네임
카드
카드
고성드래곤피싱
경남 고성군 삼산면
두포로 522-66
010-9339-6947
경남 고성군 삼산면
두포로 522-66
가을감시 흘림 출조 목,금 자리여유 함께하실분 연락주세요.
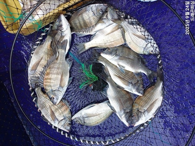
시원한 가을 날씨에 소수인원 출조 감시 입질이 따문 따문 들어오고
잡어도 좀있고 빠지고 터지고 계속되는 감시 마릿수 호조황


☞ 감성돔: 출항 5시30 철수 1시30분 전후 입항
☞ 목,금,토,일,월,화,수 자리여유 있어요..
☞ 밑밥, 미끼,캔음료,점심 제공
☞ 예약은 입금순으로 합니다.(펑크내는 분들이 너무많아서 이해하세요)
계좌번호 : 국민은행 558201-01-411286 조영식

■ 고성드래곤피싱 :https://band.us/@dragon6666
밴드에서 바로 조황 확인 예약 가능합니다.
■ 선장 ☎010 9339 6947
■ 출항지 : 구주소: 고성군 삼산면 두포리946-1,
도로명: 경남고성군 삼산면 두포길 522-66( 네이브 지도 드래곤피싱 검색 )
#선상낚시 #흘림찌낚시 #고성선상낚시 #고성낚시배 #감성돔조황 #바다낚시
#어초 #고성참돔 #고성돌문어전문 #감성돔흘림 #고성바다낚시 #남해바다
#고성내만갈치 #체험낚시 #고성돌문어낚시 #통영바다낚시 #출조모집
#초보환영 #회사야유회겸낚시 #내만갈치 #다잡아생활낚시 #단체환영
#고성갑오징어낚시 #참돔 #고성감성돔낚시 #고성감성돔 #고성참돔흘림
#고성감성돔흘림 #고성배낚시 #배낚시 #독배할인