감성돔(오전 흘림) 4짜급외 굵은놈들 마리수~제일호(29일 예약)

회원랭킹(월 글등록)


공지사항


NaverBand
점주/선장 > 4대돔 조황(감성돔,돌돔,참돔,벵에돔)

▶ 지켜주세요! ◀
 
 - 4대돔(감성돔,돌돔,참돔,벵에돔) 조황을 올리는 게시판입니다.
   타 어종 등재시 예고없이 게시글 삭제 및 이용정지 됩니다.
 - 제목에 특수문자 사용하시면 안됩니다. (온점, 쉼표, 느낌표, 괄호, 물결만 허용)

 ☆ 공지사항에 조황등재시 유의사항을 꼭 확인하여 조황작성 부탁드리며,
     가장 기본적인 규칙이 지켜지지 않을 시, 예고없이 삭제 및 이용정지 될 수 있음을 알려드립니다. 

 
b_hot_innakmall_200x80_240307.jpg b_hot_innakmall_200x80_220704.jpg b_hot_ggsusan_hongeu_200x80.gif b_hot_innakmall_200x80_211203.gif

감성돔(오전 흘림) 4짜급외 굵은놈들 마리수~제일호(29일 예약)

제일호 0 59
● 출항지 : 거제
밴드 바로가기
오전타임 감성돔 입질 집중 피딩타임~
27일(토요일) 거제도 감성돔 선상낚시 청곡항 출발, "제일호" (철수)핫조황입니다.
※ 53Cm이상 감성돔 포획시 AJIKA(아지카)라인에서 사은품 증정!!!
※ 제일호는 확률 높은 오전 타임 전문 출조합니다~

☆ 29일(월요일) 거제권 감성돔 오전낚시 "예약가능"
감성돔(오전 흘림) 4짜급외 굵은놈들 마리수~
추석 제수고기 내만권 핫 포인트 직항~!!
  • 사용자가 올린 이미지

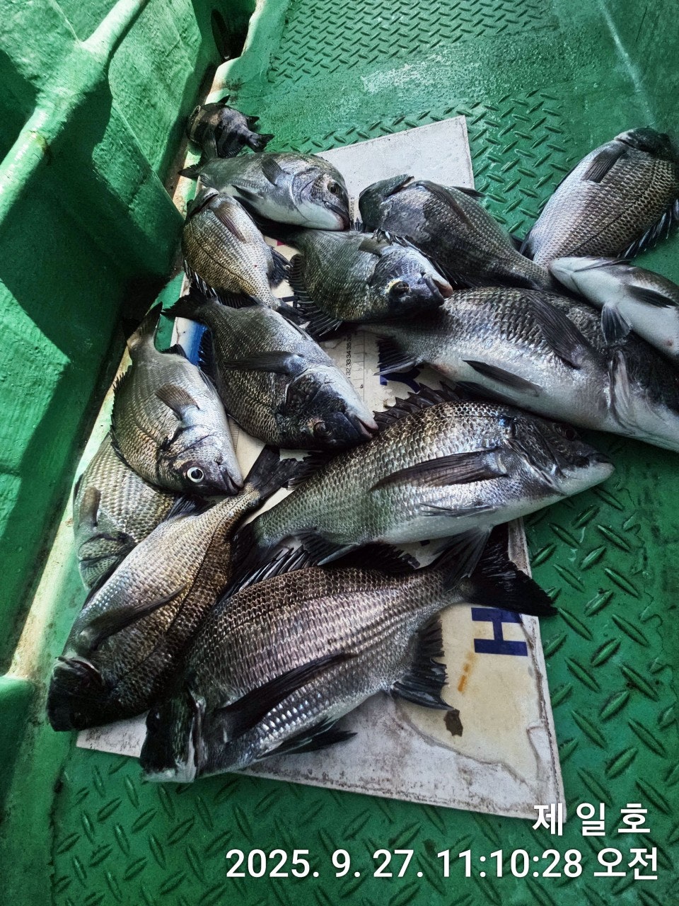
청곡항 출발 제일호입니다.
좋은 기상속에서 진입한 감성돔포인트, 역시~밑밥이 들어가고 얼마 지나질
않아 바닥에서 물었다가 바닥 1미터권에서 물었다가 입질 수심층의 변화는
있었지만 4짜급 38Cm까지 나왔고, 잔씨알은 30Cm 정도까지 마리수로
나왔습니다.

몇방은 아쉽지만, 초반 강제집행을 못해서인지 어장줄이 쓸려 터져 나갔
지만, 좋은 활성도에 다시 받은입질이 어렵지 않았습니다. 당분간 호조황은
계속 될 것 같습니다.

28일은 예약완료, 감사합니다.
29일(월요일) 거제 내만권 감성돔 흘림낚시 오전 출조 예약 가능합니다~
오늘도 거제 제일호와 함께해주신 조사님들 수고 많으셨습니다.

※감성돔 선상 흘림낚시 출조 시간 안내
- 제일호는 가장 확율 높은 오전 타임 출조를 진행하고, 오전(8만원)으로 운영.

제일호 감성돔낚시 일정 ▣ 평수지역 포인트(기상 영향 적은 곳)
☆28일(일요일) 예약완료
☆29일(월요일) 오전낚시 거제 핫포인트 감성돔낚시 "예약가능
☆30일(화요일) 오전낚시 거제 핫포인트 감성돔낚시 "예약가능
☆10월 1일(수요일) 오전낚시 거제 핫포인트 감성돔낚시 "예약가능
☆10월 2일(목요일) 오전낚시 거제 핫포인트 감성돔낚시 "예약가능
☆10월 3일(금요일) 오전낚시 거제 핫포인트 감성돔낚시 "예약가능
※ 기상 변화 시 낚시에도 문제가 없는 거제 내만권 감성돔낚시입니다.

▣ 제일호 ☎ 010-2522-6324
▣ 밴드 : band.us/@jaeilho
(선착장) 거제시 사등면 청곡리 18-6번지 청곡방파제
  • 사용자가 올린 이미지
  • 사용자가 올린 이미지
  • 사용자가 올린 이미지
  • 사용자가 올린 이미지
  • 사용자가 올린 이미지
▩ 감성돔낚시 출조시간 및 선비 안내 ▩
(평일/주말 종일낚시) 05:30 ~ 11시경 철수, 8만원
- 감성돔낚시 독배 예약 문의 (협의 가능).
※ 기상 변화 시 낚시에는 문제가 없는 거제 내만권 감성돔낚시입니다.

<제일호 이용시 유의 사항>
- 신분증은 필히 지참해야 하며, 음주행위는 법으로 금지.- 구명조끼는필수 지참

▣ 제일호 ☎ 010-2522-6324
▣ 밴드 : band.us/@jaeilho
(선착장) 거제시 사등면 청곡리 518-6번지 청곡방파제
- 예약계좌 (수협) 731 62 030701 이성창
  • 사용자가 올린 이미지

, , , , , , , , , , , , , , , , , , , , , , , , , , , , , ,

  • 페이스북으로 보내기
  • 트위터로 보내기
  • 구글플러스로 보내기
  • 카카오스토리로 보내기
  • 네이버밴드로 보내기
  • 네이버로 보내기
  • 텀블러로 보내기
  • 핀터레스트로 보내기
0 댓글
포토 제목
 
 

인낚 최신글


인낚 최신댓글


온라인 문의 안내


월~금 : 9:00 ~ 18:00
토/일/공휴일 휴무
점심시간 : 12:00 ~ 13:00