200x80_211203.gif

(선외기)감성돔4짜4짜4짜4짜 외 키로 전후 돌문어 파티~(29일 예약)

거제대어낚시선외기 0 32
● 출항지 : 거제
선외기 감성돔+돌문어 마릿수 대축제~!!
28일(일요일) 거제도 대어선외기 대여, 돌문어 감성돔낚시 (철수)핫조황입니다.

☆ 29일(월요일) 선외기 대여, 선단 참돔 감성돔낚시 "예약가능"
▶선상낚시/선외기/단독펜션 운영.※ 파라솔제공~살림망/아이스박스/얼음 필수!!!
(선외기) 감성돔 4짜4짜4짜4짜 외 마릿수 타작~
어장 구석 구석 키로급 돌문어 쏟아집니다~!!
가족낚시,초보낚시, 생활낚시는 역시 "거제대어선외기"
  • 사용자가 올린 이미지
  • 사용자가 올린 이미지

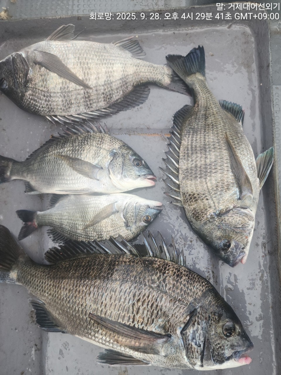
거제대어 선외기 돌문어 감성돔낚시 조황입니다.
영업 구역내 풍요로운 가을 바다 씨알 좋은 감성돔들과 문어들
마릿수 조황이 이어집니다. 아침 피딩 타임 감성돔들의 입질이
집중됐고 터져나가는 녀석들도 많았지만 4짜 3짜 굵은 녀석들로
마릿수 손맛 제대로 즐기고 오셨네요.

돌문어를 노리신 팀은 어장 구석 구석 큰 소강 상태 없이 따박 따박
마릿수를 뽑으셨고, 진입하는 어장마다 문어들의 묵직한 발길질이
이어졌다고 하시니 좋은 물때와 기상이 이어지는 29일부터 출조가
상당히 기대됩니다. 자리 여유 있으니 함께하실 분들 연락주십시오~

29일(월요일) 선외기대여 감성돔, 문어낚시와 선단 감성돔낚시
예약 가능합니다. ※ 그늘막~비치파라솔 제공됩니다.
오늘도 거제 대어선외기를 이용해주신 조사님들 수고 많으셨습니다.

올 추석 제수고기 준비는 선외기로 하십시요~
영업구역 내에서 굵은 돌문어들이 나오고 있고, 어장에서는 감성돔들까지
함께 나오고 있습니다. 씨알도 좋은 상황이라 올 추석 준비는
선외기로 해결 하시길 바랍니다.

▣ 거제대어낚시선외기대여 일정 안내 ▣
★숙박+낚시배를 동시에 이용하고자 하는 분들은 할인 혜택 적용.
☆29일(월)선외기 "감성돔 돌문어낚시, 선단 참돔, 감성돔 "예약가능"
☆30일(화)선외기 "감성돔 돌문어낚시, 선단 참돔, 감성돔 "예약가능"
☆10월 1일(수)선외기 "감성돔 돌문어낚시, 선단 참돔, 감성돔 "예약가능"
☆10월 2일(목)선외기 "감성돔 돌문어낚시, 선단 참돔, 감성돔 "예약가능"
☆10월 3일(금)선외기 "감성돔 돌문어낚시, 선단 참돔, 감성돔 "예약가능"
☆10월 4일(토)선외기 "감성돔 돌문어낚시, 선단 참돔, 감성돔 "예약가능"
☆10월 5일(일)선외기 "감성돔 돌문어낚시, 선단 참돔, 감성돔 "예약가능"
※ 주말 공휴일은 미리 미리 예약을 해 주시길 바랍니다.
※ 낚시장비가 필요하신 분들은 임대 해 드립니다. 예약시 꼭 알려 주세요.

