- 4대돔(감성돔,돌돔,참돔,벵에돔) 조황을 올리는 게시판입니다. 타 어종 등재시 예고없이 게시글 삭제 및 이용정지 됩니다. - 제목에 특수문자 사용하시면 안됩니다. (온점, 쉼표, 느낌표, 괄호, 물결만 허용) ☆ 공지사항에 조황등재시 유의사항을 꼭 확인하여 조황작성 부탁드리며, 가장 기본적인 규칙이 지켜지지 않을 시, 예고없이 삭제 및 이용정지 될 수 있음을 알려드립니다. |
![]() |
|
![]() |
![]() |
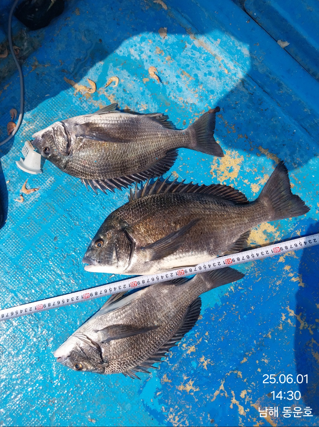
금어기 해제되고 첫 출조입니다!
48, 40, 41 조황 입니다~~~
오늘도 수고 많으셨습니다!!!
♥◆ 출조/조황 문의 ◆♥
010-2422-0947 동운호
(신분증 지참 필수 / 선상 내 음주 절대 불가)
《독배 선비》
독배: 선장 포함 5명 승선
1~2명 = 20만원
3~4명 = 25만원
(수협: 2020-4619-2561 서상만)
입금 순대로 예약완료됩니다.
출조시간 06:30~15:30
|
|
|
|






