(감성돔)손맛 끝장~4짜3짜 화끈한 입질쇼~대양호(21일 예약)

회원랭킹(월 글등록)


공지사항


NaverBand
점주/선장 > 4대돔 조황(감성돔,돌돔,참돔,벵에돔)

▶ 지켜주세요! ◀
 
 - 4대돔(감성돔,돌돔,참돔,벵에돔) 조황을 올리는 게시판입니다.
   타 어종 등재시 예고없이 게시글 삭제 및 이용정지 됩니다.
 - 제목에 특수문자 사용하시면 안됩니다. (온점, 쉼표, 느낌표, 괄호, 물결만 허용)

 ☆ 공지사항에 조황등재시 유의사항을 꼭 확인하여 조황작성 부탁드리며,
     가장 기본적인 규칙이 지켜지지 않을 시, 예고없이 삭제 및 이용정지 될 수 있음을 알려드립니다. 

 
b_hot_innakmall_200x80_240307.jpg b_hot_innakmall_200x80_220704.jpg b_hot_ggsusan_hongeu_200x80.gif b_hot_innakmall_200x80_211203.gif

(감성돔)손맛 끝장~4짜3짜 화끈한 입질쇼~대양호(21일 예약)

통영대양호국치마을 1 109
● 출항지 : 통영
주간 감성돔 야간 팁런 쭉~예약 가능~!!
20일(토요일) 통영 출발, 통영권 감성돔 낚시 "대양호" (철수)핫조황입니다.
▣ 대양호 출조현황 ▶ https://band.us/band/82143442/post/3769

☆21일(일요일) 주간 통영권 감성돔 흘림낚시 "예약가능"
☆21일(일요일) 원도권 무늬오징어 팁런전투낚시 "예약가능"
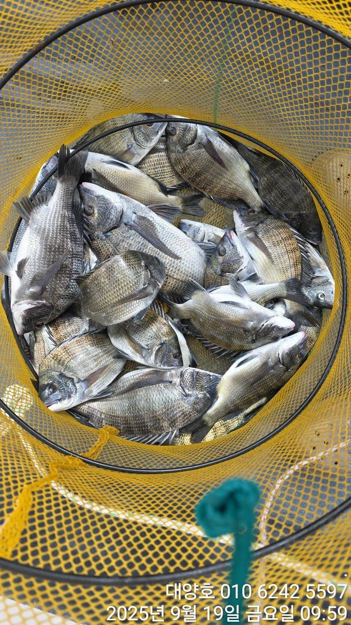
(감성돔) 끝장 손맛~ 4짜 3짜 포동포동 덩치들 이만큼~
  • 사용자가 올린 이미지

대형 주차장 주차, 바로 승선하는 편리한 시스템!!! 대양호.
통영 국치마을 대양호입니다.
가을 시즌이 시작되며 꾸준한 조황을 보이는 바다의 왕자 감성돔을
대상으로 출조했고 비 바람에 쉽지 않은 포인트 상황이였지만 밑밥에
빠르게 반응을 보이는 녀석들 덕분에 화끈한 손맛 즐길 수 있었습니다.
막강한 파워에 터지고 빠져도 4짜 3짜들로 마릿수 채우고 마무리 합니다.
쭉 좋은 물때가 이어지니 가을 시즌 감성돔 손맛 즐기러 오십시오.
21일 주간 감성돔 야간 무늬오징어 팁런 예약 가능합니다.

21일(일요일) 살아나는 물때 구간부터 주간 감성돔낚시 , 야간 무늬오징어 팁런
예약 가능합니다.
오늘도 통영 대양호와 함께해주신 조사님들 수고 많으셨습니다.

▣ 무늬오징어 팁런 안내 ▣
(월 화 수 목 일요일)
- 야간 팁런은 저녁 6시 출발~ 익일 새벽 1시까지 운영 (선비 9만원)
(금요일, 토요일) 야간 무늬오징어 팁런 전투낚시
- 오후 6시 출발~ 익일 새벽 3시까지 운영 (선비 12만원)
- 김밥,사발면, 커피 제공

▣ 대양호 출조 일정 안내 ▣ 기상만 좋으면 상시 출조!!!
▣ 대양호 출조안내 ▶ https://band.us/band/82143442/post/3867
☆ 21일(일요일) 통영권 대물 감성돔 흘림낚시 "예약가능"
☆ 21일(일요일) 원도권 야간 무늬오징어 팁런 낚시 "예약가능"
☆ 22일(월요일) 통영권 대물 감성돔 흘림낚시 "예약가능"
☆ 22일(월요일) 원도권 야간 무늬오징어 팁런 낚시 "예약가능"
☆ 23일(화요일) 통영권 대물 감성돔 흘림낚시 "예약가능"
☆ 23일(화요일) 원도권 야간 무늬오징어 팁런 낚시 "예약가능"
※ 낚시체험 신청한분들 예약전 인원을 꼭~전달해주세요~(장비/구명복 대여)