거제대어낚시 선외기(선상)낚시 예약(독채 민박)
문의 ☎ 010-640-2082 / ☎ 010-454-3937
ㅁ선외기 예약: ☎ 010-6400-2082
■ 밴드: https://band.us/@geojedaefishing
  • 사용자가 올린 이미지
  • 사용자가 올린 이미지
  • 사용자가 올린 이미지
  • 사용자가 올린 이미지
(선외기 감성돔 마릿수 폭팔합니다~)
  • 사용자가 올린 이미지
  • 사용자가 올린 이미지
  • 사용자가 올린 이미지
  • 사용자가 올린 이미지
  • 사용자가 올린 이미지
  • 사용자가 올린 이미지
  • 사용자가 올린 이미지
  • 사용자가 올린 이미지
  • 사용자가 올린 이미지
▣ 선외기 대여 ▣
(4인승)- 13만원, (3인승) - 10만원 / (2인승) - 8만원 / (1인승)- 7만원.
영업구역 내 조정면허증 필요 없으므로, 누구나 이용이 가능합니다.
회사팀/기업팀/동호회팀/선상 낚시대회도 가능한 충분한 인원을 수용 가능.

(내만권/중장거리 상시 출조)
한나절:새벽부터 ~ 2시까지(유동적) 14만원
- 밑밥,미끼,도시락 제공, 커피, 음료, 생수 제공
(낚싯대) 기본 1.5호~2호대 530(경질대 선호)
(릴) 4000번~6000번. 권사량 150~200미터 추천되는 스피닝릴.
(라인) 원줄 4~6호 플로팅 세미타입, 목줄 후로로카본 100% 4호~6호 선호.
(바늘) 참돔 8~12호, 큐션또는 수중큐션 -2B ~ -5B, 좁쌀봉돌, 스위벨도래
※독배는 시간 조정 가능합니다.

▦ 거제대어낚시 참돔 시상 내역 ▦ 일 1명씩 시상됩니다.
68Cm 이상 - 최상급 원줄 증정

■ 생활낚시 & 낚시체험
- 상시 예약 출조 가능합니다.
- 낚은 고기로 회썰어 드립니다.
- 몸만 오시면 됩니다.(낚싯대, 장비일절제공, 구명복 제공)

★안전 주의 사항★
- 거제대어낚시 선단 이용시, 안전한 낚시를 위해 선착장 통로 이용시
바닥 및 부대시설에 대해 미끌림을 주의 해 주시길 바랍니다. 통로 좌우에
있는 핸들을 잡고 이동하시면 안전합니다.
- 선착장 도착전, 배에서 미리 내리지 마시고, 배가 정박하고, 로프를 묶은
뒤에 하선해 주시길 바랍니다.

★대어낚시 선단★
거제 대어낚시 1호 ㅡ 안젤라호
거제 대어낚시 2호 ㅡ 안드레아호
거제 대어낚시 3호 ㅡ 야호(YAHO)
거제 대어낚시 4호 ㅡ 돌핀호
거제 대어낚시 5호 ㅡ 미래호
거제 대어낚시 6호 ㅡ 거제바다호
거제 대어낚시 7호 ㅡ 사랑호
거제 대어낚시 8호 ㅡ 대어호

■ 주변 제휴 민박집 ■
아지랑 민박(단체-독채) ☎010-6400-2082
해송굴구이민박(단체) ☎010-2545-3755
거제 대어낚시 주변 파라스파찜질방 검색하시면 됩니다.

거제대어낚시 선외기(선상)낚시 예약(독채 민박)
010-6400-2082 / ☎ 010-4547-3937
ㅁ선외기: ☎ 010-6400-2082
■ 밴드: https://band.us/@geojedaeeofishing

★찾아오시는길★
※출항지: 거제시 거제면 법동리 1074번지 아지랑경로당 방파제
사무실 :거제시 거제면 서정리 746-3(GS25시편의점)검색하시면 바로 옆 위치
★★★신분증 꼭 지참해주세요★★★
  • 사용자가 올린 이미지

, , , , , , , , , , , , , , , , , , , , , , , , , , , , , , , , , ,

  • 페이스북으로 보내기
  • 트위터로 보내기
  • 구글플러스로 보내기
  • 카카오스토리로 보내기
  • 네이버밴드로 보내기
  • 네이버로 보내기
  • 텀블러로 보내기
  • 핀터레스트로 보내기
0 댓글
포토 제목
 
 

인낚 최신글


인낚 최신댓글


온라인 문의 안내


월~금 : 9:00 ~ 18:00
토/일/공휴일 휴무
점심시간 : 12:00 ~ 13:00