(감성돔)대물 속출~4짜들 외 마릿수 끝장 손맛~가고파호(15일 예약)

회원랭킹(월 글등록)


공지사항


NaverBand
점주/선장 > 4대돔 조황(감성돔,돌돔,참돔,벵에돔)

▶ 지켜주세요! ◀
 
 - 4대돔(감성돔,돌돔,참돔,벵에돔) 조황을 올리는 게시판입니다.
   타 어종 등재시 예고없이 게시글 삭제 및 이용정지 됩니다.
 - 제목에 특수문자 사용하시면 안됩니다. (온점, 쉼표, 느낌표, 괄호, 물결만 허용)

 ☆ 공지사항에 조황등재시 유의사항을 꼭 확인하여 조황작성 부탁드리며,
     가장 기본적인 규칙이 지켜지지 않을 시, 예고없이 삭제 및 이용정지 될 수 있음을 알려드립니다. 

 
b_hot_innakmall_200x80_240307.jpg b_hot_innakmall_200x80_220704.jpg b_hot_ggsusan_hongeu_200x80.gif b_hot_innakmall_200x80_211203.gif

(감성돔)대물 속출~4짜들 외 마릿수 끝장 손맛~가고파호(15일 예약)

거제가고파 0 52
● 출항지 : 거제
홈페이지 밴드 바로가기
12일(금) 거제 학산마을 출발, 오전 감성돔 낚시 "가고파호" (철수)핫조황입니다.
※ 주차하고 선착장까지 바로 연결되어 편리합니다.

☆ 15일(월요일) 거제 감성돔 오전 흘림낚시 "예약 가능"
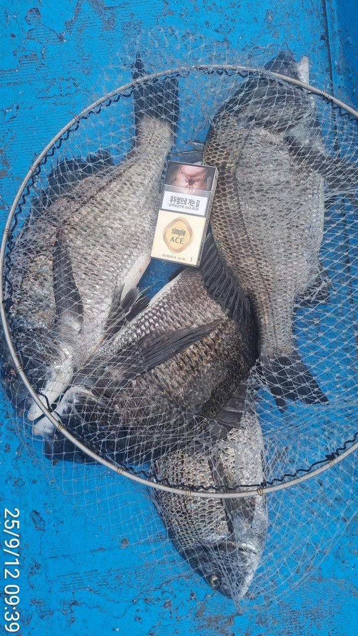
(감성돔)씨알급 덩치들 진입~4짜4짜4짜 외 마릿수~
추석 제수고기 감성돔 사이즈와 마리수 개체 입성
※ 여름 오전낚시는 사이즈 마리수 탁월합니다 오전 8만원
  • 사용자가 올린 이미지

거제도 학산마을 출발, 감성돔 전문 출조점 가고파호입니다.
초반 시즌이지만 씨알 좋은 감성돔들이 포인트로 진입한 듯 막강한
손맛을 조사님들께 선사했고, 팅 팅 터져나가는 녀석들도 있지만
꾸준한 입질을 받아내며 확률 높은 오전 감성돔 낚시 굵직한
4짜 4짜 4짜 외 중치급들로 손맛 제대로 즐기고 마무리 합니다~
시원한 찌맛과 묵직한 손맛 즐기러 오십시오 15일부터 쭉~ 예약 가능합니다.

15일(월요일) 거제 출발 감성돔 오전 흘림낚시 예약 가능합니다~
추석 제수고기 낚으로 오십시요. 본격적인 손맛이 시작되는 것 같습니다.
오늘도 거제 가고파호와 함께해주신 조사님들 수고 많으셨습니다.

▣ 가고파호 감성돔낚시 오전타임(8만원) 일정 안내 ▣
☆15일(월요일) 거제 감성돔 오전 흘림낚시 "예약가능"
☆16일(화요일) 거제 감성돔 오전 흘림낚시 "예약가능"
☆17일(수요일) 거제 감성돔 오전 흘림낚시 "예약가능"
☆18일(목요일) 거제 감성돔 오전 흘림낚시 "예약가능"
☆19일(금요일) 거제 감성돔 오전 흘림낚시 "예약가능"
- 주중, 주말 예약 가능합니다.

▩ 가고파호(선상) ☎ 010 8553 7868
▩ 가고파호 밴드 http://band.us/@gagopaho
▩ 주소 :거제시 둔덕면 학산3길 81 (舊주소:둔덕면 학산리 109번지)
  • 사용자가 올린 이미지
  • 사용자가 올린 이미지
  • 사용자가 올린 이미지
▩ 감성돔 선상 흘림 낚시 안내 ▩
(평일 오전낚시) 04:30 ~ 11시 철수 8만원
- 생수,커피,라면,초장등, 낚시장비만 가지고 오세요

▩돌문어 출조 시간 및 선비 안내 ▩
(평일 종일) 05:00~14:00 전후,
- 문어라면 제공,음료, 생수 제공합니다.
- 가족팀/회사팀/동호회팀은 독배 상시 예약가능.
※ 낚시장비(무료) 대여 가능, 구명복 필요하신 분은 예약 시 전달 요청.

▩ 가고파호(선상) ☎ 010 8553 7868
▩ 가고파호 밴드 http://band.us/@gagopaho
▩ 주소 :거제시 둔덕면 학산3길 81 (舊주소:둔덕면 학산리 109번지)
  • 사용자가 올린 이미지

, , , , , , , , , , , , , , , , ,

  • 페이스북으로 보내기
  • 트위터로 보내기
  • 구글플러스로 보내기
  • 카카오스토리로 보내기
  • 네이버밴드로 보내기
  • 네이버로 보내기
  • 텀블러로 보내기
  • 핀터레스트로 보내기
0 댓글
포토 제목
 
 

인낚 최신글


인낚 최신댓글


온라인 문의 안내


월~금 : 9:00 ~ 18:00
토/일/공휴일 휴무
점심시간 : 12:00 ~ 13:00