★대양호 ☎ 010-6242-5597010 7375-7195
▩ 대양호 밴드 https://band.us/@daeyangho
(대주차장, 전용휴계실 운영)
▩ 통영 문어삼촌들 밴드 https://band.us/@tyds
(출항지) 통영시 인평동 506 (국치 2길 61)
  • 사용자가 올린 이미지
  • 사용자가 올린 이미지
  • 사용자가 올린 이미지
(19일 마릿수 타작 조황 첨부합니다~)
  • 사용자가 올린 이미지
  • 사용자가 올린 이미지
  • 사용자가 올린 이미지
  • 사용자가 올린 이미지
  • 사용자가 올린 이미지
  • 사용자가 올린 이미지
  • 사용자가 올린 이미지
▣대양호 통영/거제권 주간(돌문어) 안내 ▣
평일(원도권) 주간 전투낚시 (최고의 핫한 포인트로 진입)
(시간) 6시 출발 ~ 입항 오후 3시 30까지(유동적) (원도권 10만원)
- 생수, 캔커피, 도시락제공
평일(야간) 돌문어낚시
(시간) 오후 5시 ~ 11시 철수

▣ 대양호 무늬오징어 팁런 안내 ▣
(월 화 수 목 일요일)
- 야간 팁런은 저녁 6시 출발~ 익일 새벽 1시까지 운영 (선비 9만원)
(금요일, 토요일) 야간 무늬오징어 팁런 전투낚시
- 오후 6시 출발~ 익일 새벽 3시까지 운영 (선비 12만원)
- 김밥,사발면, 커피 제공

▣▣ 문어체험낚시 (가족팀/단체팀 전문) ▣▣ "몸만 오십시요"
※ 낚싯대+릴+구명복 장비 (유상 1만원 대여 가능) 에기, 봉돌만 개인 준비

▧ 협력 숙박시설 이용 안내 ▧
- 고고 선단배에 한해 숙박료 10% 상시 할인 적용중입니다.
1) 마티스비치 스파펜션 ☎010-2361-3710 /통영시 국치1길 52-24
- 객실료의 10%할인 적용.
2) 바다52 스파 펜션 ☎010-4049-7873 / 통영시 국치1길 52-20
- 객실료의 10%할인 적용.

▣ 대양호 협력 선단 운영 ▣ 동일포인트 진입!
개인부터 단체까지 수용이 가능한 선단 구성입니다.
1) 6톤~12인승(두족류 전문)
2) 4.99톤~12인승(두족류전문)
3) 4.05톤~12인승(두족류.생활낚시)
★풍부한 포인트 관리로 항상 최선을 다하는 선단을 운영중입니다.

★예약 필수 - 입금확인시에만 "예약으로 확정"
전화상으로 예약은 예약 완료가 아닙니다. 다른 곳과 조황을 비교하면서
예약만 해두면 다른 조사님들이 그 피해를 볼 수 있습니다. 예약 취소는
비용 지출은 물론, 다른 분들의 즐거움을 망치는 행동으로 대양호에서는
절대 근절합니다.
★ 선내 구명복 미착용 및 음주 반입 행위는 법적인 책임을 질 수 있습니다.

★대양호 ☎ 010-6242-5597010 7375-7195
▩ 대양호 밴드 https://band.us/@daeyangho (대주차장, 전용휴계실 운영)
▩ 통영 문어삼촌들 밴드 https://band.us/@tyds
(출항지) 통영시 인평동 506 (국치 2길 61)
★예약계좌 ; 수협 0010-6242-5597 (예금주) 권득식
  • 사용자가 올린 이미지

, , , , , , , , , , , , , , , , , , , , , , , , , , , , , , ,

  • 페이스북으로 보내기
  • 트위터로 보내기
  • 구글플러스로 보내기
  • 카카오스토리로 보내기
  • 네이버밴드로 보내기
  • 네이버로 보내기
  • 텀블러로 보내기
  • 핀터레스트로 보내기
1 댓글
21일 주간 감성돔낚시 야간 무늬오징어 팁런 예약 가능합니다. 감사합니다
포토 제목
 
 

인낚 최신글


인낚 최신댓글


온라인 문의 안내


월~금 : 9:00 ~ 18:00
토/일/공휴일 휴무
점심시간 : 12:00 ~ 13:00