- 4대돔(감성돔,돌돔,참돔,벵에돔) 조황을 올리는 게시판입니다. 타 어종 등재시 예고없이 게시글 삭제 및 이용정지 됩니다. - 제목에 특수문자 사용하시면 안됩니다. (온점, 쉼표, 느낌표, 괄호, 물결만 허용) ☆ 공지사항에 조황등재시 유의사항을 꼭 확인하여 조황작성 부탁드리며, 가장 기본적인 규칙이 지켜지지 않을 시, 예고없이 삭제 및 이용정지 될 수 있음을 알려드립니다. |
![]() |
|
![]() |
![]() |

진해 예스호(예스피싱)010-3589-5490
저희예스호는 작은 배로운항을 하다가 이번에낚시환경 개선을위해신조선을 건조하였습니다.
8.55톤정원20명 생활낚시 전용선입니다 때로는 빠르게 때로는 느리게 안전제일 운항 하겠습니다. 좋은포인트 찾아 어디던 달려보겠습니다.
가족 친구 동호회 직장동료등 누구나 부담없이 손맛과 입맛을 즐길수 있습니다.
낚시 장비가 없으신분 대여(낚시대 릴 구명쪼기등)합니다
수세식화장실 휴게실 최첨단전자장비 넓은복도 넓은 선실등이 구비되어 여성과 아이들도 같이 할수 있습니다.
생수 커피 라면 회 식사를 제공하고 있습니다.
신분증은 꼭 지참해주세요
선내 주류 반입은 절대로 안되용
구명 쪼기는 상시 착용 부탁해요
예약은 필수
예스호선장(010-3589-5490)
부재시 문자주시면 전화 드리겠습니다.
오시는길
창원시 진해구 수도동 197-3
계좌안내
수협0010-3589-5490 김복수
입금자 순으로 예약완료 되오니 양해부탁 드립니다.
대상어종
강성돔
흘림
야간:오후 4시부터 12시
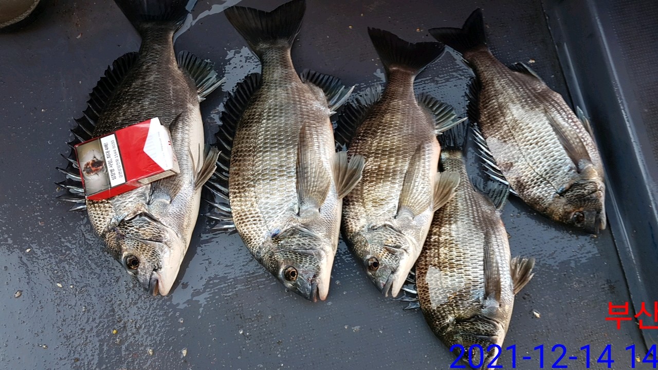
출조후기: 오늘 바람 쌩쌩부는데 감성돔 다녀왔습니다.
바람에 닷이 밀려서 애를 먹었네요. 그래도 감성돔은 올라오고
세분이서 다섯 마리 하셨어요
화요일 예약가능
수요일 예약가능
목요일 에약가능
금요일 예약가능
토요일 야간 감성돔 흘림 예약가능



항상 낚시인의 마음에서 편안하고 즐거운 낚시가 될수 있도록 노력 하겠습니다.
|
|
|
|





